Zalaszombatfa Község Önkormányzata Képviselő-testületének 21/2006. (XII.14.) önkormányzati rendelete

ZALASZOMBATFA KÖZSÉG ÉPÍTÉSI SZABÁLYZATÁRÓL ÉS SZABÁLYOZÁSI TERVÉRŐL

Hatályos: 2016. 10. 27- 2018. 11. 30

Zalaszombatfa Község Önkormányzat Képviselő-testülete az 1990. évi LXV. törvény 16. § (1) bekezdésében, valamint az épített környezet alakításáról és védelméről szóló többször módosított 1997. évi LXXVIII. törvény (továbbiakban Étv.) 6. § (3) bekezdésében és 7.§ (3) bekezdésének c) pontjában kapott felhatalmazás alapján, a 253/1997.(XII. 20.) az Országos Településrendezési és Építési Követelményekről szóló Kormányrendelet és mellékletei, (továbbiakban: az OTÉK) rendelkezéseinek figyelembe vételével, az építés helyi rendjének biztosítása érdekében az alábbi önkormányzati rendeletet állapítja meg, és jóváhagyja a szabályozási tervet.


A rendelet hatálya

1.§

(1) [1]Jelen előírások területi hatálya Zalaszombatfa község belterületére, valamint a külterületi területeire terjed ki.

(2) A rendelet hatálya alá tartozó területen az OTÉK által meghatározott építési munkát végezni és ezekre hatósági engedélyt adni az OTÉK és az egyéb általános érvényű törvényi és hatósági előírások, valamint a helyi településrendezési eszközök (helyi építési szabályzat és a szabályozási terv) rendelkezései szerint szabad.

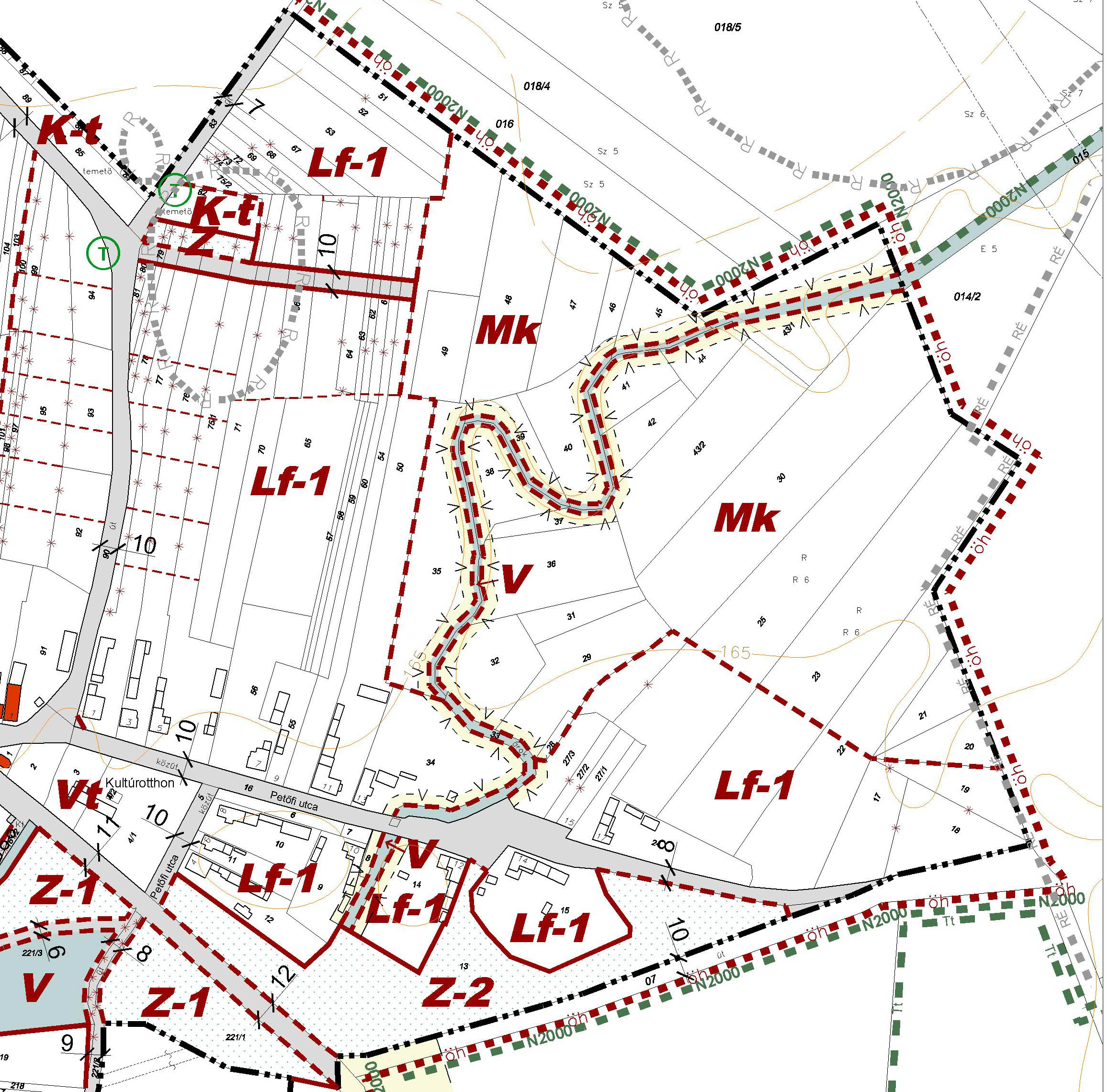
(3) A jelen helyi építési szabályzatot és a mellékletét képező SZ-1 [2] jelű szabályozási tervlapot együtt kell alkalmazni.

Szabályozási elemek

2.§

(1) A szabályozási tervben alkalmazott kötelező szabályozási elemek az alábbiak:

  1. bel- és külterület határa,
  2. a külterületen beépített és beépítésre szánt, illetőleg beépítésre nem szánt területek határa,
  3. meglévő és tervezett szabályozási vonal,
  4. területfelhasználási egység határa,
  5. építési övezet, övezet határa és előírásai,
  6. sajátos jogintézmények határvonalai.

(2) Az OTÉK által meghatározott és a tervben alkalmazott kötelező szabályozási elemek módosítása kizárólag a szabályozási terv és az önkormányzati rendelet módosításával lehetséges, a (3)-(5) bekezdésben szereplő esetek kivételével[3].

(3) A szabályozási terven jelölt belterületbe vonásra kerülő területek bevonása az időszerűség esetén, a konkrét építési igények függvényében szakaszosan is végrehajtható, külön önkormányzati határozat alapján.

(4) Az új közlekedési közterületek nyomvonala a terven ábrázolt úttengelytől 10,0-10,0 m-es sávban (az út szélességének változtatása nélkül) elmozdítható a rendezési terv módosítása nélkül, ha ezt a terepadottságok, a talajmechanikai állapotok, vagy a forgalomtechnikai megoldások és tulajdonjogi rendezések indokolttá teszik, és a változtatás nem teszi lehetetlenné az övezetre előírt minimális telekméretek betartását.

(5) A területfelhasználási egységek, övezetek határai az aktuális tulajdonviszonyok figyelembe vételével változtathatók, amennyiben a telekhatár rendezés és telekegyesítés során létrejövő telkek az egyéb hatályos jogszabályoknak, és jelen rendelkezésekben foglaltaknak megfelelnek. Az érintett telkek közül a nagyobb telekterülettel rendelkező egy övezetbe eső telek vagy telkek övezeti besorolását kell érvényesíteni a telekegyesítés után, a rendelet hatályba lépését követő egy alkalommal.

(6) A terven jelölt minden egyéb szabályozási elem irányadónak tekintendő, amelyektől eltérést az elsőfokú építésügyi hatóság, a jogszabályi kereteken belül, a szabályozási terv, illetve a helyi építési szabályzat módosítása nélkül az önkormányzat véleménye alapján engedélyezhet.

Sajátos jogintézmények

3.§

A helyi építési szabályzatban és a szabályozási terven alkalmazott sajátos jogintézmények a következők:

  1. Kiszolgáló és lakóút céljára történő lejegyzés[4]: új beépítésre szánt területek szabályozási vonallal lehatárolt területe.
  2. Beültetési kötelezettség: A telek szabályozási terven jelölt részén telepítendő védő zöld sáv, melyet háromszintű növényzet (gyep, cserje, lombkoronaszint együttesen) ültetésével kell kialakítani. A beültetésű kötelezettségű területen legfeljebb a területet keresztirányban átszelő utak alakíthatók ki. A növénytelepítést a beruházás részeként, az építési tevékenységgel egyidőben kell megvalósítani.

Fogalom meghatározás

4.§

A jelen rendelet előírásainál az OTÉK 1. sz. mellékletében meghatározott fogalmakon kívül az alábbi fogalmak alkalmazandók:

  1. Szintterületi mutató: az összes bruttó szintterület és a telekterület hányadosa.
  2. Építési hely: amelyet a mindenkori telekhatárhoz képest kell értelmezni, kivéve ha telek területét tervezett szabályozási vonal érinti, ebben az esetben a szabályozási vonalat telekhatárként kell értelmezni az építési hely meghatározásánál.
  3. [5]
  4. [6]
  5. [7]
  6. [8]
  7. Zöldfelülettel fedett terület: a szilárd burkolatú felületek nélküli, lágyszárú növényzettel, cserjékkel, fákkal betelepített beépítetlen terület sík vetülete, ahol a nem szilárd burkolattal (pl. kavicsburkolat, homok stb.) ellátott felület nem haladhatja meg a számított zöldfelület 1/5-ét. A kötelező zöldfelület számításnál a zöldfelület mértékébe a gyepes sportpálya egyszintű növényzetként 100 % mértékig, a gyephézagos burkolat közül a gyepráccsal fedett és gyepesített terület 50 % mértékig beszámítható. Egyéb gyephézagos burkolat (pl. gyephézagos betonburkolat), valamint szilárdított burkolattal (kavics, homok) ellátott parkolófelület a kötelező legkisebb zöldfelület számításnál nem vehető figyelembe.
  8. A főépület: a telek rendeltetése szempontjából meghatározó, utcaképet formáló épület, míg a melléképület: a főépület rendeltetésszerű használatát kiegészítő funkciójú épület, építmény.
  9. Építési vonal: a kötelező előkert méretével azonos távolságra fekvő, az utcai szabályozási vonallal párhuzamos vonalat építési vonalnak kell tekinteni. A telken a főépületet legalább egy pontjával az építési vonalon kell elhelyezni. Ahol az övezeti előírás kötelező előkert határt ír elő, ott a határvonalat építési vonalként kell értelmezni. Több utcával határolt telek esetén, egy utcában építési vonalnak, a többi utcában minimális előkert méretnek kell tekinteni. Ahol az építési övezet minimális előkertet határoz meg, ott az előírt szélesség megtartásával az építési helyen belül bárhol elhelyezhető épület.
  10. Kialakult, beépített terület: belterületen illetve beépítésre szánt területeken a telektömbben a telkek a földhivatali nyilvántartás szerint 75%-ban beépültek.

Telekalakítás általános szabályai[9]

5.§

  1. [10]
  2. A szabályozási tervben javasolt telekalakítások, telekosztások (így az ezekhez tartozó megszüntető jelek) irányadó jellegűek, a kedvezőbb telekszerkezet, telekméret kialakításának eszközei.
  3. A szabályozási terven nem szereplő telekosztás akkor engedélyezhető, ha az érintett telkek területe, és beépítési mutatói (beépítettség mértéke, zöldfelületi fedettség) a telekosztás után is megfelelnek az övezeti előírásoknak.
  4. A meglévő telkek méretei a már kialakult tömbökben eltérhetnek az egyes építési övezetekben előírt telek méreteitől, de új telket alakítani, telket megosztani csak a szabályozási terven ábrázoltak szerint, ahol a szabályozási terv telekalakítást nem jelöl az építési övezetben előírt minimális telekméret figyelembevételével lehet.
  5. Kialakult telkek esetén telekegyesítés, telekhatár rendezés abban az esetben is engedélyezhető ha az új telek, illetve telkek területnagysága, egyéb mérete nem felel meg az övezeti előírásoknak, de a telekhatárok megváltoztatása az előírt méretekhez közelít, vagy azoknak jobban megfelel.
  6. Az építési telkek megközelítésére szolgáló magánutat kialakítani akkor lehet, ha a magánút – az erről szóló külön szerződésben foglaltak keretei között –a közterületekre vonatkozó rendelkezések szerint kerül kialakításra, önálló helyrajzi számmal és földhivatali besorolásban „út” megjelöléssel.

Épületek, létesítmények elhelyezésére vonatkozó általános előírások

6.§

(1) [11]A területen az egyes övezetekben meghatározott rendeltetésű építmények illetve az ennek megfelelő funkciók helyezhetők el.

(2) A beépítésre szánt területeken részleges közműellátást kell biztosítani.

(3) Az építési hely beépítésre szánt területeken – amennyiben a szabályozási terv, illetve az építési övezet, övezet előírásai másként nem rendelkezik – a beépítési mód figyelembevételével a következő.

  1. Az építési övezet igazodási előírásai alapján a kötelező előkertet 2-2 szomszédos telken álló főépület figyelembe vételével a kialakult állapotnak megfelelően kell megállapítani és a helyszínrajzon igazolni, amennyiben ez egyértelműen nem állapítható meg, illetve új területek beépítése estén 5.0 m-t kell meghatározni. A kötelező előkert határát építési vonalként kell értelmezni. Több utcával határolt telek esetén, egy utcában építési vonalnak, a többi utcában minimális előkert méretnek kell tekinteni. Ahol az építési övezet minimális előkertet határoz meg, ott az előírt szélesség megtartásával az építési helyen belül bárhol elhelyezhető épület. Az oldalkert szélessége:
    • szabadon álló beépítési módnál: az építési övezetben megengedett legnagyobb építménymagasság fele, de legalább 3,0 méter,
    • oldalhatáron álló beépítési módnál: kialakult esetben az épületet a telekhatáron, vagy attól max. 1,0 m-re lehet elhelyezni. A szomszédos épületek közötti távolságnak legalább 6,0 méternek kell lennie, kialakult helyzetben, oldalkert felöli tűzfalképzés esetén, 3,0 m-nél kisebb nem lehet.
  2. a hátsókert mélysége:
    • az övezeti előírásokban megállapított minimális telekmélységet el nem érő telkek esetén legalább 4,0 m,
    • a 40 m telekmélységet meg nem haladó telek esetén legalább 6,0 m,
    • a 40 m-t meghaladó telekmélység esetén legalább 10,0 m,
    • 65 m-nél mélyebb telek esetén legalább 25 m legyen,

(4) Az építési hely beépítésre nem szánt területeken– amennyiben a szabályozási terv, illetve az építési övezet, övezet előírásai másként nem rendelkezik – az OTÉK előírásainak megfelelően határozandó meg.

(5) A természetes terepfelszín homlokzatsíkban történő 1,00 m-t meghaladó feltöltését az építménymagasságba be kell számítani.

(6) [12]

(7) A település lakó- és vegyes területein a telepengedély alapján gyakorolható tevékenységek[13] közül legfeljebb a környezetet nem zavaró szolgáltató és kisipari tevékenységek engedélyezhetők.

(8) A saroktelkek kerítésének 5-5 m-es zónájában áttört kerítés létesíthető, reklámtábla vagy az átláthatóságot zavaró növényzet nem helyezhető el.

(9) [14]

Tilalmak és korlátozások

7.§

(1) A nevelési, oktatási intézmény telkétől, továbbá egészségügyi intézmény, valamint élelmiszer előállítására, feldolgozására, fogyasztására, forgalmazására szolgáló épülettől 50 m-es távolságon belül állattartás céljára szolgáló építmény létesítése tilos.

(2) Felszíni vizek védőtávolsága, védőövezetei:

  1. természetes és természetközeli állapotú vízfolyások partvonalától számított 50-50 m, tavak partvonalától számított 100 m széles területsávban új épületek létesítése, meglévő épületek átépítése, a területsáv hasznosítása a vonatkozó természetvédelmi[15] és vízügyi jogszabályokban[16] foglaltak szerint történhet.
  2. az állóvizek, a vízfolyások és felszíni vízelvezető csatornák partján a partéltől mért, szabadon járható fenntartósáv biztosítandó, melynek szélessége:
    • kizárólagos állami tulajdonú vízfolyások mentén a partvonaltól számított 6-6 m,
    • az egyéb vizek és közcélú vízi létesítmények mentén a partvonaltól számított 3-3 m.

(3) Közlekedési és közmű nyomvonalak és létesítmények védőtávolsága, védőterülete:

  1. [17]országos közutak külterületi szakasza mentén az út tengelyétől mért 50-50 m,
  2. A külterületi feltáró utak számára a jelenlegi területüket, valamint az úttengelytől számított 10-10 m-t szabadon kell hagyni.
  3. 20 kV-os légvezeték szélső áramvezetőjétől vízszintesen a nyomvonalára merőlegesen mért 7m,
  4. 1-35 kV-os elektromos légvezetéké külterületen 5 m, belterületen 2,5 m,
  5. kisfelszültségű föld feletti légvezeték esetén 1 m,
  6. 35 kV-nál nem nagyobb feszültségű földben elhelyezett vezetéknél 1 m[18],
  7. Ahol a védőtávolság a kialakult állapot miatt nem biztosítható, ott meg kell oldani a közművek védelembe helyezését és szabvány alóli felmentést kell kérni.

Közterület alakításra vonatkozó általános szabályok

8.§

(1) A település közterületein elsődlegesen elhelyezhető:

  1. hirdető (reklám) berendezés, a közlekedésbiztonság betartása mellett,
  2. közúti közlekedéssel kapcsolatos építmények (várakozóhelyek és tartozékaik),
  3. köztisztasággal kapcsolatos építmények,
  4. szobor, díszkút, szakrális emlék,
  5. távbeszélőfülke.

(2) [19]

(3) A közterületeket csak a használat érdekében legszükségesebb nagyságú burkolt felületekkel szabad ellátni. A burkolatlan felületeket, ahol ezt műszaki okok nem akadályozzák, zöldfelületként kell kialakítani.

A szabályozási terv területfelhasználási egységei és övezetei

9.§

(1) A község beépítésre szánt területe az építés általános jellege, valamint sajátos építési használata szerint a következő építési övezetekből áll:

  1. Lakóterületek:

falusias lakóterület                                                                                                                                                             Lf-1,

  1. Vegyes területek:

településközpont vegyes terület                                                                                                       Vt-1

  1. Különleges területek:

sportpálya területe                                                                                                                                              K-sp

temető területe                                                                                                                                                                    K-t

külszíni bányaterület                                                                                                                                                          K-b

(2) A belterület beépítésre nem szánt területe az építés általános jellege, valamint sajátos építési használata szerint a következő övezetekből áll:

  1. Közlekedési és közműterületek:                                                                                      

közút területe                                                                                                                                                                       KÖu

  1. Zöldterületek                                                                                                                                                                                       Z-1, Z-2
  2. Mezőgazdasági területek

Kertes mezőgazdasági terület                                                                                                          Mk

  1. Vízgazdálkodási területek                                                                                                                  V


II. BEÉPÍTÉSRE SZÁNT TERÜLETEK, Építési övezetek ELŐÍRÁSAI

Falusias lakóterület

10.§

(1) A falusias lakóterületen elhelyezhető[20]:

  1.  Általában telkenként legfeljebb 2 lakásos (két önálló rendeltetési egységet magába foglaló) 1 db lakóépület, az övezetben meghatározott minimális telekterület többszörösét meghaladó telken annyi lakóépület helyezhető el, amennyi a telek felosztásával elhelyezhető lenne.
  2. helyi igazgatási, egyházi, oktatási, egészségügyi-, szociális épület,
  3. a lakosság ellátását szolgáló kereskedelmi-, szolgáltató-, szálláshely-szolgáltató, vendéglátó épület, kézműipari építmény,
  4. a lakófunkciót nem zavaró hatású mező- és erdőgazdasági (üzemi) építmény, (pl.: terménytároló, pajta, állattartó épület, pince), ill. egyéb gazdasági-, kisüzemi-, kisipari épület, kézműipari építmény,

(2) Minden építési telek és közforgalomnak megnyitott út között általában csak egy járműközlekedésre alkalmas kapcsolat létesíthető, legfeljebb 4,5 m szélességben. Amennyiben a telken működő funkció szükségessé teszi szélesebb behajtó létesíthető.

(3) A lakótelkek mérete a kialakult telekszerkezet függvénye. Az egyéb jogszabályoknak megfelelő[21] kialakult telkek beépíthetők, kivéve a 12 m szélességet el nem érő kialakult, de be nem épített telkeket.

(4) Telekhatár rendezés révén kialakuló telkek legkisebb szélessége nem lehet kevesebb 12,0 m-nél, a telekosztás után kialakult telkek legkisebb szélessége az építési vonalon min. 16,0 m.

(5) A lakótelek beépítési százalék számításánál a lakótelek összterülete 1500 m2-ig teljes területtel, az e feletti, 1500m2- 3500m2 közötti terület fél területtel, a 3500m2 feletti terület nem vehető figyelembe.

(6) A 20 méternél szélesebb telkek szabadon állóan is, az ennél keskenyebbek csak oldalhatáron állóan építhetők be. Szabadonállóan elhelyezett épületek esetén is legalább 6 méteres az utcára jellemző oldalkerti elhelyezkedést meg kell tartani.

(7) Az épületek a beépítési módnak megfelelő építési helyen helyezhetők el:

  • Meglévő épületeket bővíteni csak az új épületekre meghatározott szabályok betartásával szabad.
  • Meglévő épület elbontása esetén új épület lehetőleg az eredeti helyére épüljön, az építési helyen belül.
  • Építési helyen belül a lakófunkciójú és/vagy lakossági forgalmat bonyolító épületnek (főépületnek), mindig az utca felöl kell elhelyezkednie az utcaképet formáló módon.

(8) Az övezeti előírásnál magasabb, meglévő építmények kialakult állapotnak tekintendők. A meglévő épület bővítése esetén az építmény magassága nem nőhet, illetve a toldalék jellegű bővítmény építmény magassága az övezeti előírás szerinti értékét nem haladhatja meg.

(9) Az épületek tervezésénél figyelembe veendő építészeti karakteri jellemzők az alábbiak:

  1. Az utcára oromfalas megjelenésű épület-részek homlokzati szélessége max. 8,0 m lehet, ennél szélesebb homlokzat sátortetővel, vagy az utcával párhuzamos nyeregtetővel épülhet.
  2. Saroktelken oldalhatáron álló épületnek utcaképet formáló homlokzattal kell rendelkeznie (tűzfalas nem lehet).
  3. Tetőtér-beépítés esetén csak egy szintes tetőtér alakítható ki, ez által csak egy soros tetőablak (álló vagy síkban fekvő) létesíthető.
  4. A főépületek, illetve az utcaképet meghatározó épületek és építmények tetőfedési anyaga cserép, vagy hasonló esztétikai értékű korszerű pikkelyes fedőanyag lehet (azbesztcement hullámlemez és műanyag-hullámlemez, trapézlemez, felületkezelés nélküli fémlemezfedés nem alkalmazható).
  5. Pince, terepszint alatti építmény létesítése, felújítása, bővítése, átalakítása csak saját telken belül történhet, új, önállóan kialakított térszín alatti építmény a közterületet legfeljebb 3,0 m-re közelítheti meg. Telkenként a térszínt alatti beépítés legfeljebb 35% lehet.

(10) A lakóterületen az övezeti előírástól nagyobb építménymagasságú mezőgazdasági épület is elhelyezhető legfeljebb 6,5 m építménymagassággal, amennyiben az a szomszédos telket hátrányosan nem korlátozza és nem homlokvonalon, utcaképet formáló épületként valósul meg. Telken belül az épületek közötti telepítési távolság értéke a tényleges építménymagassággal megegyező.

(11) Az utcafronton max. 2,5 m magasságig áttört (faléc, farács, fémháló kitöltő mezővel) kerítés létesíthető, mely tömör lábazatos kialakítással is készülhet. Kerítés anyaga felületkezelés nélküli, natúr fém, alumínium lemez, hullámlemez nem lehet

(12) A falusias lakóterületek beépítettségük, egyéni karakterük alapján az alábbi építési övezetekre tagolódnak:

Lf– 1 – szabálytalan, szabálytalan alaprajzú, keskeny, mély telekosztás, oldalhatáron álló beépítés.

(13) Az lakóterületi építési övezetekre vonatkozó határértékeket a következő táblázat tartalmazza:

építési övezet

telekalakításra

vonatkozó előírások

építmények elhelyezésére

vonatkozó előírások

építményekre

vonatkozó előírások

Lf

legkisebb telek-

kötelező

legkisebb

legnagyobb

terület

m2

szélesség

m

mélység

m

építési mód

előkert

m

zöldfelület

%

beépítettség

%

ép.mag.

m

szintter. mut.

Lf-1

1000

14

50

O

i

55

25

5,0

0,5

i= illleszkedés

Településközpont vegyes terület

11.§

(1) A településközpont vegyes terület több önálló funkcionális egységet magába foglaló, lakó és olyan helyi települési szintű intézmények elhelyezésére szolgál, amelyek alapvetően nincsenek zavaró hatással a lakófunkcióra. Az egyes funkciók önálló épületben vagy lakóépületben, lakófunkcióval vegyesen is elhelyezhetőek az övezeti előírásoknak megfelelően.

(2) A településközpont vegyes területen elhelyezhető funkciók:

  1. igazgatási-, egyházi-, oktatási-, egészségügyi, szociális épületek,
  2. közösségi, szórakoztató, kulturális épület[22],
  3. kereskedelmi-, szolgáltató-, vendéglátó-, szálláshely-szolgáltató épületek,
  4. lakóépületek,
  5. játszókertek, közkertek, sportépítmények,
  6. önálló új üzemi gazdasági funkció kizárólag abban az esetben létesíthető, ha a vegyes területre vonatkozó környezeti feltételek teljesítése biztosított.

(3) A területen közforgalom számára megnyitott, meglévő kereskedelmi- szolgáltató- igazgatási-, intézményi létesítmény elhelyezése esetén hely hiányában, a parkolási lehetőség közterületen is biztosítható, ahol az övezeti előírások erre lehetőséget adnak.

(4) Az épületek a beépítési módnak megfelelő építési helyen helyezhetők el:

  1. meglévő épületek bővítése az új épületekre vonatkozó szabályok betartásával lehetséges.
  2. meglévő épület elbontása esetén új épület lehetőség szerint az eredeti helyére épüljön.

(5) Az épületek tervezésénél figyelembe veendő építészeti karakteri jellemzők az alábbiak:

  1. [23]A homlokzati nyílások ritmusát, az alkalmazott anyagokat, jellemző építészeti tagozatokat, épületszínezést a környezethez igazodó módon kell megtervezni.
  2. Az épületek kialakítása csak magas tetővel történhet. Az illeszkedés elve alapján a tető kialakítása a szomszédos 2-2 telken álló épület tetőformájához igazodó legyen (az utcával párhuzamos gerincű nyeregtető, vagy oromfalas kialakítású).
  3. Tetőtér-beépítés esetén csak egy szintes tetőtér alakítható ki, ez által csak egy soros tetőablak (álló vagy síkban fekvő) létesíthető.
  4. Az utcaképet meghatározó épületek és építmények tetőfedési anyaga cserép, vagy hasonló esztétikai értékű korszerű pikkelyes fedőanyag lehet (azbesztcement hullámlemez és műanyag-hullámlemez, fémlemezfedés nem alkalmazható).
  5. Pince, terepszint alatti építmény létesítése, felújítása, bővítése, átalakítása csak saját telken belül történhet, új, önállóan kialakított térszín alatti építmény a közterületet legfeljebb 3,0 m-re közelítheti meg. Telkenként a térszínt alatti beépítés legfeljebb 35% lehet.

(6) Az utcafronton max. 2,5 m magasságig áttört (faléc, farács, fémháló kitöltő mezővel) kerítés létesíthető, mely tömör lábazatos kialakítással is készülhet. Kerítés anyaga felületkezelés nélküli, natúr fém, alumínium lemez, hullámlemez nem lehet.

(7) A zöldfelületek kialakítására az alábbi előírások vonatkoznak:

  1. a telkek zöldfelülettel borított részének legalább ¼-ét háromszintű (gyep- cserje- és lombkoronaszint együttesen), növényzet alkalmazásával kell kialakítani. Kizárólag egyszintű növényzet (gyep) a zöldfelülettel fedett terület legfeljebb felét boríthatja.
  2. [24]
  3. Növénytelepítés során a tájra jellemző honos fa- és cserjefajok alkalmazandók.

(8) Az építési övezetekre vonatkozó határértékek:

építési övezet

telekalakításra

vonatkozó előírások*

építmények elhelyezésére

vonatkozó előírások

építményekre

vonatkozó előírások

Vt

legkisebb telek-

kötelező

legkisebb

legnagyobb

terület

m2

szélesség

m

mélység

m

építési mód

előkert

m

zöldfelület

%

beépítettség

%

ép.mag.

m

szintter. mut.

Vt

600

16

25

O, SZ

0

40

40

4,5

0,8

 

Különleges temető területek

12.§

  1. A temető a temetkezés céljait szolgáló terület, ahol elhelyezhetők:
    1. egyházi és világi kegyeleti épületek (pl.: ravatalozó, kápolna),
    2. sírépítmények, urnatárolók,
    3. a temetkezés céljait szolgáló egyéb építmények,
    4. a terület fenntartásához szükséges épületek, építmények (pl. szerszámtároló, hulladékgyűjtő).
  2. A temető övezet részletes előírásai:

építési övezet

telekalakításra

vonatkozó előírások

építmények elhelyezésére

vonatkozó előírások

építményekre

vonatkozó előírások

Kt

legkisebb telek-

kötelező

legkisebb

legnagyobb

terület

m2

szélesség

m

mélység

m

építési mód

előkert

m

zöldfelület

%

beépítettség

%

ép.mag.

m

szintter. mut.

Kt

1500

30

-

SZ

-

50

10

5,5

0,1

  1. A temető területén a meglévő növényzet védelmét biztosítani kell. Fa kizárólag abban az esetben vágható ki, ha azt balesetveszély elhárítása, vagy a fa rossz egészségi állapota teszi szükségessé. A növényzet folyamatos karbantartásáról gondoskodni kell.
  2. A temetők telekhatára mentén legalább kétszintű növényzetből álló növénysáv (cserjesáv) létesítendő, illetve tartandó fenn.

Különleges sportterület

13.§

  1. A szabályozási tervlapon sportterületként (Ks) lehatárolt terület a pihenés, testedzés céljára szolgáló terület, ahol elhelyezhetők:
  1. pihenést és testedzést szolgáló építmények (pihenőhely, sétaút, játszótér, sportpályák stb.),
  2. sportpályák kiszolgáló létesítményei (öltöző, lelátó),
  3. vendéglátó létesítmény,
  4. a terület fenntartását szolgáló épület, valamint
  5. a rendezvényturizmushoz kapcsolódó ideiglenes építmények (pl. sátor, színpad stb.)
  1. A sportterület részletes előírásai:

építési övezet

telekalakításra

vonatkozó előírások

építmények elhelyezésére

vonatkozó előírások

építményekre

vonatkozó előírások

Ks

legkisebb telek-

kötelező

legkisebb

legnagyobb

terület

m2

szélesség

m

mélység

m

építési mód

előkert

m

zöldfelület

%

beépítettség

%

ép.mag.

m

szintter. mut.

Ks

5000

60

K

SZ

10

70

10

5,5

0,1

  1. A sportterületen a zöldfelületek kialakítására az alábbi előírások vonatkoznak:
  1. az egyes telkek zöldfelülettel borított részének legalább 1/5-ét két- (gyep- és cserjeszint együttesen) vagy háromszintű (gyep-, cserje- és lombkoronaszint együttesen) növényzet alkalmazásával kell kialakítani.
  2. a parkolók telken belül is fásítva alakítandók ki: 4 parkolóhelyenként legalább 1, legalább kétszer iskolázott lombos fa telepítendő. A nagyobb zöldfelületi borítottság elérése miatt javasolt a parkolók gyepráccsal történő borítása.
  3. növénytelepítés során a termőhelyi adottságoknak megfelelő honos növényfajok alkalmazandók

Különleges külszíni bánya terület

14.§

  1. Ásványi nyersanyag kitermelése, bányanyitás, bányászati építmények, létesítmények elhelyezése kizárólag bányakapitánysági határozattal megállapított bányatelek határon belül, a Szabályozási terven bányaterületként lehatárolt területeken, jóváhagyott műszaki üzemi terv alapján, a bányászati szempontból kivett helyekre vonatkozó szabályok figyelembe vételével engedélyezhető.
  2. [25]A külszíni bányaterület övezetben kizárólag a bányaműveléshez kapcsolódó építmények, létesítmények helyezhetők el.
  3. A (2) bekezdésben meghatározott épületek, építmények által elfoglalt terület bányatelkenként a 300 m2-t nem haladhatja meg. 
  4. A bányavállalkozónak a művelés során a környezetbe illesztésről, valamint a humusz védelméről, összegyűjtéséről, megfelelő kezeléséről és újrahasznosításáról gondoskodnia kell.
  5. A bányászati hasznosítás során átalakított terület tájbaillesztése, ill. a terület újrahasznosítása érdekében az övezetben a bányászati tevékenység felhagyását követően tájrendezési terv alapján komplex tájrehabilitációt kell végezni, melyet a bányászati tevékenység felhagyásának ütemében folyamatosan kell megvalósítani. (A tájrehabilitáció tereprendezést, talajtakarást és növénytelepítést kell, hogy magába foglaljon.)
  6. A tájba illesztés elősegítése miatt a növénykiültetési terv készítése során a térségben honos fajok alkalmazását kell előnyben részesíteni.

Zöldterületek

15.§

  1. A zöldterületek a Szabályozási terven „Z” jellel jelölt közterületi zöldfelületek.
  2. A zöldterületek részletes előírásai az alábbiak:

építési övezet

telekalakításra

vonatkozó előírások

építmények

vonatkozó előírások

építményekre

vonatkozó előírások

Z

legkisebb telek-

kötelező

legkisebb

legnagyobb

terület

m2

szélesség

m

mélység

m

építési mód

előkert

m

zöldfelület

%

beépítettség

%

ép.mag.

m

szintter. mut.

Z-1

4000

60

-

-

-

80

0

-

-

Z-2

5000

60

-

SZ

15

75

2

4,5

-

  1. A Z-1 övezetben:
  1. pihenést és testedzést szolgáló építmények (pl.: pihenőhely, sétaút, játszótér),
  2. köztárgyak, műtárgyak (pl.: szobor, emlékmű, díszkút)

helyezhetők el. Az övezetben épületek nem alakíthatók ki.

  1. A Z-2 övezetben a (4) bekezdésben meghatározottakon túl elhelyezhetők:
  1. kerti építmények (pl.: pergola, zenepavilon),
  2. vendéglátó épület,
  3. a terület fenntartásához szükséges épület.
  1. A zöldterületeken elhelyezésre kerülő épületek, építmények kizárólag tájba illő építészeti kialakításúak (hagyományos anyaghasználatúak és felületi kiképzésűek, hagyományosan színezettek) lehetnek.
  2. A zöldterületek zöldfelülettel borított területének legalább 1/4-ét háromszintű növényzet (gyep-, cserje- és lombkoronaszint együttesen) alkalmazásával kell kialakítani. Egyszintű növényzet (gyepszint) a zöldfelülettel fedett terület legfeljebb felét boríthatja.
  3. [26]

Mezőgazdasági terület

16.§.

  1. A belterületi mezőgazdasági területek használatuk jellege szerint kertes mezőgazdasági területek, melyek az ún. házikert övezetbe tartoznak.
  2. A kialakult jellegzetes településszerkezet megtartása érdekében az övezetben épületek nem alakíthatók ki. Az övezetben növénytermesztés célját szolgáló fóliasátor elhelyezhető.
  3. Lakókocsi, lakókonténer, egyéb mobil jellegű építmény a mezőgazdasági területeken még átmenetileg sem helyezhető el.
  4. Az övezetben kizárólag áttört kialakítású, lábazat nélküli, legfeljebb 1,8 m magas kerítés építhető.

Vízgazdálkodási terület

17.§

  1. Vízgazdálkodási terület övezetbe a vízfolyások, közcélú nyílt csatornák, valamint állóvizek medre és parti sávja, továbbá az árvízi szükségtározó létesítményei (töltés) tartoznak.
  2. A parti sáv a felszíni vizek mentén, a fenntartás számára biztosítandó területsáv, melynek szélessége:
  1. kizárólagos állami tulajdonú vízfolyások partvonalától számított 6-6 m,
  2. az a) pontba nem tartozó vizek és közcélú vízi létesítmények partvonalától számított 3-3 m.
  1. Bányászati tevékenység befejezése révén visszamaradt tó vízfelülete mentén 20 m-es parti sáv tartandó fenn, mely a partvonaltól számított 6-6 m szélességben fenntartás céljaira biztosítandó, a további 12 m szélesség zöldfelületként alakítandó ki, többszintű növényzet telepítésével (lombkoronaszint, cserje, gyep).
  2. A parti sávban építmények elhelyezése, a parti sáv hasznosítása kizárólag a vonatkozó természetvédelmi[27] és vízügyi jogszabályokban[28] foglaltak szerint történhet.
  3. [29]


Közlekedési és közmű területek

18.§

  1. A közlekedési területek a meglévő és tervezett (szabályozott) közúti és vasúti telkek, ill. a hozzá csatlakozó közlekedésüzemi létesítményi területek.
  2. [30]A közúti közlekedési területeken a közlekedési műszaki létesítmények elhelyezésén túl csak a tömegközlekedést kiszolgáló létesítmények (pl.: várakozó helyiség, forgalomirányító helyiség) és legfeljebb A/2 méretű reklámépítmények helyezhetők el a forgalom biztonságának figyelembevételével.
  3. A közúthálózat elemei számára az alábbi szabályozási szélességű területeket kell biztosítani:
    1. Országos mellékút: 74127 meglévő 10-14 m között változó,
    2. Külterületi feltáró út: 12 m,
    3. Beépítésre szánt területek új lakó- és kiszolgáló útjainak szélessége 10-20 m,
    4. A kialakult, földhivatali nyilvántartásban szereplő szabályozási szélességek megtartandók.
    5. [31]
  4. A “Szabályozási terv”-en jelölt útvonalak és lakóutcák mentén a közlekedésbiztonsági szabályok figyelembevételével kétoldali fasor telepítése, a meglévő hiányos fasorok kiegészítése kötelező. A fasorok legfeljebb 8 m tőtávolsággal, azonos korú és fajú egyedekből, előnevelt faiskolai útsorfákból alakítandók ki.
  5. A burkolatlan felületeket, ahol ezt műszaki okok nem akadályozzák zöldfelületként kell kialakítani, a forgalomtechnika és a forgalombiztonság figyelembevételével.

Közművek létesítményei

19.§

  1. A meglévő közművek, hírközlési létesítmények egyéb építési tevékenység miatt szükségessé váló kiváltásakor, szabványos keresztezés kiépítésekor annak – szükség esetén – egyidejű rekonstrukciójáról is gondoskodni kell. A kiváltandó feleslegessé vált közművet fel kell bontani, felhagyott vezeték nem maradhat a földben.
  2. [32]A térség közcsatorna hálózatának kiépítésig, a szennyvizeket, ellenőrzötten zárt, szennyvízgyűjtő medencébe kell összegyűjteni és szippantó kocsival a kijelölt, engedéllyel rendelkező leürítőhelyre szállítani.
  3. Vállalkozási, gazdasági területről (lakótelkeken engedélyezett vállalkozások esetén is!) a kibocsátott szennyvíz szennyezettségének a közcsatornára való rákötési előírásoknak meg kell felelni az ettől eltérő szennyezettségű vizet telken belül létesítendő szennyvízkezeléssel – a megengedett szennyezettség mértékéig – elő kell tisztítani.
  4. A 20 db, illetve annál több gépkocsit befogadó parkolókat kiemelt szegéllyel kell kivitelezni, hogy a felületén összegyűjthető legyen a csapadékvíz, az ne folyhasson közvetlenül a zöldfelületre. Ezeknél nagyobb parkoló felületekről és a szennyezéssel veszélyeztetett gazdasági területek belső útjairól összegyűlő csapadékvíz csak hordalék és olajfogó műtárgyon keresztül vízjogi létesítési engedéllyel vezethető a csatornahálózatba, illetve a nyílt árkokba.
  5. Az egyes telkek gázellátása középnyomású hálózatról létesült bekötéssel történik, ezért helyi egyedi nyomáscsökkentő elhelyezése szükséges, amelyet telkeken belül, a zöldsávba, az előkertben növényzettel takartan kell elhelyezni. (Ha továbbtervezés során a nyomáscsökkentőt az épület falára szeretnék elhelyezni, akkor csak alárendeltebb homlokfalra történő elhelyezés engedélyezhető.)
  6. A vízhálózaton föld feletti tűzcsapokat kell telepíteni, a 100 méteres megközelítési távolságok figyelembevételével.
  7. Az elválasztott rendszerű csapadékvíz-elvezető hálózatot a településrészen kialakult állapotnak megfelelően nyílt vagy fedett árok, illetve zárt csatornaként kell kialakítani.
  8. A kisfeszültségű villamos és a hírközlési vezetékeket és kábel TV hálózatokat meglevő, felújításra kerülő hálózatokon és az új beépítésre szánt területeken földfeletti vezetés esetén a közös oszlopsoron kell vezetni.
  9. Közszolgálati (6 m-t meghaladó magasságban elhelyezendő) hírközlési építmény (antennatorony) csak építési engedéllyel helyezhető el. Meglevő, vagy tervezett lakóterületet 200 m-en belül megközelítő mobil rádiótelefon bázisállomás (antennatorony és elektrotechnikai berendezéseket tartalmazó konténer) elhelyezése településképi és esztétikai szempontból nem engedélyezhető.


Általános előírások

20.§

  1. Valamennyi terület-felhasználás, létesítés, beavatkozás során érvényre kell juttatni a környezetvédelmi előírásokat. A beruházások nem okozhatnak olyan hatásokat, amelyek a környező területek jelenlegi és tervezett használati módját jelentős mértékben zavarják, vagy lehetetlenné teszik.
  2. A környezetre jelentős mértékben hatást gyakorló tevékenység[33] megkezdése előtt környezeti hatásvizsgálatot kell végezni. A környezeti hatásvizsgálat készítésére kötelezett tevékenység kizárólag a területileg illetékes környezetvédelmi hatóságtól kapott környezetvédelmi engedély birtokában folytatható.
  3. A kedvezőtlen településképi látványt nyújtó tevékenységeket a telkeken belül oly módon kell elhelyezni, vagy takarásukról gondoskodni (pl. többszintű növényzettel vagy kerítéssel), hogy azok közterületről ne okozzanak rendezetlen, kedvezőtlen látványt.
  4. [34]

Levegőtisztaság-védelem

21.§

  1. Levegőterhelést okozó légszennyező forrásokra az elérhető legjobb technika alapján jogszabályban, ill. a területileg illetékes környezetvédelmi hatóság egyedi eljárásának keretében kerülnek megállapításra a kibocsátási határértékek[35].
  2. Levegőtisztaság-védelmi szempontból védelmi övezetet igénylő tevékenység[36] nem folytatható.
  3. Diffúz légszennyezést, kellemetlen szagot, bűzt okozó tevékenységek nem folytathatók.

Felszíni és felszín alatti vizek védelme

22.§

  1. A település közigazgatási területe a felszín alatti vizek minősége szerinti érzékeny besorolású terület[37]. A felszín alatti vizek és a földtani közeg védelme érdekében a vonatkozó jogszabályok[38] előírásait be kell tartani.
  2. [39]
  3. Ásott kutakba, csapadékvíz-csatornákba, csapadékvíz-elvezető árkokba szennyvizet, vagy az állattartás hulladékait tartalmazó csurgalékvizet még előtisztítás után, vagy tisztítottan sem szabad bevezetni.
  4. A szennyvizek, szennyvíziszapok felhasználása kizárólag a vonatkozó jogszabályokban foglalt előírások betartásával történhet[40].
  5. A felszíni vizek bármilyen jellegű szennyezése tilos. A vízfolyások környezetében nem folytathatók olyan tevékenységek, melyek veszélyeztetik a felszíni vizek, továbbá a talaj- és a talajvizek állapotát, és talaj vagy talajvízszennyezést okozhatnak. Felszíni vízi környezetbe kizárólag a vonatkozó jogszabályok előírásainak megfelelő minőségű csapadékvizek és szennyvizek vezethetők.[41]
  6. A szennyezőanyagok bemosódásának megakadályozása érdekében az állóvizek rendezése esetén a tóparti sávot úgy kell kialakítani, hogy a környező területre hulló csapadékvíz a tóba ne jusson be.
  7. A felszíni vizek öntisztulásának elősegítése miatt a vízparti sávban a természetközeli nádas, ligetes fás társulások, természetközeli ökoszisztémák védelmét biztosítani kell.
  8. A vízfolyások, csatornák, csapadékvíz-elvezető árkok rendszeres tisztításáról, karbantartásáról gondoskodni kell.

Hulladékkezelés

23.§

  1. A keletkező kommunális szilárd hulladékok rendezett gyűjtését és a szükséges időközönkénti elszállítását biztosítani kell. A keletkező hulladékok kizárólag kijelölt hulladéklerakó helyre szállíthatók.
  2. Veszélyes hulladékokat[42] eredményező tevékenységek a lakóterületen és a vegyes területeken kizárólag a lakosság alapfokú ellátásához kapcsolódó tevékenységek (pl. fogászat, fodrászat) folytatása esetén engedélyezhetők.
  3. A keletkező veszélyes hulladékokat az ártalmatlanításig, ill. az elszállításig a vonatkozó jogszabályokban[43] előírt módon, hulladékfajtánként elkülönítetten kell gyűjteni és környezetszennyezés nélkül tárolni.
  4. Az állattenyésztésből és feldolgozásból származó hulladékok ártalmatlanításakor a vonatkozó jogszabályok[44] előírásait be kell tartani.

Környezeti zaj elleni védelem

24.§

  1. Környezeti zajt, illetve rezgést előidéző új üzemi létesítményt, berendezést, technológiát, telephelyet és egyéb helyhez kötött külső zajforrást csak olyan módon szabad tervezni, létesíteni, üzembe helyezni, hogy az országos érvényű zajvédelmi rendeletben[45] a területre, illetve a területileg illetékes környezetvédelmi hatóság által a létesítményre megállapított zaj- és rezgésterhelési határértékeket ne haladja meg.
  2. Új út építése, meglévő út átépítése esetén a közlekedésből származó környezeti zajszint az országos érvényű zajvédelmi rendeletben[46] meghatározott határértékeket nem haladhatja meg.


Régészeti lelőhelyek védelme[47]

25.§

  1. [48]
  2. [49]A régészeti érdekű területeken tervezett munkálatok esetében az örökségvédelmi hatóságot véleményező szervként be kell vonni még a tervezés fázisában.
  3. [50]Minden olyan esetben, amikor lelet vagy jelenség kerül elő, a területileg illetékes múzeumot és az örökségvédelmi hatóságot értesíteni kell.
  4. [51]A nagy felületeket érintő beruházások előtt az örökségvédelmi hatóságot értesíteni kell, amely hatásvizsgálat készítését írhatja elő.

Építészeti örökség helyi védelmének általános szabályai

26.§

  1. Helyi védelem alatt álló épületek azok, amelyek a község épített emlékei között meghatározó arculatteremtő erejű értékek, amelyeket önkormányzati rendelettel védetté nyilvánítottak.
  2. A védetté nyilvánítást, vagy annak megszűntetését az önkormányzatnál bárki kezdeményezheti, ennek tartalmaznia kell:
    1. a védendő érték megnevezését, pontos címét, tulajdonosát, kezelőjét vagy használóját (továbbiakban tulajdonos).
    2. A védetté nyilvánítás, illetve megszűntetés indoklását.
  3. A helyi értékké való nyilvánításról, az önkormányzat külön rendeletben dönt, amelyben meghatározza a védendő területeket és egyedi létesítményeket és a tulajdonosra, illetve az önkormányzatra háruló kötelezettségeket. A helyi értékekről az önkormányzat nyilvántartást[52] vezet.
  4. A védettségről szóló döntésről tájékoztatni kell a kezdeményezőt és a tulajdonost.
  5. [53]

A helyi egyedi védelemre vonatkozó előírások

27.§

(1) A helyi építészeti értékek állaga megóvandó, homlokzati megjelenése, arányrendszere, anyaghasználata, környezete védendő.

(2) Az egyedi védelem alatt álló épületekre vonatkozó előírások:

  1. Felújítást, átalakítást csak az épület eredeti formavilágának megfelelően lehet engedélyezni.
  2. A helyi védelem alatt álló épületek tömeg- és homlokzatalakítása az épület jellegének megfelelően megtartandó, anyaghasználatában az eredeti anyaghasználathoz kell igazodnia.
  3. Épületben tetőablak csak síkban fekvően helyezhető el, az utcai homlokzaton a tetőtéri ablak nem létesíthető.
  4. Az utcai homlokzaton nem helyezhető el zavaró létesítmény (pl.: parabola, klíma).
  5. A védett ingatlanon új hirdetés, reklám nem helyezhető el.
  6. A homlokzaton a kialakult építészeti hagyományokkal összhangban lévő párkány, tagozat megtartandó.

(3) Védett építmény bontása csak a védelem megszüntetése után, a meglévő épület dokumentálása esetén engedélyezhető.

A település zöldfelületeinek védelme

28.§

  1. A település zöldfelületeinek megóvása érdekében meglévő fát, ill. növényzetet kivágni csak rendkívül indokolt esetben szabad.
  2. Közterületen, különleges területen, valamint kereskedelmi, szolgáltató vagy intézményi funkciójú vegyes területen a kivágott, elhalt növényzet pótlásáról a növényzet jellegének és értékének megfelelően, legalább az 1 m magasságban mért törzsátmérő mértékéig kell a növényzet kivágójának gondoskodnia.
  3. [54]
  4. A visszapótlásra szánt növényzetet lehetőség szerint az építési területen, vagy annak közelében kell telepíteni. A visszapótlásra szánt növényzet kiültetéséről az építési tevékenység megkezdése előtt kell gondoskodni, ha a visszapótlásra nem az építési területen kerül sor.


Záró rendelkezések

29.§

  1. E rendelet 2007. január 1-jén lép hatályba.
  2. A rendelet előírásait a hatályba lépést követően indított ügyekben kell alkalmazni.



VIII. Függelék

Függelék a 21/2006.(XII.14.) Zalaszombatfa ör-hez


I. Régészeti terület

nyilvántartott régészeti lelőhely és környezete:

az azonosított lelőhelyekkel érintett területek az alábbiak (lelőhelyenként a helyrajzi számok):

  1. 030.
  2. 66; 69-74; 75/1-2; 76-80; 82.
  3. 068/4
  4. 032/1
  5. 024; 029; 027/1; 027/2
  6. 067; 061; 065; 022/1; 022/2; 020; 060
  7. 030; 017; 018/2; 018/5; 018/6; 018/7


régészeti érdekű terület:

Mivel a lelőhelyek egy részének a kiterjedése a felszíni jelenségek alapján csak hozzávetőlegesen állapítható meg, a környezetüket, továbbá azokat a területeket, ahol a földrajzi adottságok és az adatgyűjtés során szerzett információk alapján jelenleg ismeretlen lelőhelyek feltételezhetők, régészeti érdekű területként kell kezelni.

  • A falu régészeti lelőhelyei a patakok és vízfolyások mellett az ártérből kissé kiemelkedő területeken helyezkednek el. A hasonló adottságú területek alkalmasak voltak az emberi megtelepedésre, ezért a patak és a vízfolyás (Kebele-, Szentgyörgyvölgyi-, Nagyvölgyi-, Kandia-patak, stb. és a térképeken névtelen vízfolyások) ártere melletti 4–500 m széles sáv, a bel- és külterületen egyaránt, a jelenleg ismert régészeti lelőhelyeken kívüli részeken is régészeti érdekű terület.
  • a lelőhelyek környezetében egy legalább 200 méteres sávot (régészeti lelőhely védősávjaként) régészeti érdekű területnek kell minősíteni,


II. Építészeti értékek

Helyi védelemre javasolt művi értékek:


megnevezés

cím

hrsz

Kápolna

Kossuth Lajos utca

1

Lakóház

Kossuth Lajos utca 3.

96

Lakóház

Kossuth Lajos utca 1.

91

Lakóház

Kossuth Lajos utca 29

144

 

III. Táj- és természetvédelmi területek

  • Natura 2000 terület (Kebele kiemelt jelentőségű különleges természet-megőrzési terület): (helyrajzi szám alapján: 08/1, 08/2, 09, 010, 011/2, 011/4, 011/5, 011/6, 011/7, 011/8, 011/9, 012, 013, 015, 016, 018/1, 018/3, 018/4, 018/5, 018/6, 018/7, 019/1, 019/2, 020, 021, 023, 062, 066, 067, 068/1, 068/3, 068/4, 069, 070, 071, 072, 073, 074, 075, 076, 077, 078, 079, 080, 081/1, 081/3, 081/4, 081/5, 081/6, 081/7, 081/8, 081/11, 081/15, 081/16, 081/17, 081/18, 081/19, 081/20, 081/21, 082, 083/1, 083/2, 084, 085/1, 085/2, 086, 087, 088, 089, 090, 091, 092/1, 092/3, 092/4, 092/5, 092/6, 092/7, 092/8, 092/9, 093, 095/1, 095/2, 096, 097, 098, 099/1, 099/2, 099/3, 0100, 0101, 0102, 0103/1, 0103/2, 0105, 0106, 0107, 0108, 0109) [55]
  • Országos ökológiai hálózatba tartozó területek a település belterületétől délre és keletre lévő területsávban[56]
  • Természeti területek: természetközeli állapotú erdő- és gyepterületek[57]
  • Nyilvántartásba vételre javasolt táji értékek:

Településsel kapcsolatos emlékek:

Vallási emlékek:

  • feszület a temető felé vezető út mentén (94 hrsz-ú területen)
  • feszület a temetőben (82 hrsz-ú terület)

Termeléssel kapcsolatos emlékek:

  • Agrártörténeti emlék (szőlőprés) a Kossuth u. 31. sz. ház udvarán (146 hrsz-ú terület)

IV. A közúthálózat elemeinek a tervezési osztály besorolása:

  1. Országos mellékút: 74127 j. bekötőút (meglévő) K.VI.B, belterületi szakaszon B.V.c-C
  2. Feltáró kiszolgáló utak: földút K.VIII.C
  3. Egyéb kiszolgáló utak: Az összes egyéb bel-, és külterületi út. (meglévő) B.VI.d.D
  4. Kerékpárút K.IX.
  5. Gyalogút B.X.
[1]

Módosította 8/2016.(X.26.) Zalaszombatfa ör. Hatályos 2016.X.27-től

[2]

A TÉR-t-REND Kft. által 2005-ben készített szabályozási tervlapja

[3]

Amennyiben a módosítás terület felhasználást, illetve belterületi határt érint, az Étv. figyelembevételével a szerkezeti tervet is módosítani kell.

[4]

Lásd: Étv. 27.§

[5]

Hatályon kívül helyezte 8/2016.(X.26.) Zalaszombatfa ör. Hatálytalan 2016.X.27-től

[6]

Hatályon kívül helyezte 8/2016.(X.26.) Zalaszombatfa ör. Hatálytalan 2016.X.27-től

[7]

Hatályon kívül helyezte 8/2016.(X.26.) Zalaszombatfa ör. Hatálytalan 2016.X.27-től

[8]

Hatályon kívül helyezte 8/2016.(X.26.) Zalaszombatfa ör. Hatálytalan 2016.X.27-től

[9]

lásd: 85/2000. (XI. 8.) FVM rendelet a telekalakításról, valamint Étv. 23, 24 §.

[10]

Hatályon kívül helyezte 8/2016.(X.26.) Zalaszombatfa ör. Hatálytalan 2016.X.27-től

[11]

Módosította 8/2016.(X.26.) Zalaszombatfa ör. Hatályos 2016.X.27-től

[12]

Hatályon kívül helyezte 8/2016.(X.26.) Zalaszombatfa ör. Hatálytalan 2016.X.27-től

[13]

e tevékenységek körét a 80/1999. (VI.11.) Korm. rendelet tartalmazza

[14]

Hatályon kívül helyezte 8/2016.(X.26.) Zalaszombatfa ör. Hatálytalan 2016.X.27-től

[15]

1996. évi LIII. tv.

[16]

21/2006. (I.31.) Korm. rendelet

[17]

Módosította 8/2016.(X.26.) Zalaszombatfa ör. Hatályos 2016.X.27-től

[18]

a 11/1984 (VIII. 22.) IpM rendelet

[19]

Hatályon kívül helyezte 8/2016.(X.26.) Zalaszombatfa ör. Hatálytalan 2016.X.27-től

[20]

OTÉK szigorítás: üzemanyagtöltő nem helyezhető el.

[21]

lásd: 85/2000. (XI. 8.) FVM rendelet a telekalakításról, Étv

[22]

OTÉK 16.§ (2) 4. pontjában meghatározott

[23]

Módosította 8/2016.(X.26.) Zalaszombatfa ör. Hatályos 2016.X.27-től

[24]

Hatályon kívül helyezte 8/2016.(X.26.) Zalaszombatfa ör. Hatálytalan 2016.X.27-től

[25]

Módosította 8/2016.(X.26.) Zalaszombatfa ör. Hatályos 2016.X.27-től

[26]

Hatályon kívül helyezte 8/2016.(X.26.) Zalaszombatfa ör. Hatálytalan 2016.X.27-től

[27]

1996. évi LIII. tv.

[28]

21/2006. (I.31.) Korm. rendelet

[29]

Hatályon kívül helyezte 8/2016.(X.26.) Zalaszombatfa ör. Hatálytalan 2016.X.27-től

[30]

Módosította 8/2016.(X.26.) Zalaszombatfa ör. Hatályos 2016.X.27-től

[31]

Hatályon kívül helyezte 8/2016.(X.26.) Zalaszombatfa ör. Hatálytalan 2016.X.27-től

[32]

Módosította 8/2016.(X.26.) Zalaszombatfa ör. Hatályos 2016.X.27-től

[33]

e tevékenységek körét a 314/2005. (XII.25.) Korm. rendelet tartalmazza

[34]

Hatályon kívül helyezte 8/2016.(X.26.) Zalaszombatfa ör. Hatálytalan 2016.X.27-től

[35]

a levegő védelmével kapcsolatos egyes szabályokról szóló 21/2001. (II.14.) Korm. rendelet előírásainak megfelelően (5.§. (2) bek.)

[36]

21/2001. (II.14.) Korm. rendelet 2. sz. melléklete szerinti tevékenységek

[37]

27/2004. (XII.25.) KvVM rendelet melléklete szerint

[38]

219/2004. (VII.21.) Korm.rendelet

 10/2000. (VI.2.) KöM-EüM-FVM-KHVM együttes rendelet

[39]

Hatályon kívül helyezte 8/2016.(X.26.) Zalaszombatfa ör. Hatálytalan 2016.X.27-től

[40]

50/2001 (IV.3.) Korm. rendelet

[41]

28/2004. (XII. 25.) KvVM rendelet

[42]

16/2001. (VII.18.) KöM rendelet

[43]

98/2001 (VI.15.) Korm. rend.

[44]

41/1997. (V.28.) FM rendelet és 71/2003. (VI.27.) FVM rendelet

[45]

8/2002. (III.22.) KöM-EüM együttes rendelet

[46]

8/2002. (III.22.) KöM-EüM együttes rendelet

[47]

Régészeti érintettség esetén a 2001. évi LXIV. törvény és a hozzá kapcsolódó végrehajtási rendeletek alapján kell eljárni. A régészeti örökséget érintő egyéb kérdésekben a rendezési tervhez készített hatástanulmányban foglaltak az irányadók.

[48]

Hatályon kívül helyezte 8/2016.(X.26.) Zalaszombatfa ör. Hatálytalan 2016.X.27-től

[49]

Módosította 8/2016.(X.26.) Zalaszombatfa ör. Hatályos 2016.X.27-től

[50]

Módosította 8/2016.(X.26.) Zalaszombatfa ör. Hatályos 2016.X.27-től

[51]

Módosította 8/2016.(X.26.) Zalaszombatfa ör. Hatályos 2016.X.27-től

[52]

a 66/1999.(VIII. 13.) FVM rendelet 8. §-a szerint.

[53]

Hatályon kívül helyezte 8/2016.(X.26.) Zalaszombatfa ör. Hatálytalan 2016.X.27-től

[54]

Hatályon kívül helyezte 8/2016.(X.26.) Zalaszombatfa ör. Hatálytalan 2016.X.27-től

[55]

az európai közösségi jelentőségű természetvédelmi rendeltetésű területekkel érintett földrészletek jegyzékéről szóló környezetvédelmi és vízügyi miniszteri közlemény alapján (MK 2005. évi 80. szám)

[56]

az Országos Területrendezési terv (2003. évi XXVI. tv.) országos ökológiai hálózati övezeti tervlapja alapján

[57]

a Balatoni Nemzeti Park Igazgatóság adatszolgáltatása alapján