Szank Község Önkormányzat Képviselő-testülete 8/2021. (VI.15.) önkormányzati rendelete
a helyi építési szabályokról szóló 14/2000.(V.31) önkormányzati rendelet módosításáról
Hatályos: 2021. 06. 16- 2021. 06. 17Szank Község Önkormányzat Képviselő-testülete 8/2021. (VI. 15.) önkormányzati rendelete
a helyi építési szabályokról szóló 14/2000.(V.31) önkormányzati rendelet módosításáról
Szank Községi Önkormányzat Képviselő-testületének hatáskörében eljáró Szank Község Polgármestere a katasztrófavédelemről és a hozzá kapcsolódó egyes törvények módosításáról szóló 2011. évi CXXVIII. törvény 46. § (4) bekezdése alapján, az épített környezet alakításáról és védelméről szóló 1997. évi LXXVIII. Törvény 62. § (6) bekezdés 6. pontja valamint, az Alaptörvény 32. cikk (1) a) pontjában, Magyarország helyi önkormányzatairól szóló 2011. évi CLXXXIX. törvény 13. § (1) bekezdés 1. pontjában és az épített környezet alakításáról és védelméről szóló 1997. évi LXXVIII. törvény 13. §. (1) bekezdésében meghatározott feladatkörében eljárva, a településfejlesztési koncepcióról, az integrált településfejlesztési stratégiáról és a településrendezési eszközökről, valamint egyes településrendezési sajátos jogintézményekről szóló 314/2012. (XI. 8.) Kormányrendelet 42. § szerinti tárgyalásos eljárásban véleményezési jogkörrel rendelkező államigazgatási szervek és partnerek véleményeinek kikérésével, Szank Községi Önkormányzat Képviselő-testületének a helyi építési szabályokról szóló 14/2000.(V.31.) önkormányzati rendelet módosításáról a következőket rendelem el:
1. § A helyi építési szabályokról szóló 14/2000. (V. 31.) önkormányzati rendelet 1. § (2a) bekezdése helyébe a következő rendelkezés lép:
„(2a) 1. melléklet: Belterület SZ-1 jelű1:2 000 méretarányú szabályozási terve 2 szelvényből és SZ-1p jelű külön lapból álló szabályozási terve”
2. § A helyi építési szabályokról szóló 14/2000. (V. 31.) önkormányzati rendelet 13. § (3a) bekezdése helyébe a következő rendelkezés lép:
„(3a) 17Kialakítható telek szélessége: FL-3* kivételével: közbenső min 18,0m, sarok min 20m területe min 720 m 2”
3. § (1) A helyi építési szabályokról szóló 14/2000. (V. 31.) önkormányzati rendelet 17. §-a a következő (2d) bekezdéssel egészül ki:
„(2d) (Gip-1) jelű kiemelt ipari építési övezet”
(2) A helyi építési szabályokról szóló 14/2000. (V. 31.) önkormányzati rendelet 17. §-a a következő (5) bekezdéssel egészül ki:
„(5) (Gip-1) jelű kiemelt ipari építési övezetben:
- a) Az egyéb ipari területre vonatkozó általános előírások szerintiek elhelyezhetők
- b) Kialakítandó telek: min. 900 m2
- c) Beépítés módja: szabadonálló, az adott oldal homlokzat magassága szerinti előkerttel
- d) Beépítettség: max. 50 %
- e) Építménymagasság: max. 9 m
- f) Zöldfelület: min. 25 %”
4. § A helyi építési szabályokról szóló 14/2000. (V. 31.) önkormányzati rendelet 25. §-a a következő (4) bekezdéssel egészül ki:
„(4) A KP-V** jelű övezetben feltöltés nem végezhető.”
5. § (1) A helyi építési szabályokról szóló 14/2000. (V. 31.) önkormányzati rendelet 1. melléklete az 1. melléklet szerint módosul.
(2) A helyi építési szabályokról szóló 14/2000. (V. 31.) önkormányzati rendelet 2. melléklete a 2. melléklet szerint módosul.
6. § Ez a rendelet 2021. június 16-án lép hatályba.
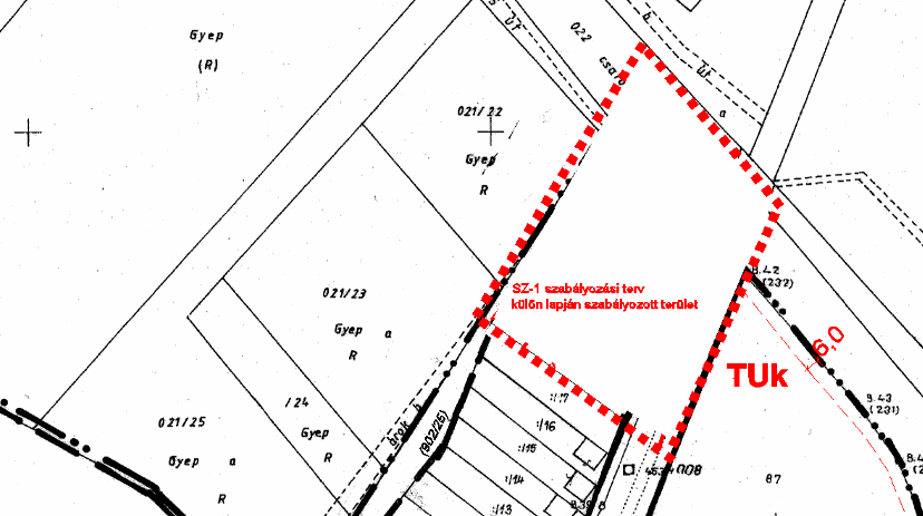
1. melléklet
„1. melléklet
Belterület
Belterület SZ-1 jelű: 2 000 méretarányú szabályozási terve
A R. 1. mellékletét képező SZ-1 jelű szabályozási terv keleti szelvénye az alábbiak szerint módosul.

A R. 1 mellékletét képező SZ-1 jelű szabályozási terv keleti szelvénye az alábbi külön lappal egészül ki:
”
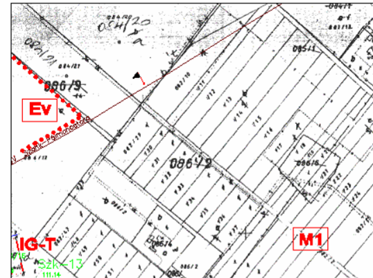
2. melléklet
1. A helyi építési szabályokról szóló 14/2000. (V. 31.) önkormányzati rendelet 2. melléklete a következő szöveggel egészül ki:
„A R. 2. mellékletét képező SZ-2 jelű szabályozási terv 29. szelvénye az alábbiak szerint módosul:

A R. 2. mellékletét képező SZ-2 jelű szabályozási terv 35. szelvénye az alábbiak szerint módosul:

A R. 2. mellékletét képező SZ-2 jelű szabályozási terv 36. szelvénye az alábbiak szerint módosul:
”