SZIKSZÓ VÁROS ÖNKORMÁNYZAT KÉPVISELŐ-TESTÜLETÉNEK 9/2019 (V.30.) ÖNKORMÁNYZATI RENDELETE

Szikszó Város Képviselőtestületének 20/ 2011. (X.31.) számú Szikszó város Szabályozási Tervének elfogadásáról és a Helyi Építési Szabályzat megállapításáról szóló rendeletének módosításáról

Hatályos: 2019. 06. 29- 2019. 06. 29

SZIKSZÓ VÁROS ÖNKORMÁNYZAT KÉPVISELŐ-TESTÜLETÉNEK 9/2019 (V.30.) ÖNKORMÁNYZATI RENDELETE

Szikszó Város Képviselőtestületének 20/ 2011. (X.31.) számú Szikszó város Szabályozási Tervének elfogadásáról és a Helyi Építési Szabályzat megállapításáról szóló rendeletének módosításáról1

2019.06.29.

Szikszó Város Önkormányzata az Alaptörvény 32. cikk (1) bekezdés a) pontja alapján, valamint az épített környezet alakításáról és védelméről szóló 1997. évi LXXVIII. törvény 62. § (6) bekezdés 6. pontjában, valamint a 13. § (1) bekezdésében kapott felhatalmazás alapján, Magyarország helyi önkormányzatairól szóló 2011. évi CLXXXIX. törvény 13. § (1) bekezdésében meghatározott feladatkörében eljárva, a településfejlesztési koncepcióról, az integrált településfejlesztési stratégiáról és a településrendezési eszközökről, valamint egyes településrendezési sajátos jogintézményekről szóló 314/2012. (XI. 8.) Korm. rendelet 30. § (1) bekezdésében biztosított véleményezési jogkörében eljáró államigazgatási szervek véleményének kikérésével a partnerségi egyeztetést követően Szikszó Város Helyi Építési Szabályzatáról (HÉSZ) szóló 20/2011. (X.31.) rendeletét (a továbbiakban „R”) az alábbiak szerint módosítja:

1. § (1) A „R”29. § kiegészül az alábbi (4) bekezdéssel:


(4)

Kk-vü
1.

Különleges beépítésre nem szánt városüzemeltetési terület övezete


1.A

Kk-vü SZ 5
1.1 7,5 2000

Városüzemeltetési terület övezete

1. A területen belül a műtárgyakon, műszaki berendezéseken kívül elhelyezhetők a rendeltetést kiszolgáló építmények.
2. A műtárgyakat és az egyéb műszaki berendezéseket a beépítettség mértékébe nem kell beszámítani.
3. Akülönleges beépítésre nem szánt területeken épületek legfeljebb 2%-osbeépítettséggel helyezhetők el.

2. § (1) A „R”31. § (4) bekezdés helyére az alábbi rendelkezés lép:

(1) A közterületek, közlekedési területek övezeti besorolása és szabályozási szélessége:


1.

Köú
1

gyorsforgalmi út, M3 autópálya övezete, szabályozása:

a) belterületen: nincs belterületi szakasz
b) Külterületen:
A külterületi szabályozási terven jelölt tervezett szabályozási vonalak az autópálya végleges műszaki tervei alapján pontosítottan, legfeljebb + 5,0 m mértékkel elmozdíthatók, amennyiben igazolhatóan más megoldás nem lehetséges. Belterületen a tervezett szabályozási vonal elmozdítása legfeljebb + 3,0 méterrel történhet.


2.

Köú
2

országos főút 3.sz. főút övezete, szabályozása:

a) belterületen: min. 20 méter , illetve Szabályozási Terv szerinti érték
b) külterületen: az út szabályozási szélessége – közterületet és nem közterületet elválasztó határvonal – a meglévő jogi határokkal.
c) új főút kiépítése esetén 30 méter .
d) az út építési területe min. 22 méter
e) az út védőtávolsága 50- 50 méter .


3.

Köú
3

országos mellékút, helyi gyűjtőút övezete, szabályozása:

a) belterületen: min. 16 méter , illetve Szabályozási Terv szerinti érték
b) külterületen: az út szabályozási szélessége – közterületet és nem közterületet elválasztó határvonal – a meglévő jogi határokkal.


4.

Köú
4

belterületi kiszolgálóút, lakóút övezete, szabályozása:

a) méretezés nélküli minimális szabályozási szélessége tervezett utaknál 12 m , 5 m burkolat-szélességgel
b) meglévő utaknál a kialakult állapot szerint, illetve a Szabályozási Terv szerinti értékek betartásával.


5.

Köú
5

kiemelt külterületi kiszolgálóút övezete, szabályozása:

a) az út szabályozási szélessége – közterületet és nem közterületet elválasztó határvonal – meglévő jogi határokkal, illetve 6 méter ,
b) az út építési területe minimum 12 méter ,
c) az út védőtávolsága 25 méter .


6.

Köú
6


gyalogút övezete, szabályozása:

minimális szélessége 3 méter , illetve Szabályozási Terv szerinti érték.


7.

Köú
7


területegységen, lakóterületen belüli kiszolgáló út, köz.
A meglévő köz a kiszolgált telkek tulajdonosainak egyezsége, a közműgazdák hozzájárulásának beszerzése esetében lehet:
- közterület,
- közforgalom számára megnyitott magánút,
- magánút.


8.

Köú
8

alternatív közlekedési terület övezete:
Az alternatív közlekedési terület övezete lehet:
- közterület, közút
- közforgalom számára megnyitott magánút,
- magánút
- a tulajdonosainak egyezsége, a közműgazdák hozzájárulásának beszerzése vagy a közmű szolgalmi jog bejegyzése esetében el is hagyható a terület egységes hasznosításának érdekében.


9.

Köú
V


vegyes használatú gépjármű út szabályozása

a) belterületen minimum 8 méter , illetve Szabályozási Terv szerinti érték.
b) a K/1 és K/2 övezeteket (intézményi és vegyes funkciók) kiszolgáló utak középre lejtő kiselemes burkolattal zárt és nyitott vegyes rendszerű vízelvezetéssel, domborzattól és szabályozási szélességtől függően.
c) a K/3 övezeteket kiszolgáló utak erősített földút (kőzúzalékkal) gyepesítéssel.


10.

Köú
KT


Közlekedési területen belüli köztér övezete, szabályozása:

Gyalogos forgalom számára fenntartott, díszburkolattal fedett, növényzettel és utcabútorokkal, köztéri műalkotásokkal gazdagított terület.
Megvalósítás előtt közterületi terv készítendő, melynek ki kell térni a térburkolatokra, növényzetre, utcabútorokra, térvilágításra és egyéb közművekre. A különféle tervfajtáknak egy időben kell készülni.


11.

Köu*


Területegységen belüli közlekedési terület (magánút) övezete, közforgalom céljára megnyitandó formában.
Kialakítása, Köu/V a)-c) pontban megadottak szerint.


12.

Köú
Z


Közlekedési területen belüli zöldterület övezete


13.

Kök
1

Kötöttpályás közlekedési területen belül vasútvonal és vasútállomás övezete, szabályozása:

(2) A „R”31. § kiegészül az alábbi (5) bekezdéssel:
(5) A magánutak kialakítására vonatkozó rendelkezések
a) A település területén mind közforgalom számára megnyitott, korlátlan használatú, mind közforgalom számára meg nem nyitott, korlátozott használatú magánút kialakítható.
b) Belterületen – gazdasági területek magánútjai kivételével – kizárólag közforgalom számára megnyitott, korlátlan használatú magánút létesíthető.
c) A magánút kialakításának szabályai:
ca) Legalább 6,0 méter széles, ha kettőnél nem több, 80 méternél nem távolabbi bejáratú építési telket közelít meg.
cb) Legalább 10 méter széles, ha 200 méternél nem távolabbi bejáratú építési telket közelít meg.
cc) Legalább 12 méter széles egyoldali fasorral, ha 400 méternél nem távolabbi bejáratú építési telket közelít meg.
cd) 150 méternél hosszabb zsákutcaként kialakított magánutat végfordulóval kell ellátni.
ce) 200 méternél hosszabb magánút zsákutcaként nem alakítható ki.
d) Gazdasági területen belül 14,0 méternél keskenyebb magánút nem alakítható ki.

3. § 1) A „R” 1. számú mellékletét képező

T-2 Jelű Külterületi Szabályozási Terv jelen rendelet 2. melléklete,3. melléklete és 7. melléklete szerint módosul.
T-3-1 Jelű Belterületi Szabályozási Terv jelen rendelet 1 melléklete,4. melléklete és 5. melléklete szerint módosul.
T-3-2 Jelű Belterületi Szabályozási Terv Pincefalu jelen rendelet 6. melléklete szerint módosul.
2) A Szabályozási Tervek módosításokkal nem érintett részei hatályban maradnak.
3) A jóváhagyás után a Szabályozási Terveket egységes szerkezetbe kell foglalni.

4. § Ez a rendelet a kihirdetést követő 30. napon lép hatályba.

1. melléklet

1. melléklet
A módosítással érintett terület helyrajzi számai, vagy a terület lehatárolása:
M-1:Szikszó város belterület, a korábbi Ipari Park II ütem területe, a 3. számú országos főútvonal és a vasútvonal között, a Mátyás király úttól északra.
A módosítás leírása:
A jelenleg kereskedelmi szolgáltató gazdasági Gksz/1.3 övezet átminősítése egyéb iparterületi Gip/1.3 övezetté a befektetések jobb megvalósíthatósága érdekében. A tömböt feltáró útvonal alternatív közlekedési övezetként kerül szabályozásra Köu/8 övezettel. A szabályozáscélja a befektetői igényeknek megfelelő rugalmas kezelés lehetőségének biztosítása. Az az út kikötésénél a 1657 helyrajzi számú ingatlanon meglévő lakóépület megtartásra kerül. Az alternatív szabályozás során lehetővé válik a terület akár egységes kezelése is. Emiatt azonban szükség van a területet északról határoló út kikötése a főútvonalba nyugati irányban, illetve áthelyezése kissé északi irányba, a korábban már kialakított teleksorra.
A hatályos Szabályozási terv részlete
null
A módosuló Szabályozási terv részlete
null
A módosítás tervszáma: K-6/T-3-1/M1

2. melléklet

2. melléklet
A módosítással érintett terület helyrajzi számai, vagy a terület lehatárolása:
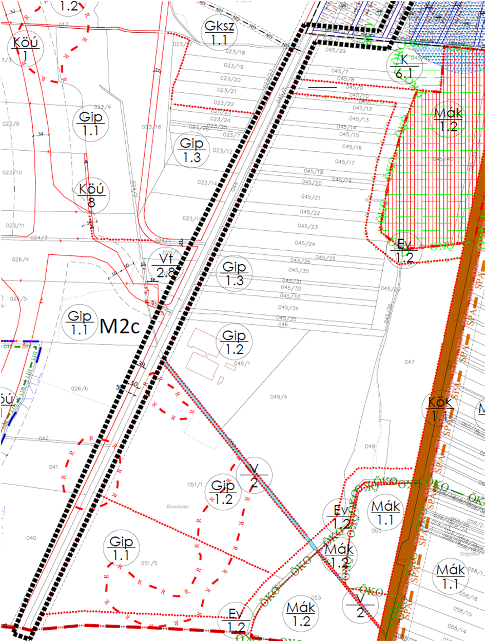
M-2(M2/a, M2/b, M2/c): Szikszó város kül és belterületén végig haladó tervezett kerékpárút nyomvonalának feltüntetése.
A módosítás leírása:
A város igazgatási területén végig húzódó tervezett kerékpárút I. ütem és II. ütem nyomvonalának feltüntetése a készülő tanulmányterv alapján.
A hatályos Szabályozási terv részlete
null
null
null
A módosuló Szabályozási terv részlete:
null
A módosítás tervszáma: K-6/T-2 és T-3-1/M-2a
A módosuló Szabályozási terv részlete
null
A módosítás tervszáma: K-6/K-6/T-3-1/M2b
A módosuló Szabályozási terv részlete
null
A módosítás tervszáma: K-6/T-2 és T-3-1/ M2c

3. melléklet

3. melléklet
A módosítással érintett terület helyrajzi számai, vagy a terület lehatárolása:
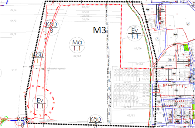
M-3:Szikszó város külterület, a 02/56 helyrajzi számú az önkormányzat tulajdonában lévő ingatlan és környezete.
A módosítás leírása:
A korábbi szemétlerakó telep különleges beépítésre nem szánt városüzemeltetési területbe történő besorolására kerül sor, hogy ott a már jelenleg is folytatott városi kertészeti, hulladékkezelési és egyéb városüzemeltetési rendeltetések, mint pl. kutyamenhely is elhelyezhetők legyenek. A módosítás során új beépítésre szánt terület kijelölésére nem kerül sor.
A hatályos Szabályozási terv részlete
null
A módosuló Szabályozási terv részlete
null
A módosítás tervszáma: K-6/T-2/M3

4. melléklet

4. melléklet
A módosítással érintett terület helyrajzi számai, vagy a terület lehatárolása:
M-4:Szikszó város belterület, a 1290/11 helyrajzi számú út és környezete.
A módosítás leírása:
A 1290/11 helyrajzi számú út korábbi telekalakítás szerinti állapotát kell visszaállítani a belterületi iparterületen belül az övezeti szabályozás változatlanul hagyása mellett.
A hatályos Szabályozási terv részlete
null
A módosuló Szabályozási terv részlete
null
A módosítás tervszáma: K-6/T-3-1/M4

5. melléklet

5. melléklet
A módosítással érintett terület helyrajzi számai, vagy a terület lehatárolása:
M-5:Szikszó város jelenleg külterület, tervezett belterület, Gólya utcától délre a 045/29 helyrajzi számú ingatlan és környezete
A módosítás leírása:
A Gólya utcától délre a 045/29 helyrajzi számú ingatlan jelenleg beépítésre szánt különleges sportterület területfelhasználási egységbe tartozik. A tervezett sportterület egy részével bővítésre kerül a lakóterület mindegy két lakótömbbel, a sport rendeltetés fenntartása mellett. A módosítás során új beépítésre szánt terület kijelölésére nem kerül sor. A tervezett belterületi határ a lakóterület határára kerül kiterjesztésre.
A hatályos Szabályozási terv részlete
null
A módosuló Szabályozási terv részlete
null
A módosítás tervszáma: K-6/T-3-1/M5

6. melléklet

6. melléklet
A módosítással érintett terület helyrajzi számai, vagy a terület lehatárolása:
M-6:Szikszó város külterület, a Pincefalu északnyugati része a Bártfai úttól nyugatra.
A módosítás leírása:
A Pincefalu területén átvezető kiszolgáló út szabályozásának felülvizsgálatára van szükség.A meglévő utakat kiemelt külterületi kiszolgáló úttá jelöljük ki, úgy hogy csatlakozzon az autópálya alatt átvezetett útba.Így az autópálya nyomvonalán túl elhelyezkedő mezőgazdasági területek megközelítése a város felől is biztosítható lesz. A szabályozási szélesség növelésére kerül or.
A hatályos Szabályozási terv részlete
null
A módosuló Szabályozási terv részlete
null
A módosítás tervszáma: K-6/T-3-2/M6

7. melléklet

7. melléklet
A módosítással érintett terület helyrajzi számai, vagy a terület lehatárolása:
M-7:Szikszó város külterület, a Pincefalutól északnyugatra fekvő terület
A módosítás leírása:
A Pincefalu területén átvezető kiszolgáló út szabályozásának felülvizsgálatára van szükség. A tervezett autópálya nyomvonalán van egy átvezetés, mely lehetővé teszi az autópályán túli területek megközelítését, azonban ez nincs összeköttetésben a Pincefalu területével, ahol a meglévő utakat jelenleg is használják a külterületi mezőgazdasági területek megközelítésére. Ezért a meglévő utakat kiemelt külterületi kiszolgáló úttá jelöljük ki, úgy hogy csatlakozzon az autópálya alatt átvezetett útba Így az autópálya nyomvonalán túl elhelyezkedő mezőgazdasági területek megközelítése a város felől is biztosítható lesz.
A hatályos Szabályozási terv részlete
null
A módosuló Szabályozási terv részlete
null
A módosítás tervszáma: K-6/T-2/M7
A Helyi Építési Szabályzat módosítás 9/2019.(V.30.)önkormányzati rendelet 1-7. számú melléklet jelmagyarázata
null
1

A rendelet a 2010. évi CXXX. törvény 12/B. §-a alapján hatályát vesztette 2019. június 30. napjával.