Tépe Község Önkormányzat Képviselő-testületének 11/2021. (VII.28.) önkormányzati rendelete
Tépe Község Helyi Építési Szabályzatáról és Szabályozási Tervéről szóló 13/2020.(X.28.) önkormányzati rendelet módosításáról
Hatályos: 2021. 07. 29- 2021. 07. 29Tépe Község Önkormányzat Képviselő-testületének 11/2021. (VII. 28.) önkormányzati rendelete
Tépe Község Helyi Építési Szabályzatáról és Szabályozási Tervéről szóló 13/2020.(X.28.) önkormányzati rendelet módosításáról
Tépe Község Önkormányzata Képviselő-testülete az épített környezet alakításáról és védelméről szóló 1997. évi LXXVIII. törvény 9/B. § (2) bekezdés b) pontjában és a 62. §. (6) bekezdésének 6. pontjában kapott felhatalmazás alapján, az épített környezet alakításáról és védelméről szóló 1997. évi LXXVIII. törvény 6. § (1) bekezdésében és a Magyarország helyi önkormányzatairól szóló 2011. évi CLXXXIX. törvény 13. § (1) bekezdésének 1. pontjában meghatározott feladatkörében eljárva, a településfejlesztési koncepcióról, az integrált településfejlesztési stratégiáról és a településrendezési eszközökről, valamint egyes településrendezési sajátos jogintézményekről szóló 314/2012. (XI. 8.) Korm. rendelet 28. § (1) bekezdésében és a 42. § (4) meghatározott feladatkörében eljáró:
- Hajdú-Bihar Megyei Kormányhivatal Állami Főépítészi Iroda
- Hajdú-Bihar Megyei Kormányhivatal Hivatal Környezetvédelmi és Természetvédelmi Főosztály
- Hortobágyi Nemzeti Park Igazgatóság
- Hajdú-Bihar Megyei Katasztrófavédelmi Igazgatóság Igazgatóhelyettesi Szervezet Katasztrófavédelmi Hatósági Szolgálat (Területi Vízvédelmi Hatóság)
- Hajdú-Bihar Megyei Katasztrófavédelmi Igazgatóság Igazgatóhelyettesi Szervezet Katasztrófavédelmi Hatósági Szolgálat (Területi Vízügyi Hatóság)
- Országos Vízügyi Főigazgatóság
- Tiszántúli Vízügyi Igazgatóság
- Hajdú-Bihar Megyei Katasztrófavédelmi Igazgatóság
- Hajdú-Bihar Megyei Kormányhivatal Népegészségügyi Főosztály
- Budapest Főváros Kormányhivatala Közlekedési Főosztály Útügyi Osztály
- Innovációs és Technológiai Minisztérium közlekedésért felelős helyettes államtitkár
- Innovációs és Technológiai Minisztérium Légügyi Szakterület
- Hajdú-Bihar Megyei Kormányhivatal Közlekedési és Fogyasztóvédelmi Főosztály Útügyi Osztály
- Miniszterelnökség Örökségvédelmi Ügyekért Felelős Helyettes Államtitkárság
- Hajdú-Bihar Megyei Kormányhivatal Építésügyi és Örökségvédelmi Főosztály
- Hajdú-Bihar Megyei Kormányhivatal Élelmiszerlánc-biztonsági és Földhivatali Főosztály Földhivatali Osztály
- Hajdú-Bihar Megyei Kormányhivatal Agrárügyi Főosztály
- Honvédelmi Minisztérium Hatósági Főosztály (honvédelemért felelős miniszter)
- Hajdú-Bihar Megyei Rendőr-főkapitányság
- Borsod-Abaúj-Zemplén Megyei Kormányhivatal Hatósági Főosztály Bányászati Osztály
- Nemzeti Média- és Hírközlési Hatóság Hivatala
Budapest Főváros Kormányhivatala Népegészségügyi Főosztály Közegészségügyi Osztály
valamint
a Korm. rendelet 42. § (4) szerint előírt érintett területi, települési önkormányzatok megkereséséhez biztosított véleményezési jogkörében eljáró:
- Hajdú-Bihar Megye Önkormányzat Hivatala,
- Szentpéterszeg Község Önkormányzata,
- Derecske Város Önkormányzata,
- Berettyóújfalu Város Önkormányzata,
továbbá
a Korm. rendelet 29. § a) pontjában a partnerségi egyeztetésben meghatározottak szerint a partnerségi egyeztetés szereplői véleményének kikérésével, és
a településfejlesztési koncepcióról, az integrált településfejlesztési stratégiáról és a településrendezési eszközökről, valamint egyes településrendezési sajátos jogintézményekről szóló 314/2012. (XI. 8.) Korm. rendelet 42. § (6) bek. meghatározott feladatkörében az állami főépítészi hatáskörben eljáró Hajdú-Bihar Megyei Kormányhivatal záró szakmai véleményének kikérésével a következőket rendeli el:
1. §
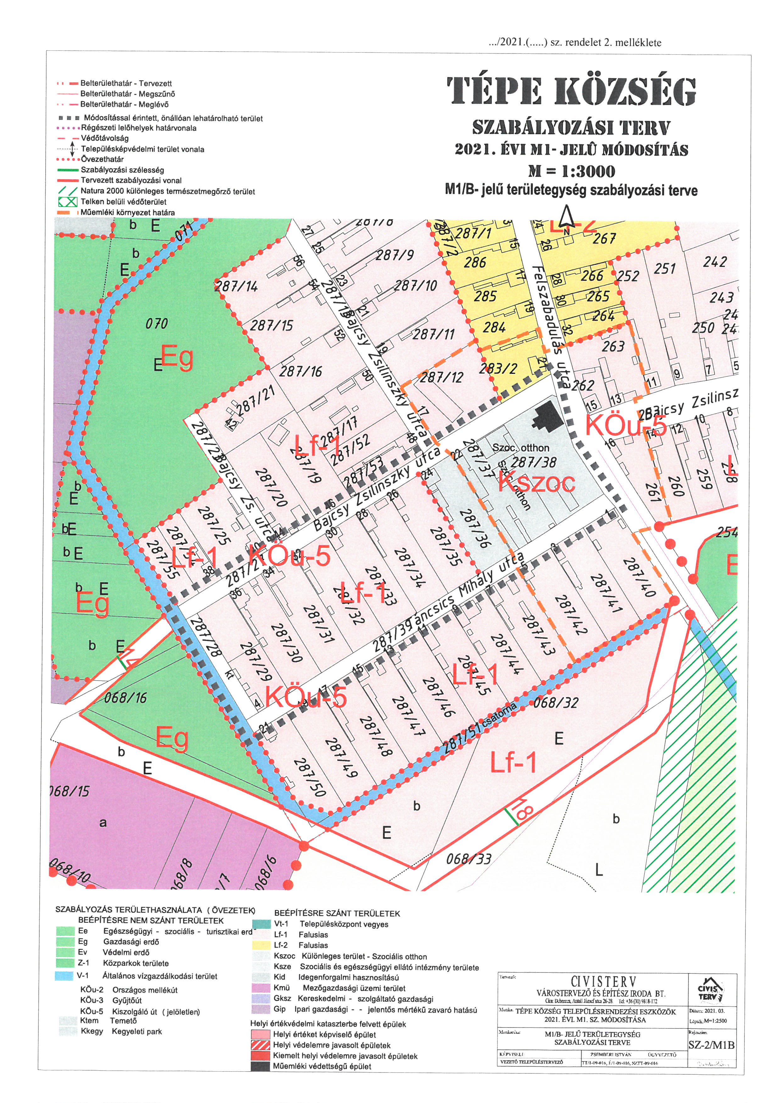
A Tépe Község helyi építési szabályzatáról és szabályozási tervéről szóló 13/2020. (X. 28.) önkormányzati rendelet (a továbbiakban: HÉSZ) 2. mellékletének (Belterület szabályozási tervének) M1/A-jelű területegységre és M1/B-jelű területegységére vonatkozó szabályozása az 1. melléklet és 2. melléklet szerint módosul.
2. § A Tépe Község Helyi Építési Szabályzatáról és Szabályozási Tervéről szóló 13/2020. (XII. 1.) önkormányzati rendelet 2. § (2) bekezdése helyébe a következő rendelkezés lép:
„(2) JELEN RENDELET
- 1. melléklete: Sz-1 Külterület szabályozási terv (M= 1:10 000);
- 2. melléklete: Sz-2/m1 Belterület szabályozási terv (M= 1: 4 000);
- 3. melléklete: Építési övezetek előírásai
- 4. melléklete: Országos- és térségi övezetek lehatárolása (A/3 méretű tervlap)
- 5. melléklet: Elővásárlási joggal érintett területek
- 6. melléklet: Egyes sajátos jogintézmények (Építési tilalmak, településrendezési kötelezések)”
3. § (1) A Tépe Község Helyi Építési Szabályzatáról és Szabályozási Tervéről szóló 13/2020. (XII. 1.) önkormányzati rendelet 5. melléklete helyébe a 3. melléklet lép.
4. § A Tépe Község Helyi Építési Szabályzatáról és Szabályozási Tervéről szóló 13/2020. (XII. 1.) önkormányzati rendelet 6. melléklete helyébe a 4. melléklet lép.
5. § Ez a rendelet a kihirdetését követő napon lép hatályba, és a kihirdetését követő második napon hatályát veszti.
1. melléklet
3. melléklet
5.melléklet: Elővásárlási joggal érintett területek
A településrendezési tervben jelölt intézményterület bővítések, városi jelentőségű
idegenforgalmi- pihenő és rekreációs területek megvalósíthatósága érdekében, az Étv. 25. §.
alapján, az önkormányzatot illető elővásárlási jog jegyezendő be:
a.) A Bajcsy Zsilinszky utca 24. Hrsz:287/36 ingatlanra, a szomszédos Szociális Otthon bővítése érdekében.
b.) A Bocskai utca 11. sz. (Hrsz: 305/49) ingatlanra, a temető bejárata előtti tér rendezése és parkolóterület kialakítása érdekében.
4. melléklet
„6. melléklet”
6. melléklet: Egyes sajátos jogintézmények (Építési tilalmak, településrendezési kötelezések)
1. Építési tilalmak
A rendezési tervben meghatározott területeken a településrendezési feladatok megvalósítása,
továbbá a természeti, környezeti veszélyeztetettség megelőzése érdekében az érintett területekre meghatározott időre, a terv jóváhagyásától számított 7 évre, de legfeljebb a rendezési terv általmeghatározott célú felhasználásig, építési tilalom rendelendő el.
- a) A Bajcsy Zsilinszky utca 24. Hrsz:287/36 ingatlanra, a szomszédos Szociális
Otthon bővítése érdekében.

