Pusztaradvány Község Önkormányzata Képviselő-testületének 9/2005. (XI. 4.) önkormányzati rendelete
Pusztaradvány község Helyi Építési Szabályzatáról és Szabályozási Tervéről
Hatályos: 2008. 12. 10
Pusztaradvány Község Önkormányzata Képviselő-testületének 9/2005. (XI. 4.) önkormányzati rendelete
Pusztaradvány község Helyi Építési Szabályzatáról és Szabályozási Tervéről
2008.12.10.
I. Fejezet
1. § A rendelet célja, hogy biztosítsa és szabályozza a település közigazgatási területén az építés helyi rendjét – az országos szabályoknak megfelelően – a település sajátos igényeit figyelembe véve.
2. § (1) Ezen rendelet területi hatálya Pusztaradvány község közigazgatási területére terjed ki.
(2) Ezen rendelet személyi hatálya kiterjed minden olyan természetes személyre, jogi személyre, és jogi személyiség nélküli társaságra, aki építésügyi hatósági eljárást kezdeményez, vagy abban jogszabály alapján részt vesz.
(3) A rendelet hatálya alá tartozó területen építési, telekalakítási tevékenységet folytatni, arra építésügyi hatósági engedélyt adni, és kötelezést előírni csak az általános érvényű hatósági
előírások figyelembevételével, ezen rendelet, valamint az érvényben lévő szerkezeti, -és szabályozási tervek együttes alkalmazásával szabad.
(4) A rendelet területi hatályán belül területet felhasználni, továbbá telket alakítani, rendeltetést megváltoztatni, építeni, bontani és ezekre hatósági engedélyt adni az általános hatósági előírások (OTÉK) és jelen rendelet, valamint az érvényben lévő településszerkezeti, -és szabályozási terv együttes alkalmazásával szabad.
3. § A település és a táj szerves kapcsolatáról, a táj domborzati jellegének megőrzéséről, a jellegzetes növényállomány megtartásáról az építmények elhelyezése és kialakítása, továbbá a művelés során egyaránt gondoskodni kell.
(1) Közigazgatási terület: a település bel, -és külterületének összessége;
(2) Külterület: a település közigazgatási területé belül belterületnek nem minősülő, elsősorban mezőgazdasági, erdőművelési, illetőleg különleges célra szolgáló része;
(3) Belterület: a település közigazgatási területének jellemzően a település történetileg kialakult, elsősorban összefüggő beépített, illetőleg beépítésre szánt területeket tartalmazó kijelölt része;
(4) Beépítésre nem szánt terület: a település közigazgatási területének a zöldterületei, a közlekedési, a mezőgazdasági, az erdőművelési illetőleg az egyéb (pl.: bánya, vízmeder, hulladéklerakó …stb) célra szolgáló része;
(5) Beépítésre szánt terület: a település közigazgatási területének a beépített, illetve a további beépítés céljára szolgáló része;
(6) Település területi mutatója: közigazgatási terület nagysága, azaz 7,14 km2
(7) Építési telek: beépítésre szánt területen fekvő, az építési szabályoknak megfelelően kialakított és köz- vagy magánútról gépjárművel közvetlenül megközelíthető, a legkisebb beépítési méretet elérő (ingatlan) telek.
(8) Építmény: /az épület, műtárgy gyűjtőfogalma/ a rendeltetésére, szerkezeti megoldására, anyagára, készültségi fokára és kiterjedésére tekintet nélkül minden olyan helyhez kötött műszaki alkotás, mely a talaj, az út vagy azok feletti légtér természetes állapotának tartós megváltoztatásával, beépítésével jön létre.
(9) Épület: olyan építmény, amely szerkezeteivel részben vagy egészben teret, helységet vagy ezek együttesét zárja körül meghatározott rendeltetés céljából; a gáz, a folyadék és az egyéb ömlesztett anyagok tárolására és szállítására szolgáló műszaki alkotások (műtárgyak) kivételével.
Belterületi határmódosítás
(1) Jelen szabályozás nem irányoz elő belterületi határmódosítást.
(2) A belterületbe vonás alapfeltétele az érintett területre szabályozási terv készítése, amely
a konkrét építésügyi igények függvényben ütemezetten/szakaszosan is végrehajtható.
(3) A szabályozási terv határozza meg
a.) a település bel, -és külterületének határvonalát;
b.) a belterületbe vonásra kerülő területek rendeltetését.
(4) A beépítésre szánt területeket nem szükségszerűen kell belterületbe vonni. Amennyiben a területek nem kerülnek belterületbe vonásra, úgy beépítésre szánt területként kezelendők, ahol a szabályozási tervben és jelen rendeletben meghatározott övezeti szabályozások érvényesek.
II. Fejezet
6. § (1) Az építéshatósági engedélyezést az építési tevékenységgel kapcsolatos hatósági engedélyezési eljárásokról szóló 37/2007.(XII.13.) ÖTM rendelet alapján a területileg illetékes építésügyi hatóság végzi.
(2) hatályon kívül helyezve
(3) Műemléki és helyi védelem alatt álló épületek meghatározott védőövezetében történő építéshatósági engedélyezési eljárás során szakhatósági állásfoglalást kell kérni a területileg illetékes Nemzeti Kulturális Örökségvédelmi Hivataltól.
(4) Régészeti lelőhelyek meghatározott védőövezetében, ahol védőövezet nem került kijelölésre ott a régészeti lelőhely 200 m-es környezetében történő, építéshatósági engedélyezési eljárás során régészeti szakhatósági állásfoglalást kell kérni a területileg illetékes régészeti hatóságtól.
(5) Azokon a területeken, ahol a terület-felhasználás vagy az építési övezet a szabályozási terv szerint megváltozik az építés és a telekalakítás a változásnak megfelelően engedélyezhető.
(6) A település bel, -és külterületen lévő beépítésre szánt területekre a megközelítést köz, vagy magánútról biztosítani kell.
(7) A külterületen lévő beépítésre nem szánt területek, -elsősorban mezőgazdasági és erdőterületek- megközelítése a településen belül kialakult határhasználati és közlekedési rend szerint történjen. Ilyen esetben – a kialakult rend szerint – egyes terület felhasználási egységek, illetve ezen, belüli földrészletek magánterületről (útnak használt) is megközelíthetőek.
(8) A belterületi úthálózat önkormányzati tulajdonba vételének feltétele a szilárd burkolat kiépítése, melynek megvalósítása az átadó tulajdonosnak vagy jogutódjának kötelezettsége. Az út átvétele során a szilárd burkolat kiépítésétől a képviselő testület határozati döntésben elállhat.
(9) A tervezett földmunkák előtt szükséges a terv által érintett (még beépítetlen) 3 ha feletti összefüggő területek régészeti lelőhelyeinek topográfiai meghatározása, a veszélyeztetett régészeti lelőhelyek feltárása, azok anyagának megfelelő elhelyezése.
- reklámhordozók vonatkozó tervei,
- klímaberendezések vonatkozó tervei,
- védett épületek esetében illeszkedési és részletes színezési terv,
(3) Amennyiben a beépítésre nem szánt területeken az építésügyi jogszabályok keretei között mégis épület építésére kerülne sor, úgy a megközelítést jelen rendelet 7. § (6) bekezdés szerint kell biztosítani.
(4) Az építési engedélyezési eljárás során csak a meglévő környezethez igazodó, abba beleillő, alkalmazkodó építmények, épületek engedélyezhetőek. Nem engedélyezhetőek a meglévő építészeti karaktertől idegen épületek, a környezetbe nem illő elemek, a tájhagyománytól idegen építési anyagok felhasználása és formakultúra.
(5) A használatbavételi engedély megadásának feltétele:
a.) az építkezési munkálatok során keletkező hulladék elszállítása vagy ártalommentes elhelyezése;
b.) szilárd kommunális hulladékszállítási rendszerbe való bekapcsolódás.
c.) szennyvízhálózatra történő rácsatlakozás, annak hiányában szennyvíz elszállításra kötött szerződés vagy a közszolgáltató igazolása a szállításról;
d.) a zárt rendszerű szennyvíztározó üzembe helyezése, és vízzárósági jegyzőkönyvének megléte;
(6) Mindenféle állattartó építmény, épület esetében a zártrendszerű, a környezetszennyezést megakadályozó szilárd, -és híg trágyatárolást kötelezően meg kell valósítani.
(7) Az egyes építési övezetekben a beépítésre szánt területen építési engedélyt kiadni csak a település területén meglévő összes közmű kiépítése és az ingatlannal való rácsatlakozása esetén lehet.
(8) A rendeletben meghatározott műemléki környezet és a helyi védelemi területre illeszkedési tervet kell készíteni, melyet fotódokumentáció egészítsen ki. Az utcaképi terv legalább a szomszédos 3-3 telket foglalja magába akkor is, ha esetleg közterület választja el a tervezendő épülettől.
(9) Az engedélyhez kötött építési munkák esetében a helyi építészeti védelem alá vont épületek esetében felmérési tervdokumentációt kell készíteni, melynek tartalmaznia kell az eltérő szintek (pince is) alaprajzait, és fotódokumentációt -melyen a védett épület külső és belső értékei is megjeleníti- az épületről. A védett épületek átalakításánál az eredeti állapotok visszaállítására kell törekedni, illetve az épületen lévő értékeket meg kell őrizni.
(10) Kereskedelmi, szolgáltató, valamint vendéglátó tevékenység céljára közterületen építmény, épület csak ideiglenes jelleggel létesíthető.
(11) A vízfolyások esetében -a kezelési sáv szélességet- biztosítani kell a vízfolyás karbantartásának –gépi, -és kézi- feltételeit.
Telekalakítás engedélyezése
(1) A telekalakítási eljárás engedélyezését a területileg illetékes építésügyi hatóság, a telekalakításról szóló
85/2000. (XI. 8.) FVM rendelet alapján látja el.
(2) A szerkezeti tervben előirányzott területrendezési feladatok érdekében a tervezett beépítésre szánt területeket -közterületeket, közlekedési területeket- ki kell alakítani, majd a szabályozási tervnek megfelelően a jelen rendeletben meghatározott előírások által a telekalakítások elvégezhetőek.
(3) A szabályozási terven jelölt telekalakításokat, út céljára történő lejegyzéseket a fejlesztések érdekében el kell végezni.
(4) Új telekosztással kialakított területen:
a.) nyeles telek, és
b.) az adott övezeti szabályozásban megadott minimális telekméretnél kisebb telek nem alakítható ki.
(5) A település közigazgatási területén minden telekalakítással érintett bel, -és külterületi ingatlan megközelítését köz, -vagy magánútról biztosítani kell.
(6) A település területén építési telket alakítani a szabályozási, -és szerkezeti terv vonatkozó kötelező erejű szabályozási elemeinek betartásával lehet.
(7) Minden építési telekre a gépjárművel történő közvetlen behajtás lehetőségét biztosítani kell.
(8) A telekre vonatkozó minimális területi, telekméretet meghatározó egyéb adatokat az összefoglaló övezeti szabályozásának táblázatai tartalmazzák.
(9) Az 500 m2 alatti kialakult telek nem minősül építési teleknek.
(1) A település közigazgatási területe építési szempontból beépítésre szánt és beépítésre nem szánt területekre tagozódik.
(2) Beépítésre szánt területek építési használatának jellege szerint
1.) lakóterület, ezen belül
1.1. falusias lakóterület
2.) különleges terület, ezen belül
3.) mezőgazdasági terület
(3) Beépítésre nem szánt területek építési használatának jellege szerint
1.) közlekedési és közmű-elhelyezési területek
2.) közterületek (beépítésre nem szánt)
4.) mezőgazdasági területek (beépítésre nem szánt)
5.) egyéb terület, vízgazdálkodási terület, ezen belül
kerültek kijelölésre, melyek övezeti besorolását a szabályozási terv határozza meg és határolja le.
(4) A 253/1997. (XII. 20.) kormány rendelet 7. § alapján a beépítésre szánt területek építési övezetekre, a beépítésre nem szánt területek övezetekre tagozódnak.
(1) A szabályozási terv kötelező és irányadó elemeit a szabályozási terv tartalmazza
a.) Kötelező szabályozási elemek:
- Tervezett belterületi határ,
- Beépítésre szánt terület határa,
- A közterületek és egyéb funkciójú területek határa- szabályozási vonal,
- A szabályozási szélesség,
- A terület-felhasználási egység határa,
- Övezeti határ,
- Övezeti előírások, ezen belül:
- beépítési mód,
- legnagyobb beépíthetőség,
- legkisebb telekméret /szélesség, mélység, telekterület/
- zöldterület legkisebb mértéke
- a megengedett legkisebb-legnagyobb építménymagasság
- A terület-felhasználási és övezeti besorolás:
- A területre, építményekre, természeti és egyéb objektumokra vonatkozó védelmi előírások
- Élő-, hátsó- és oldalkertek méretei építési hely
- Kötelező építési vonal
- Lakótelkek zónái
- A közművesítés előírásai
- Terepszint alatti építmények előírása
- Környezetvédelmi előírások
b.) Irányadó elemek:
- Az azonos építési övezeten belüli telekosztás és telekhatárok
(2) A szabályozás elemei az alábbiak szerint módosíthatók:
a.) A kötelező szabályozási elemek módosításához a szabályozási terv módosítása szükséges;
b.) Az irányadó szabályozási elemek módosítására a rendezési terv módosítása nélkül akkor van lehetőség, ha az egyéb előírásokban meghatározott valamennyi kívánalom teljesítésre kerül:
- a meglévő telekhatárok megváltoztatásához (melyet kötelező szabályozási vonal, területegység határa vagy övezeti határ nem tilt) rendezési tervet nem kell módosítani, de az övezeti szabályozás kötelező elemeit be kell tartani;
- telekösszevonások esetén is be kell tartani a szabályozási tervben meghatározott kötelező szabályozási elemek (legnagyobb beépítettség, építménymagasság, beépítési mód).
(3) Az övezeti jelben feltüntetett ( K) kialakult jel értelmezése és használata
a) beépítettség esetén -a meglévő beépítettségi mérték nem növelhető, amennyiben a kialakult beépítettségi mérték nagyobb, mint az övezetben megadott legnagyobb beépítettség mértéke, úgy a kialakult értéket lehet alkalmazni.
b) építménymagasság esetén -a meglévő épületmagasság értéke, a kialakult épületmagasságon túl (homlokzat magasság) nem növelhető, amennyiben a kialakult épületmagasság értéke kisebb, mint a kialakult építménymagasság értéke, úgy az megtartható.
c) telekterület esetén -a meglévő telekterület nem csökkenthető és nem megosztható, amennyiben a kialakult telekterület kisebb, mint az övezeti szabályozásban megadott minimális telekterület, az egyéb övezeti előírások megtartása mellett a telek beépíthető.
III. Fejezet
Területfelhasználási egységek övezeti szabályozása
(1) A 253/1997. (XII.20) korm. rendelet 8. §-ában szereplő közművesítettség meghatározása:
a.) teljes közművesítettség az, ha legalább
- közműves villamosenergia-szolgáltatás,
- közműves ivóvíz-szolgáltatás,
- közműves szennyvízelvezetés, és
- közműves vagy fedett árokrendszerű csapadékvíz-elvezetés van .
b.) részleges közművesítettség az, ha legalább
- közműves villamosenergia-szolgáltatás,
- közműves ivóvíz-szolgáltatás,
- korszerű közműpótlóval történő szennyvíztisztítás és szenyvízelhelyezés
- nyílt árokrendszerű csapadékvíz elvezetés
c.) közművesítetlennek minősül a terület, ha a terület a részleges közművesítettségre előírt feltételek valamelyikével nem rendelkezik
Beépítésre szánt területek általános előírásai
(1) Az épületek az építési helyen belül a kötelező jellegű szabályozási elemek betartásával szabadon elhelyezhetők.
(2) Terepszint alatti építmény – a közművek és közműpótló építmények kivételével – a legnagyobb beépítés nagyságát meghaladó mértékben csak az építési hely határain belül, a telekre vonatkozó legkisebb zöldfelület megvalósításával és csak akkor engedélyezhető, ha a terepszinttől számított magassága az 1,0 métert nem haladja meg.
(3) A 253/1997. (XII.20) korm. rendelet 32. §-ában meghatározottan valamennyi építési övezetben elhelyezhetők:
- a nyomvonal jellegű építmények és műtárgyaik, a külön jogszabály keretei között,
- a köztárgyak,
- a kutatást és az ismeretterjesztést szolgáló épületnek nem minősülő építmények,
- a nyilvános illemhelyek, hulladékgyűjtők.
(4) Az övezeti előírások célja, hogy az építmények ne lépjék túl egy terület terhelhetőségi korlátait, és az egymással szomszédos földrészletek használati és beépíthetőségi lehetőségei egyformán biztosítottak legyenek, valamint a település képe harmonikusan fejődjön.
(5) Tetőtér beépítés esetén csak egy hasznos tetőtéri építményszint létesíthető.
(6) Az egyes építési övezetekben meghatározott minimális telekméret minden telekalakítással újonnan kialakított építési telek esetében kötelezően be kell tartani.
Elő -oldal és hátsókertre vonatkozó térmértéki meghatározások
(1) Az előkert nagysága:
a.) foghíjtelek beépítése esetén igazodni kell a kialakult beépítési vonalhoz,
b.) új telkek kialakítása esetén vagy minimálisan 4db egymás melletti foghíj beépítésénél 5 méter.
(2) Az oldalkert nagysága:
a.) foghíjtelek beépítése esetén a kialakult állapotnak megfelelően, de 4 méternél nem lehet kisebb,
b.) új telkek kialakítása esetén vagy minimálisan 4db egymás melletti foghíj beépítésénél 6 méter.
c.) amennyiben a telek kialakult beépítési viszonyai és telekszélessége miatt az épület a 6 méteres oldalkerti méretének a betartása esetén nem építhető be racionálisan
és a 253/1997. (XII. 20.) korm. rendeletben előírt építmények közötti legkisebb távolság nem tartható a szomszédos telkek között, úgy az újonnan épült vagy felújításra kerülő épület estében a tényleges építménymagasság értéke határozza meg az oldalkerti méretet, mely azonban nem lehet kevesebb 4 méternél.
(3) A hátsókert nagysága
a.) foghíjtelek beépítése esetén a kialakult állapotnak megfelelően, de 4 méternél nem lehet kisebb,
b.) új telkek kialakítása esetén vagy minimálisan 4db egymás melletti foghíj beépítésénél 6 méter
c.) a hátsókertek megállapítása a telek építési határvonalai szerint történik,
d.) amennyiben a gazdasági terület egység túlnyúlik a hátsó telekhatáron, úgy a hátsókert mérete minimum 6 méter, illetve a tényleges épületmagasság mértéke.
(4) A melléképületek a kötelező oldalkerti és hátsókerti méretek betartása mellett szabadon elhelyezhetők. Oldalhatáron álló melléképület csak a főépülettel megegyező telekhatárra épülhet.
(5) A foghíjtelkek beépítése esetén, amennyiben az oldal, -és hátsókert nagysága nem éri el ezen jogszabályban meghatározott minimális távolságot, akkor azokat a telkeket csak összevonás után lehet építési célra felhasználni.
Elő -oldal és hátsókertre vonatkozó beépítési szabályok
(1) Elő –és oldalkert esetében elhelyezésre kerülhet
- közmű-becsatlakozási műtárgy,
- kirakatszekrény, ami nem haladja meg az 1m2-t,
- szabadon álló 1m2-t meg nem haladó reklámtábla,
- hulladéktartály tároló (legfeljebb 1,50 m-es magassággal )
(2) Oldal,-és hátsókert esetében elhelyezésre kerülhet
- köztéri/kerti elemek (pad, hinta, megvilágító testek, csúszda),
- a terepszinttől 1 méternél magasabbra emelkedő, lefedés nélküli terasz,
- szabadon álló és legfeljebb 6 m magas szélkerék, napkollektor
- kerti szabad lépcső, -és lejtő
- kerti épített tűzrakó hely, lugas,
- kerti tető legfeljebb 20 m2 vízszintes vetülettel,
(3) Oldal-és hátsókert esetében az építményeket úgy kell elhelyezni, hogy 4 méternél nem lehet kisebb –a gépjárművel való behajtás lehetőségének biztosítása érdekében – a szabadon hagyott rész.
Lakóterületek általános előírásai
(1) A település közigazgatási területén építési használatuk alapján a lakóterületek közül csak a falusias lakóterület van jelen.
(2) A lakóterületen belül a szabályozott beépítési módtól az alábbi esetekben lehet eltérni:
a.) Főépületek esetében
- ha a telek szélessége meghaladja a 18 métert, az oldalhatáron álló beépítés 1,0 méter széles csurgótávolság elhagyásával és
- amennyiben a telek szélessége meghaladja a 22 métert, szabadon álló beépítés is engedélyezhető.
b.) Melléképületek esetében
- A kötelező oldalkerti méretek betartása mellett melléképület szabadon állóan is létesíthető.
(3) A zöldterületi fedettség kötelezően betartandó értékét a jelen rendelet összefoglaló övezeti szabályozásának táblázatai határozzák meg.
(4) Az állattartó épületek elhelyezésének részletes szabályozásáról az önkormányzatnak helyi rendeletet kell alkotnia, legkésőbb 2006. június 30.-ig
(5) Az építési telken a telek beépített területébe be nem számíthatóan az alábbi melléképítmények helyezhetők el:
elő – és oldalkert:
- közmű becsatlakozási műtárgy,
- hulladéktartály tároló ( legfeljebb 1,50 m-es magassággal )
- kirakatszekrény ( legfeljebb 0,40 m-es szélességgel),
oldal- és hátsókertben:
- kerti építmény ( hinta, csúszda, szökőkút, a terepszintnél 1 m-nél nem
magasabbra emelkedő lefedés nélküli terasz )
- kerti víz- és fürdőmedence, napkollektor,
- kerti épített tűzrakó hely, lugas,
- kerti tető legfeljebb 20 m2 vízszintes vetülettel,
- kerti szabadlépcső és lejtő,
- szabadon álló és legfeljebb 6 m magas szélkerék, antennaoszlop.
(1) A falusias lakóterület, a szabályozási terven Lf betűjelzéssel van ellátva.
(2) A falusias lakóterületeken a 253/1997. (XII. 20.) kormány rendelet 14. §(1) bekezdése alapján legfeljebb 4,5 vagy 7,5 méter épületmagasságú lakóépületek, mező-és erdőgazdasági építmények, továbbá a lakosságot szolgáló, nem zavaró hatású kereskedelmi, szolgáltató és kézműipari építmények helyezhetők el
(3) A falusias lakóterületen elhelyezhető a 253/1997. (XII.20) korm. rendelet 14. § (2) bekezdésének meghatározottak a 7. és a 8. pontjainak kivételével, az alábbiak szerint
a.) lakóépület;
b.) mező,-és erdőgazdasági (üzem) építmény;
c.) kereskedelmi, szolgáltató, vendéglátó épület;
d.) szálláshely szolgáltató épület;
e.) kézműipari építmény;
f.) helyi igazgatási, egyházi, oktatási, egészségügyi, szociális épület;
(4) Falusias lakóterületen belül nem helyezhető el:
a.) önálló helyrajzi számon garázs,
b.) üzemanyagtöltő
(5) A lakóterületen belül csak önálló helyrajzi számú építési telek alakítható ki. Az építési övezetben tömbtelek, és úszótelek nem alakítható ki.
(6) Egy építési telken belül csak egy lakóépület építhető, melyet legfeljebb két önálló rendeltetési egység (lakás) alkothat.
(7) A lakóépületek lakófunkciót kiegészítő melléképületeket, egyéb épületeket csak olyan rendeltetés céljára szabad létesíteni, amely a falusias lakóterület jellegéhez illeszkedik, valamint a környezetvédelmi előírásokban meghatározott környezetvédelmi határértékeket betartja.
(8) A falusias lakóterületek építési telkein a telek beépített területébe beszámított módon az alábbi melléképületek helyezhetők el az övezeti szabályoknak megfelelően:
a) jármű (gépkocsi, motorkerékpár, munkagép, …stb.) tároló,
b) a háztartással, lakófunkcióval kapcsolatosan
1. nyári konyha, mosókonyha, szárító;
2. tároló építmények (tüzelőanyag –és más tároló, szerszámkamra, szín,
fészer, magtár, góré, csűr, pajta, …stb);
3. az állattartás céljára szolgáló épületek és építmények, ahol ezt az övezeti szabályozás és az állattartási rendelet lehetővé teszi;
4. kisipari vagy barkács műhely, műterem, kiskereskedelmi üzlet;
5. a falusi turizmushoz kapcsolódó funkciók (idegenforgalmi, kereskedelmi,
szolgáltató, szálláshely- szolgáltató funkciók;
6. fűtés céljára szolgáló melléképület (kazánház).
(9) Legnagyobb szintterület-sűrűsége: 0,5
17. § (1) A falusias építési övezetekben, a település viszonylatában az oldalhatáron álló beépítési mód van kialakulva. A szabadon álló beépítési mód az új lakóterület kialakítása esetén engedélyezhető.
(2) Az építési övezetben a megengedett építménymagasság 4,5-7,5 méter.
(3) A zöldfelület legkisebb aránya abban az esetben lehet 30 %, ha tulajdonos, építető vállalja a többszintes növényállomány telepítését. A vállalást írásban kell rögzíteni, és növénytelepítési tervvel alátámasztani, valamint nyilatkozni, hogy a használatbavételi engedély kézhezvétele utáni egy éven belül a növénytelepítést/vállalást elvégzi.
Falusias lakóterület (Lf1)
A beépítés módja: Oldalhatáron álló
Maximális épületmagasság: 4,5 m és 7,5m
Minimális telekméret: kialakult állapot / 1000m2
Telekhasználat: védendő telekosztás
Tömegképzés, architektúra: maximálisan 8 m széles oromfal,
utcavonalra merőleges nyeregtetővel.
Anyaghasználat, színezés: előnyben kell részesíteni a fehér a tört fehér valamint a pasztell színek alkalmazását, Tetőfedések esetében ajánlott az égetett cserép alkalmazása.
Nyílászárok esetében ajánlott a faanyagú nyílászárók alkalmazhatók.
Jellemzője, hogy osztható telekméreteket tartalmaz, amelyek a település hosszú távú fejlődésében vesznek részt azáltal a telekvégében lévő tervezett út kialakításával.
Falusias lakóterület (Lf2)
A beépítés módja: Oldalhatáron álló
Maximális épületmagasság: 4,5 m és 7,5m
Minimális telekméret: kialakult állapot / 1000m2
Telekhasználat: védendő telekosztás
Tömegképzés, architektúra: maximálisan 8 m széles oromfal,
utcavonalra merőleges nyeregtetővel.
Anyaghasználat, színezés: előnyben kell részesíteni a fehér, a tört fehér, valamint a pasztell színek alkalmazását, Tetőfedések esetében ajánlott az égetett cserép alkalmazása.
Nyílászárok esetében ajánlott a faanyagú nyílászárók alkalmazhatók.
Jellemzője, hogy nem osztható nagy térmértékű szalagtelkes építési övezet.
Falusias lakóterület (Lf3)
A beépítés módja: Oldalhatáron álló
Maximális épületmagasság: 4,5 m és 7,5m
Minimális telekméret: kialakult állapot / 800m2
Tömegképzés, architektúra: maximálisan 8 m széles oromfal,
utcavonalra merőleges nyeregtetővel.
Anyaghasználat, színezés: előnyben kell részesíteni a fehér, a tört fehér, valamint a pasztell színek alkalmazását, Tetőfedések esetében ajánlott az égetett cserép alkalmazása.
Nyílászárok esetében ajánlott a faanyagú nyílászárók alkalmazhatók.
Jellemzője, hogy a rövidtávú településfejlesztés színtere, ahol új telkek kerülnek kialakításra a jelenlegi igényeknek megfelelően.
Falusias lakóterület (Lf4)
A beépítés módja: Oldalhatáron álló
Maximális épületmagasság: 4,5 m és 7,5m
Minimális telekméret: kialakult állapot / 850m2
Telekhasználat: védendő telekosztás
Tömegképzés, architektúra: maximálisan 8 m széles oromfal,
utcavonalra merőleges nyeregtetővel.
Anyaghasználat, színezés: előnyben kell részesíteni a fehér, a tört fehér, valamint a pasztell színek alkalmazását, Tetőfedések esetébe ajánlott az égetett cserép alkalmazása.
Nyílászárok esetében ajánlott a faanyagú nyílászárók alkalmazhatók.
Jellemzője, hogy a rövidtávú településfejlesztés színtere, ahol új telkek kerülnek kialakításra a jelenlegi igényeknek megfelelően.
Falusias lakóterület (Lf5)
A beépítés módja: Oldalhatáron álló
Maximális épületmagasság: 4,5 m és 7,5m
Minimális telekméret: kialakult állapot
Telekhasználat: védendő telekosztás
Tömegképzés, architektúra: maximálisan 8 m széles oromfal,
utcavonalra merőleges nyeregtetővel.
Anyaghasználat, színezés: településen belül előnyben kell részesíteni a fehér, vagy tört fehér szín alkalmazását, valamint az égetett cserép és a föld színeit.
Tetőfedések: égetett cserép.
Csak faanyagú nyílászárók alkalmazhatók.
Jellemzője a kialakult teketerület, ahol a meglévő lakóház(ak) lebontása után csak ugyanolyan lakóház(ak) építése engedélyezhető; vagy pedig a telekterületet úgy kell kialakítani, hogy a településen lévő legkisebb telekméretet (800 m2) elérje.
(1) A különleges területbe azok a területek tartoznak, amelyek a rajtuk elhelyezett vagy elhelyezendő építmények, épületek különlegessége miatt jelentős hatást gyakorolnak környezetükre vagy esetlegesen környezetük külső hatásaitól is védelmet igényelnek.
(2) A településen lévő és létesíthető különleges területek
a.) kastély terület jele: Kü1
b.) temető terület jele: Kü2
(3) Levegőtisztasági szempontból védett I. kategóriájú.
(4) Az elhelyezendő építményeknek tájba illőeknek kell lenniük, és építészetileg alkalmazkodni kell a meglévő építményekhez.
Pallavichini kastély és területe
(1) A területen a kastély kiszolgálására szolgáló, valamint turisztikai, vendéglátó ipari épületek, építmények helyezhetők el.
(2) Az ingatlan megosztható, de annak a résznek, amelyen a kastély marad vissza, minimálisan 5.000 m2 térmértékűnek kell lenni. A fennmaradó telekrész az Lf1 építési övezeti kategóriának megfelelően felosztható és arra építési engedély adható.
(3) A területen a tájba illeszkedő növényzet helyezhető el.
(1) A temető területén elhelyezhető épületek, építmények
- temetői épületek, építmények
- ravatalozó
- porta, (kapus szoba)
- temetkezéssel kapcsolatos építmények (sírhely, sírbolt, kripta, emléktábla, emlékoszlop, szobor, feszület, kolombárium)
- köztér elemek (hulladékgyűjtő edényzet, pihenő padok, köztéri kút, kandeláber)
- a temetési szolgáltatást kiszolgáló épület, építmény, és
- egyházi épület, építmény (kápolna)
(2) Köztemetőben a magyarországi történelmi (Római katolikus, Görög katolikus, Református Evangélikus) egyházak épületei helyezhetők el, az egyéb egyházak épületeinek elhelyezéséről a képviselő-testület határozati döntése szükséges.
(3) A temetőről és a temetői szolgáltatásokról rendeletet 2006. június 20.-ig meg kell alkotni, amelyben a temetkezési helyek építésének feltételeit is szabályozzák.
Beépítésre nem szánt területek általános szabályai
(1) A beépítésre nem szánt területek az alábbi egységekből épülnek fel
a.) közlekedési és közműterület
b.) közművesítés területei és létesítményei
e.) mezőgazdasági területek
Közlekedési és közműterület
(1) A meglévő és tervezett belterületi utakat tűzvédelmi, tűzoltási és környezetvédelmi szempontok miatt szilárd burkolattal kell ellátni.
(2) A közlekedési területen elhelyezhető a közlekedés kiszolgálására szolgáló
a.) közlekedési építmények
b.) kereskedelmi, szolgáltató épületek
c.) vendéglátó, szálláshely szolgáltató épületek
Közművesítés területei és létesítményei
(1) A településen a beépítésre szánt területeket részleges közművesítettséggel el kell látni, amely a beépítés feltétele. A településen meglévő összes közművet ki kell építeni.
(2) A vezetékes ivóvízhálózatra való rákapcsolódást minden beépítésre szánt ingatlan esetében biztosítani kell. A csatlakozó és házi bekötéseket ingatlanonként elkülönítve kell kiépíteni. A fogyasztómérők ingatlanon belül az üzemeltető előírásai szerint valósíthatóak meg. A tűzcsapok a vonatkozó előírásokban rögzített távolságokra telepítendők.
(3) A csapadékvíz-elvezetés nyílt rendszerű csapadék csatornával, indokolt esetben zárt rendszerben épülhet ki.
(4) A szennyvízelvezetést a csapadékvíz elvezetéstől függetlenül, elválasztott rendszerben ingatlanonkénti bekötési lehetősé biztosításával oldható meg.
(5) A szennyvízcsatorna hálózat kiépítéséig csak zárt rendszerű, vízárósági jegyzőkönyvvel rendelkező -közműpótló- szennyvíztározó engedélyezhető.
(7) A közművek építéséről, átépítéséről és kiváltásáról az utak építése előtt kell gondoskodni.
(1) Zöldterület /közkert, közpark/ az állandóan növényzettel fedett közterület.
(2) A zöldterületnek közútról, köztérről közvetlenül –kerekesszékkel is- megközelíthetőnek kell lennie.
(3) A közparkban az alábbiak helyezhetők el (végleges jelleggel):
a.) szobrok –kompozíciók, csoport-,
(1) A település külterületén lévő erdő területeken a gazdálkodást az Észak-magyarországi Erdőfelügyelőség előírásai alapján kell végezni.
(2) Az erdőterületekre üzemtervet kell készíteni a tulajdonosnak, amelyek a Észak-Magyarországi Erdőfelügyelőség hagyja jóvá.
(3) Belterületen gazdasági célú erdő nem telepíthető.
(4) A település területén az ártéri részeken ligetszerű fásítást kell végezni.
(1) A mezőgazdasági területek a növénytermesztés és az állattenyésztés, továbbá az ezekkel kapcsolatos termékfeldolgozás és –tárolás építményeinek elhelyezésére szolgáló területek.
(2) A mezőgazdasági területek a következő övezetekre tagozódnak:
b.) rét, gyep és legelő terület;
c.) zártkert és kert terület,
e.) tanya és major terület;
(3) Építmények elhelyezésének szabályai:
a.) szántó, rét, gyep és legelő területek esetében
- 3.000 m2 alatti területen építmény nem helyezhető el;
- 3.000 m2 feletti térmérték esetében a terület 3%-a építhető be.
b.) gyümölcsös, zártkert és kert terület esetében
- 1.000 m2 alatti térmérték esetében csak terepszint alatti építmény (pince) helyezhető el;
- 1.000 – 3.000 m2 közötti térmérték esetében a terület 2%-a építhető be;
- 3.000 m2 feletti térmérték esetében a terület 3%-a építhető be.
c.) tanya és major terület esetében
- a területen lakóépület nem helyezhető el, de olyan épület amelyben lakófunkciójú rész is van engedélyezhető.
- köz –vagy magánútról közvetlen megközelítést kell biztosítani.
- 1.000 m2 alatti terület nem lehet tanya, major művelési ágú terület;
- 1.500 m2 alatti térmérték esetében csak gazdasági épület és pince helyezhető el 3%-os beépítettséggel;
- 1.500 m2 feletti térmérték esetében a terület 3%-a építhető be.
(4) A mezőgazdasági rendeltetésű területet más célra felhasználni nem lehet, azt rendeltetésének megfelelően kell hasznosítani.
Egyéb területek – vízgazdálkodási területek
(1) A vízgazdálkodási területek a következő övezetekre tagozódnak:
a.) vízfolyások és vízfelületek
b.) vízmű területek
(2) A területen csak vízkár elhárítási, vízi közlekedési és vízi sporti céljára szolgáló építmények helyezhetők el.
Közterületek kialakítása, nyilvántartása és használata
(1) A település közigazgatási területén lévő önkormányzati tulajdonban lévő, közterületeket a szabályozási terv határozza meg.
(2) A közterületeket rendeltetésének megfelelő célra bárki szabadon használhatja, azonban a használat során mások hasonló célú jogait nem korlátozhatja.
(3) A közterület rendeltetéstől eltérő használatához az önkormányzat hozzájárulása, azaz közterület-használati engedélye szükséges.
(4) A közterület-használati engedély minimális tartalmi követelménye:
- használatra jogosult megnevezése;
- használat időtartalma;
- használat díja és lerovásának módja;
- szankciók;
- egyéb feltételek és tulajdonosi elvárások.
(5) A közterület használatra irányuló kérelem tartalma:
- kérelmezet terület;
- nagysága,
- időtartama,
- kérelmező neve, és ha más lesz a használó, akkor annak is a neve;
- a használat megnevezése;
- egyéb szükséges megjegyzés.
(6) A közterület használatra irányuló kérelemhez csatolandó mellékletek:
- a kérelmezett terült térképen való bejelölése, amit a kérelmezőnek el kell látnia aláírásával;
- a használat tételes megnevezése /pl.: árusítás esetén az áruk fajtáinak megnevezése/.
(7) Amennyiben az eltérő használat, építési tevékenységgel is összefügg, az önkormányzati hozzájáruláson túl az illetékes építésügyi hatóság engedélyét is be kell szerezni.
(8) A település közterületein engedélyezhető eltérő használatok az alábbiak lehetnek:
a. ) köztéri elemek;
b.) szobor, díszkút, egyéb műalkotások;
c.) hirdető / reklám berendezés;
d.) közúti közlekedéssel kapcsolatos építmények
e.) távbeszélő fülke elhelyezése,
f.) köztisztasággal kapcsolatos építmények, tárgyak
f.) építési munkával kapcsolatos létesítmények / állványok elhelyezése, építőanyag tárolás;
g.) növényzet;
h.) közművek felépítményei.
i.) egyéb, az önkormányzat által a közterületek szabályzására alkotott rendeletben engedélyezett funkciók.
j.) ideiglenes jelleggel engedélyezett tevékenységek
(9) Az építési telkek közművesítését közterületről vagy közforgalom számára megnyitott magánútról kell megoldani.
(10) Biztosítani szükséges minden parkolóban legalább egy kerekesszékkel is igénybe vehető
(méreteiben nagyobb) gépkocsi parkoló lésítését, amit kizárólagos használatot biztosító tábla vagy burkolat festés jelezzen.
IV. Fejezet
(1) A környezet használatát úgy kell megszervezni, hogy:
a.) a legkisebb mértékű környezetterhelést és igénybevételt idézze elő,
b.) megelőzze a környezetszennyezést,
c.) kizárja a környezetkárosítást,
(2) Valamennyi terület-felhasználás, létesítés, beavatkozás tervezése során érvényre kell juttatni a környezetvédelem előírásait.
(3) A környezet védelmét az 1995. évi XLIII törvény szabályozza.
(4) A környezetszabályozási intézkedések a káros hatások minimalizálása és a lakosság környezet-egészségügyi feltételeinek javítása érdekében a természeti és az épített környezet védelmére egyaránt irányulnak.
(5) A környezetre várhatóan jelentősebb terhelést gyakorló létesítmény engedélyezése csak környezeti tanulmány alapján történhet.
(6) Új beruházások engedélyezéséhez az engedélyezési tervhez környezetvédelmi vizsgálatot kell becsatolni. A beruházás környezeti hatásának elbírálásához az illetékes építésügyi hatóság tájrendezési vizsgálat készítését is előírhatja.
(1) A mezőgazdasági- termőföldek minőségének megóvása, a termőképességük fenntartása, valamint rendeltetésszerű használata a földtulajdonosok illetve a használók kötelessége.
(2) A termőföld védelméről az 1994. évi LX törvény rendelkezik. A termőföldön történő beruházások esetében a beruházó köteles a területileg illetékes földhivatal földvédelmi hatósági engedélyét beszerezni.
(3) Az 1993. évi XLVIII. tv. alapján a felhagyott bányaterületeket és a roncsolt felületeket rekultiválni kell.
(4) Építmények létesítése illetve az építési terület előkészítése során a termőföld védelméről, összegyűjtéséről, megfelelő kezeléséről és újra hasznosításáról az engedélyesnek kell gondoskodnia. A beépítésre szánt területeken valamint tereprendezéssel, vízrendezéssel érintett részeken a humuszos termőréteg megmentéséről gondoskodni kell.
(5) A csapadékvíz elvezetéséről úgy kell gondoskodni, hogy a környező területeken belvizet, pangó vizet ne okozhasson.
(6) Az építmények terepszint alatti és feletti helyiségeit úgy kell kialakítani, hogy a használatukkal összefüggésben keletkező folyékony települési és veszélyes hulladék a talajba ne kerülhessen.
(7) A kivitelezés, üzemeltetés során biztosítani kell, hogy a káros környezeti hatások a csatlakozó termőföld minőségébe kárt ne okozhasson.
(8) A téli síkosság elleni védelem kizárólag érdesítő vagy más környezetbarát anyaggal történhet, mindennemű vegyszer használata tilos.
(1) Fokozott védelmet kell fordítani a település területét érintő vízfolyások és talajvizek minőségének megőrzésére és javítására. A felszíni és felszín alatti vizek minőségére, vízminőségi határértékére vonatkozóan az egyéb jogszabályok rendelkezéseit be kell tartani.
(2) A felszíni vizek védelme érdekében az élővízbe bevezethető víz minőségi paramétereit a módosított 3/1984 (II. 7.) OVH rendelet határozza meg. Tisztított szennyvíz a vízbázis védelmi előírások betartásával és hatósági engedély birtokába kerülhet befogadóba.
(3) A terület felhasználás és az építmények elhelyezése során biztosítani kell, hogy szennyeződés a vizekbe –felszíni, felszín alatti- ne juthasson, továbbá a vizek mennyisége, minősége és szintje kedvezőtlenül meg ne változzon.
(4) Patakok mederfenntartási munkáinak elvégzéséhez szükséges biztosítani a partéltől számított 3 méter széles sávot, felvonulási területnek. Ahol a birtokhatár a vízfolyás pártélének közelében van ott mobil kerítés építhető, amely szükség esetén elbontható.
(5) A vízfolyások felvonulási területére építési engedély nem adható, oda sem évelő, sem évszakos növény nem telepíthető.
(6) A felszíni vízfolyások mederrendezése kapcsán a természetes élőhelyek védelmét meg kell oldani, és a természetes vegetációt fenn kell tartani.
(7) A vízfolyások műtárgyait védeni kell. A felülvizsgálatukat minden évben, karbantartásukat a megjelenő igények függvényében az önkormányzatnak el kell végezni. A felülvizsgálatról jegyzőkönyvet kell készíteni, amit a nem selejtezhető ügyiratként kell irattározni.
(8) A vízfolyások medreinek vízelvezetési funkcióját biztosítani kell, abban lévő fászárú növényzetet –idegen anyag- eltávolítása és mederprofiljának megőrzése útján.
(9) Hulladék elhelyezése a mederben annak környezetében szigorúan tilos, a károkozót közigazgatási és büntetőjogi felelősségre kell vonni. Az ilyen helyeken lévő hulladéklerakókat az önkormányzatnak a legrövidebb időn belül fel kell számolnia.
(10) A szennyvízhálózat kiépítése esetén minden lakóingatlanon kötelezővé kell tenni a rendszerbe való bekapcsolódást.
A levegőtisztaság védelme
(1) A levegőt védeni kell minden olyan mesterséges hatástól, amely annak természetes minőségét hátrányosan megváltoztatja vagy az egészségre káros módon megterheli.
(3) A területen csak olyan építmények elhelyezésére és tevékenységek folytatására adható engedély, melyek során a területre vonatkozó szennyezőanyag kibocsátási határértékek teljesülnek.
(4) A tarlóégetés bejelentés kötelezett tevékenység, ami a jegyző engedélye alapján végezhető. A bejelentést a tevékenység végzése előtt minimum 2 munkanappal meg kell tenni. A tarlóégetés szabályait önkormányzati rendeletben kell rögzíteni.
(5) Szagos, bűzös tevékenységet folytatni a jegyző írásos engedélye alapján szabad.
(6) Az állattartás szabályait külön önkormányzati rendeletben kell szabályozni.
Zaj és rezgés elleni védelem
(1) A település belterületének zaj és rezgés elleni fokozott védelméről külön jogszabályokban, a szakhatóságok által meghatározott határértékek betartásával kell gondoskodni.
(2) A zaj –és rezgés elleni védelem érdekében bármely zajt kibocsátó létesítmény csak abban az esetben üzemeltethető, illetve bármely tevékenység csak abban az esetben folytatható, ha az általa kibocsátott zaj mértéke környezetében a vonatkozó rendelet szerint határértéket nem haladja meg.
(3) Közlekedési eredetű zaj elleni védelem érdekében, amennyiben a közút melletti terület felhasználás vagy a közút jellege megváltozik a
4/1984. (I. 23.) EüM rendeletének előírásait kell alkalmazni
(4) A hangosító berendezésekkel és a szolgáltatói tevékenységekkel összefüggő zajkibocsátó forrást a jegyzővel engedélyeztetni szükséges, az arra vonatkozó szabályokat önkormányzati rendeletben rögzíteni kell.
(5) A településszerkezeti terven meghatározott zöldterületek kialakításáról és fenntartásáról folyamatosan gondoskodni kell.
(1) A település közigazgatási területén lévő összes illegális hulladéklerakót felszámolni vagy rekultiválni kell.
(2) Biztosítani kell minden lakóingatlanról a keletkezett szilárd, -és folyékony kommunális hulladék szervezett gyűjtését és elszállítását.
(3) A településen évi kétszeri alkalommal lomtalanítási akciót kell szervezni. A lomtalanítás időpontját minimum két héttel előtte a helyben szokásos módon meg kell hirdetni.
(4) A veszélyes hulladékok szelektív gyűjtését, minimalizálását, hasznosítását ösztönözni és segíteni kell.
(5) A település közigazgatási területén alábbi tevékenységek végzése tilos:
a.) hulladékok illegális lerakása,
b.) veszélyes komponensek kommunális hulladékok közé keverése,
c.) hulladékok égetése /a nem szennyezett növényi eredetűek kivételével/,
(8) A rendelettel összhangban kell elkészítetni a hulladékgazdálkodási tervet.
A természet értékeinek védelme
(1) A település közigazgatási területén lévő erdőterületek védendőek, kivételt képeznek a gazdasági erdő kategóriába sorolt erdőterületek.
(2) A természeti környezet értékeit kataszterizálni szükséges.
(3) A település természeti értékeinek védelmére és megőrzésük céljából az önkormányzatnak helyi rendeletet kell alkotni, amelynek határidejét a környezetvédelmi programban szükséges rögzíteni.
(5) A település közigazgatási területén a meglévő felszíni talajadottságok miatt a kopár domboldalak kertművelésének újraindítása elsődleges feladat . (Kertkultúra újraélesztése).
(6) A természeti környezettel kapcsolatban a természet védelméről szóló 1996. évi LLXIII törvény szabályozásai az irányadóak.
A települési környezet védelme
(1) A településen élők egészségvédelme, életfeltételeinek javítása érdekében el kell érni a különféle tevékenységek káros hatásainak megszüntetését vagy megfelelő szintre történő csökkentését.
(2) A település zöldfelületét növelni szükséges. A növelést új területek bevonásával és a régi területek rekonstrukciójával valamint többszintű növénytelepítéssel lehet megoldani.
Műemléki és helyi védelem
(1) A műemlékekkel -országos védelem alatt lévő építmények, épületek- kapcsolatos rendelkezéseket a műemlékvédelemről szóló
1997. évi LIV. törvény szabályozza
(3) A településen lévő helyi védelmet élvező épületeket az önkormányzat 2005. december 31-ig külön rendeletben hirdeti ki.
(4) A település területén helyi védelem alatt lévő építményeket a rendelet 1. sz. melléklete tartalmazza.
(5) A helyi védelmi környezet: a helyi védelem alatt lévő építészeti emlék ingatlanával közvetlenül határos ingatlanok.
(6) A helyi védelmi környezet sajátos építési szabályai:
a) A helyileg védett területeken és környezetében minden utcabútort, köztéri elem –mikroarchitektúra- elhelyezése előtt az illetékes építésügyi hatósággal egyeztetni kell.
b) A helyi védelmi környezetben törekedni kell a közműveket föld alatt való elhelyezésére, és ezáltal a légkábelek megszüntetésére.
c) A védett területeken az utcai díszburkolatok anyaga kiselemes burkolókő lehet.
d) A reklámok és feliratok elhelyezésénél alapelvként szolgáljon az üzleti -és az esztétikai szempontok egyensúlyának kialakítása.
(7) A helyi védelmi környezetben az egyes épületek kialakításánál az alábbi építészeti szempontokat szükséges kötelező jelleggel figyelembe venni, és az építtető tudomására hozni:
a.) Építési anyaghasználat
1.Lábazatképzés
- Kő, műkő, vagy egyéb igényes anyag, fém kivételével, de lehetőleg a település építkezésében használatos hagyományos kő
2. Falfelületek
- Vakolt, vagy falburkolattal ellátott (tégla, mészhomok tégla, kőburkolat, vagy ezek kombinációja) plasztikus, igényes, tagolt homlokzatképzéssel, a helyi építési hagyományok szerint.
- Nem alkalmazható fém homlokzatburkolat, eternit jellegű homlokzatburkolat, mázas kerámiaburkolat (csempe) függöny faszerűen alkalmazott üveg és fémszerkezet.
3. Tető
- A tetőfedés anyaga cserép, pala, eternit pala (amennyiben a meglévő környezethez illeszkedik) lehet.
- Nem alkalmazható fém tetőhéjalás, (kivételt képez a nem felületen alkalmazott rézlemez, horgany, cink az egyes tetőrészletek kiegészítő fedéseként ), hullámpala, műanyag hullámlemez, műanyag síklemez.
b.) Homlokzati arányrendszer és építészeti térarányok, utcaképek védelme
1.Térarányok, utcaképek
- A homlokzaton a tetőfelületen önálló, álló tetőablak nem építhető (sem egyedi, sem összefogott formában, sem szabad oldalfalakkal, sem tető héjalással fedett formában).
- A homlokzat l/3 részét meg nem haladó mértékben a homlokzat részeként megjelenő homlokzati hangsúlyt adó tetőfelépítmény megjelenhet akár megszakított, akár végigfutó tetőpárkánnyal.
- Fekvő tetőablak mind egyedi, mind sorolva elhelyezhető.
- A felsorolt szabályok a helyi védelmi környezetben az épületek udvari és utcai homlokzatára egyaránt vonatkoznak.
2.Homlokzati arányrendszer védelme.
- A helyi védelmi környezetben az egyes épületek homlokzatain nagy, összefüggő nyílásfelületek nem jelenhetnek meg (szalagablak, erkélysor, stb)
- A nyílás és falfelületek aránya a helyi védett épületekhez és védett értékekhez hasonló arányrendszerrel és tagozati gazdasággal jelenjen meg, a földszinten is a portálok esetében.
- A helyi védelmi környezetben a meglévő épületek párkánymagasságához szükséges igazodni.
- A meglévő kortörténeti dokumentumok alapján az egyes épületek eredeti homlokzatát legalább jellegében meg kell őrizni
(8) Helyi védelem alá építményeket, épületet Pusztaradvány Község Önkormányzatának Képviselő-testülete minősített többséggel hozott döntésével helyezhet.
(9) A helyi védelem alá helyezés feltétele az építményről, épületről értékvizsgálati dokumentáció készítése. Az értékvizsgálati dokumentációnak minimálisan tartalmazni kell a védendő építmény leírását kitérve a védett részekre, értékekre valamint felmérési tervet és fotódokumentációt.
A felmérési terv minimális tartalma:
- helyszínrajz; - homlokzati kialakítottság, - belső kialakítottság, - pinceszint felmérése
- a környező épületek ábrázolása az illeszkedés miatt (minimum a 3 szomszédosé)
A fotó dokumentáció minimális tartalma:
- a védendő objektum teljes képe (a környezete is látszódjon)
- a homlokzatokról külön képek
- a belső kialakítottságról képek
- védett értékről, értékekről több pozícióból kép
(10) Helyi védelem alá helyezési javaslatot bárki tehet. A javaslathoz csatolni kell az érték vizsgálati dokumentációt, amely alapján a képviselő-testületi előterjesztést a jegyző teheti meg.
(11) A muzeális emlékek, régészeti lelőhelyek védelméről külön jogszabályok rendelkeznek.
(1) A település közigazgatási területén az alábbi a településrendezési feladatok megvalósítását biztosító sajátos jogintézmények bevezetés történik:
- elővásárlási jog
- építési tilalom
(2) A település közigazgatási területén az önkormányzat a település fejlesztése érdekében a 2. számú mellékletben felsorolt ingatlanokra elővásárlási jog bejegyzését irányozza elő az illetékes földhivatalnál.
(3) A település közigazgatási területén az önkormányzat a település fejlesztése érdekében a 3. számú mellékletben felsorolt ingatlanok építési tilalmat irányozza elő.
(1) Ezen rendelet kihirdetése napján lép hatályba.
(2) Azokat az eljárásokat, amelyek a rendelet hatálybalépése előtt elkezdődtek, az elkezdés pillanatában hatályban lévő jogi szabályozás alapján kell lefolytatni.
(3) A rendelet kihirdetéséről a jegyző a helyben szokásos módon gondoskodik és 1 példányt az illetékes építésügyi hatóságnak megküld.
Helyileg védett építmények
Pusztaradvány község önkormányzata a település közigazgatási területén a térségben és a településen lévő építészeti kultúra védelme életében, az alábbi építményeket helyezi helyi védelem alá:
sorszám |
megnevezés |
Elhelyezkedés |
védelem kezdete |
1. |
Pallavichini kastély |
Kossuth út 11.sz |
2005. X. 21. |
2. |
Római kat. templom |
Kossuth út |
2005. X. 21. |
3. |
Polgármesteri hivatal |
Kossuth út 29. sz. |
2005. X. 21. |
|
|
|
|
|
|
|
|
Elővásárlási jog
Pusztaradvány község önkormányzata a település közigazgatási területén településrendezési feladatok megvalósítása érdekében az alábbi ingatlanokra (hrsz) elővásárlási jogot jegyez be:
- 65, 66, 67, 68, 69 hrsz
- 84, 85, 86, 87, 88, 89 hrsz
- 90, 91, 92, 93, 94, 95, 96, 97, 98, 99, 100 hrsz
Építési tilalom
Pusztaradvány község önkormányzata a település közigazgatási területén településrendezési feladatok megvalósítása érdekében az alábbi ingatlanokra (hrsz) építési tilalmat jegyez be:
- 73, 74, 75, 76, 77, 78, 79 hrsz
- 1001, 102, 103, 104, 105, 106, 107, 108, 109 hrsz
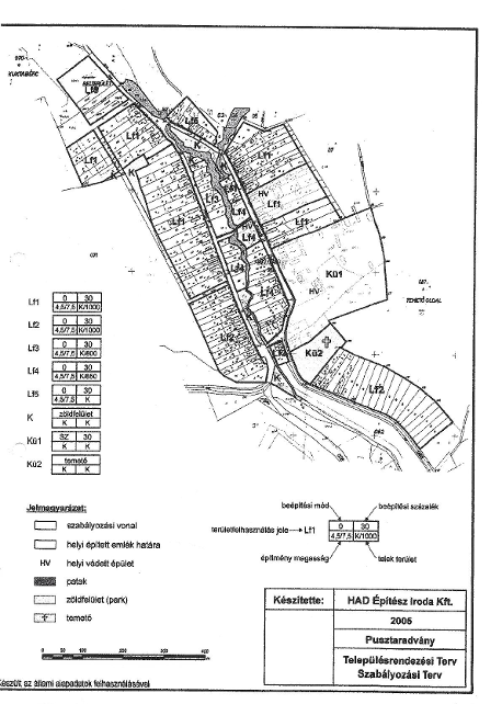
Pusztaradvány szabályozási terve
Szabályozási terv
Pusztaradvány szerkezeti terv
Szerkezeti terv