Resznek Község Önkormányzata Képviselő-testületének 19/2006. (XII.11.) önkormányzati rendelete
RESZNEK KÖZSÉG ÉPÍTÉSI SZABÁLYZATÁRÓL ÉS SZABÁLYOZÁSI TERVÉRŐL
Hatályos: 2018. 12. 01Resznek Község Önkormányzata Képviselő-testületének 19/2006. (XII.11.) önkormányzati rendelete
RESZNEK KÖZSÉG ÉPÍTÉSI SZABÁLYZATÁRÓL ÉS SZABÁLYOZÁSI TERVÉRŐL
2018-12-01-tól
Resznek Község Önkormányzati Képviselő-testületének
19/2006.(XII.11.) számú rendelete
RESZNEK Község ÉPÍTÉSI
SZABÁLYZATÁRÓL ÉS SZABÁLYOZÁSI TERVÉRŐL
Resznek Község Önkormányzat Képviselő-testülete az 1990. évi LXV. törvény 16. § (1) bekezdésében, valamint az épített környezet alakításáról és védelméről szóló többször módosított 1997. évi LXXVIII. törvény (továbbiakban Étv.) 6. § (3) bekezdésében és 7.§ (3) bekezdésének c) pontjában kapott felhatalmazás alapján, a 253/1997.(XII. 20.) az Országos Településrendezési és Építési Követelményekről szóló Kormányrendelet és mellékletei, (továbbiakban: az OTÉK) rendelkezéseinek figyelembe vételével, az építés helyi rendjének biztosítása érdekében az alábbi önkormányzati rendeletet állapítja meg, és jóváhagyja a szabályozási tervet.
- Jelen előírások területi hatálya Resznek község belterületére, valamint a külterület területeire terjed ki.
- A rendelet hatálya alá tartozó területen az OTÉK által meghatározott építési munkát végezni és ezekre hatósági engedélyt adni az OTÉK és az egyéb általános érvényű törvényi és hatósági előírások, valamint a helyi településrendezési eszközök (helyi építési szabályzat és a szabályozási terv) rendelkezései szerint szabad.
- A jelen helyi építési szabályzatot és a mellékletét képező SZ jelű szabályozási tervlapot együtt kell alkalmazni.
2.§
- A szabályozási tervben alkalmazott kötelező szabályozási elemek az alábbiak:
- bel- és külterület határa,
- a külterületen beépített és beépítésre szánt, illetőleg beépítésre nem szánt területek határa,
- meglévő és tervezett szabályozási vonal,
- területfelhasználási egység határa,
- építési övezet, övezet határa és előírásai,
- sajátos jogintézmények határvonalai.
- Az OTÉK által meghatározott és a tervben alkalmazott kötelező szabályozási elemek módosítása kizárólag a szabályozási terv és az önkormányzati rendelet módosításával lehetséges, a (3) bekezdésben szereplő eset kivételével.
- A területfelhasználási egységek, övezetek határai az aktuális tulajdonviszonyok figyelembe vételével változtathatók, amennyiben a telekhatár rendezés és telekegyesítés során létrejövő telkek az egyéb hatályos jogszabályoknak, és jelen rendelkezésekben foglaltaknak megfelelnek. Az érintett telkek közül a nagyobb telekterülettel rendelkező egy övezetbe eső telek vagy telkek övezeti besorolását kell érvényesíteni a telekegyesítés után, a rendelet hatályba lépését követő egy alkalommal.
- A terven jelölt minden egyéb szabályozási elem irányadónak tekintendő, amelyektől eltérést az elsőfokú építésügyi hatóság, a jogszabályi kereteken belül, a szabályozási terv, illetve a helyi építési szabályzat módosítása nélkül az önkormányzat véleménye alapján engedélyezhet.
3.§
A helyi építési szabályzatban és a szabályozási terven alkalmazott sajátos jogintézmény a következők:
- Beültetési kötelezettség: A telek szabályozási terven jelölt részén telepítendő védő zöld sáv, melyet háromszintű növényzet (gyep, cserje, lombkoronaszint együttesen) ültetésével kell kialakítani. A beültetésű kötelezettségű területen legfeljebb a területet keresztirányban átszelő utak alakíthatók ki. A növénytelepítést a beruházás részeként, az építési tevékenységgel egyidőben kell megvalósítani.
4.§
A jelen rendelet előírásainál az OTÉK 1. sz. mellékletében meghatározott fogalmakon kívül az alábbi fogalmak alkalmazandók:
- Szintterületi mutató: az összes bruttó szintterület és a telekterület hányadosa.
- Építési hely: amelyet a mindenkori telekhatárhoz képest kell értelmezni, kivéve ha telek területét tervezett szabályozási vonal érinti, ebben az esetben a szabályozási vonalat telekhatárként kell értelmezni az építési hely meghatározásánál.
- Zöldfelülettel fedett terület: a szilárd burkolatú felületek nélküli, lágyszárú növényzettel, cserjékkel, fákkal betelepített beépítetlen terület sík vetülete, ahol a nem szilárd burkolattal (pl. kavicsburkolat, homok stb.) ellátott felület nem haladhatja meg a számított zöldfelület 1/5-ét. vehető figyelembe.
- A főépület: a telek rendeltetése szempontjából meghatározó, utcaképet formáló épület, míg a melléképület: a főépület rendeltetésszerű használatát kiegészítő funkciójú épület, építmény.
Telekalakítás általános szabályai
5.§
- A szabályozási tervben javasolt telekalakítások, telekosztások (így az ezekhez tartozó megszüntető jelek) irányadó jellegűek, a kedvezőbb telekszerkezet, telekméret kialakításának eszközei.
- A szabályozási terven nem szereplő telekosztás akkor engedélyezhető, ha az érintett telkek területe, és beépítési mutatói (beépítettség mértéke, zöldfelületi fedettség) a telekosztás után is megfelelnek az övezeti előírásoknak.
- A meglévő telkek méretei a már kialakult tömbökben eltérhetnek az egyes építési övezetekben előírt telek méreteitől, de új telket alakítani, telket megosztani csak a szabályozási terven ábrázoltak szerint, ahol a szabályozási terv telekalakítást nem jelöl az építési övezetben előírt minimális telekméret figyelembevételével lehet.
- Az építési telkek megközelítésére szolgáló magánutat kialakítani akkor lehet, ha a magánút – az erről szóló külön szerződésben foglaltak keretei között –a közterületekre vonatkozó rendelkezések szerint kerül kialakításra, önálló helyrajzi számmal és földhivatali besorolásban „út” megjelöléssel és legalább 5m szélességgel .
Épületek, létesítmények elhelyezésére vonatkozó általános előírások
6.§
- A területen az egyes övezetekben meghatározott rendeltetésű építmények illetve az ennek megfelelő funkciók helyezhetők el.
- A beépítésre szánt területeken teljes közműellátást kell biztosítani.
- Az építési hely beépítésre szánt területeken a beépítési mód figyelembevételével a következő.
- Az építési övezet igazodási előírásai alapján a kötelező előkertet 2-2 szomszédos telken álló főépület figyelembe vételével a kialakult állapotnak megfelelően kell megállapítani és a helyszínrajzon igazolni, amennyiben ez egyértelműen nem állapítható meg, illetve új utcaszakaszok beépítése estén 5.0 m-t kell meghatározni. A kötelező előkert határát építési vonalként kell értelmezni.Több utcával határolt telek esetén, egy utcában építési vonalnak, a többi utcában minimális előkert méretnek kell tekinteni. Ahol az építési övezet minimális előkertet határoz meg, ott az előírt szélesség megtartásával az építési helyen belül bárhol elhelyezhető épület.
- Az oldalkert szélessége:
- szabadon álló beépítési módnál: az építési övezetben megengedett legnagyobb építménymagasság fele, de legalább 3,0 méter,
- oldalhatáron álló beépítési módnál: kialakult esetben az épületet az utcaszakaszra jellemző telekhatáron, vagy attól max. 1,0 m-re lehet elhelyezni. A szomszédos épületek közötti távolságnak legalább 4,5 méternek kell lennie, kialakult helyzetben, oldalkert felöli tűzfalképzés esetén,3,0 m-nél kisebb nem lehet.
- a hátsókert mélysége:
- a 40 m telekmélységet meg nem haladó telek esetén legalább 6,0 m,
- a 40 m-t meghaladó telekmélység esetén legalább 10,0 m,
- 65 m-nél mélyebb telek esetén legalább 25 m legyen.
- A telepengedély alapján gyakorolható tevékenységek lehetőség szerint gazdasági területen folytatandók, a település lakó- és vegyes területein e tevékenységek közül legfeljebb a környezetet nem zavaró szolgáltató és kisipari tevékenységek engedélyezhetők.
7.§
- Közlekedési és közmű nyomvonalak és létesítmények védőtávolsága, védőterülete:
- országos közutak külterületi szakasza mentén az út tengelyétől mért 50-50 m,
- 1-35 kV-os elektromos légvezetéké külterületen 5 m, belterületen 2,5 m,
- kisfelszültségű föld feletti légvezeték esetén 1 m,
- 35 kV-nál nem nagyobb feszültségű földben elhelyezett vezetéknél 1 m,
- Ahol a védőtávolság a kialakult állapot miatt nem biztosítható, ott meg kell oldani a közművek védelembe helyezését és szabvány alóli felmentést kell kérni.
Közterület alakításra vonatkozó általános szabályok
8.§
- A település közterületein elsődlegesen elhelyezhető:
- közúti közlekedéssel kapcsolatos építmények (várakozóhelyek és tartozékaik),
- köztisztasággal kapcsolatos építmények,
- szobor, díszkút, szakrális emlék,
- távbeszélőfülke.
- A közterületeket csak a használat érdekében legszükségesebb nagyságú burkolt felületekkel szabad ellátni. A burkolatlan felületeket, ahol ezt műszaki okok nem akadályozzák, zöldfelületként kell kialakítani.
A szabályozási terv területfelhasználási egységei és övezetei
9.§
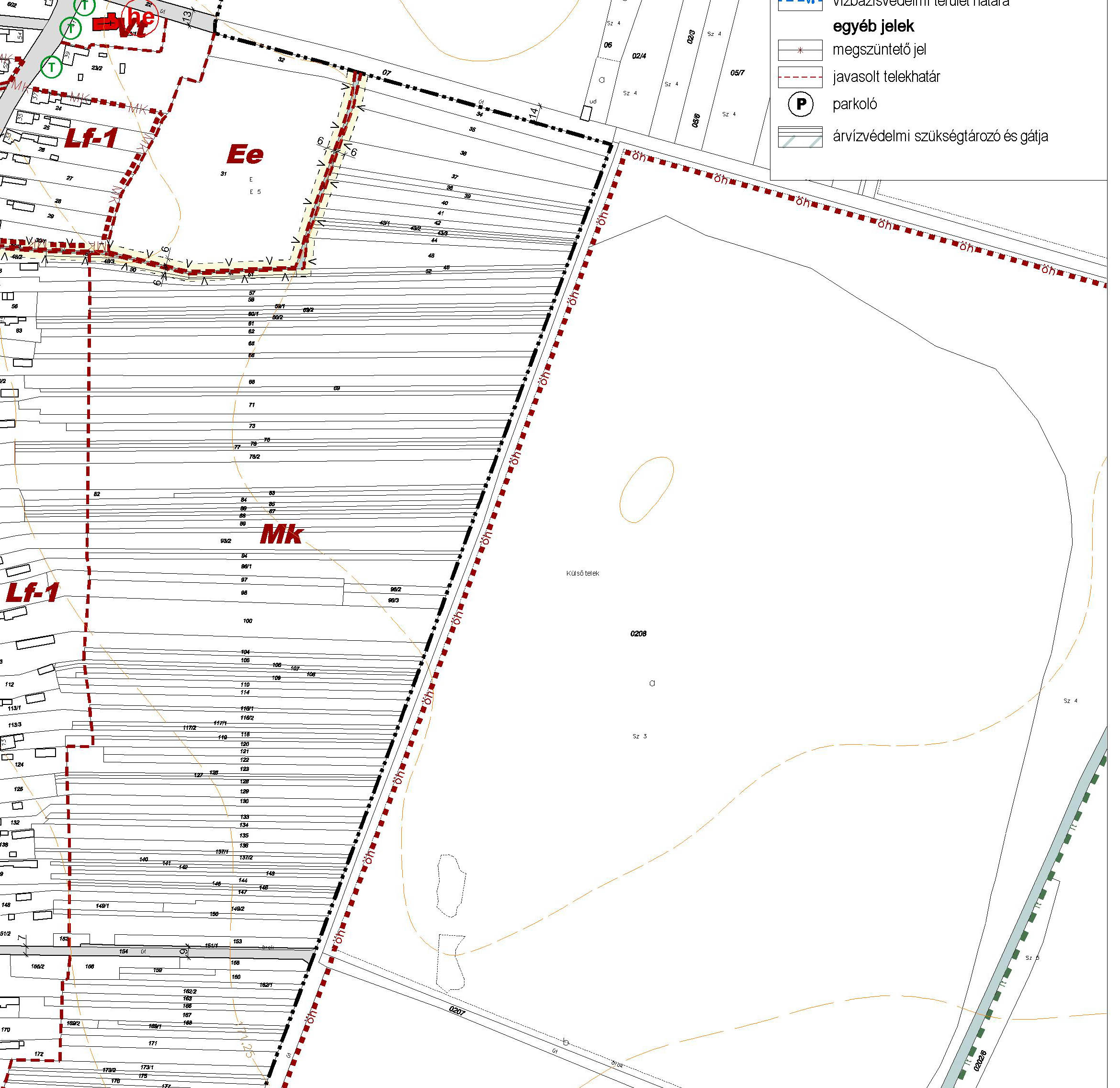
- A község beépítésre szánt területe az építés általános jellege, valamint sajátos építési használata szerint a következő építési övezetekből áll:
- Lakóterületek:
falusias lakóterület Lf-1, Lf-2
- Vegyes területek:
településközpont vegyes terület Vt
- Gazdasági területek:
Kereskedelmi, szolgáltató Gksz
mezőgazdasági üzemi G-Mü
- Különleges területek:
sport K-sp
temető területe K-t
- A belterület beépítésre nem szánt területe az építés általános jellege, valamint sajátos építési használata szerint a következő övezetekből áll:
- Közlekedési és közműterületek:
közút területe KÖu
- ZöldterületZ
- Erdőterületek
Egészségügyi, szociális, turisztikai Ee
- mezőgazdasági
belterületi kert Mk
- Vízgazdálkodási területekV
II. BEÉPÍTÉSRE SZÁNT TERÜLETEK, Építési övezetek ELŐÍRÁSAI
10.§
- A falusias lakóterületen elhelyezhető:
- Telkenként legfeljebb 2 lakásos (két önálló rendeltetési egységet magába foglaló) 1 db lakóépület, az övezetben meghatározott minimális telekterület többszörösét meghaladó telken annyi lakóépület helyezhető el, amennyi a telek felosztásával elhelyezhető lenne.
- helyi igazgatási, egyházi, oktatási, egészségügyi-, szociális épület,
- a lakosság ellátását szolgáló kereskedelmi-, szolgáltató-, szálláshely-szolgáltató, vendéglátó épület, kézműipari építmény,
- a lakófunkciót nem zavaró hatású mező- és erdőgazdasági (üzemi) építmény, (pl.: terménytároló, pajta, állattartó épület, pince), ill. egyéb gazdasági-, kisüzemi-, kisipari épület, kézműipari építmény,
- Minden építési telek és közforgalomnak megnyitott út között általában csak egy járműközlekedésre alkalmas kapcsolat létesíthető, legfeljebb 4,5 m szélességben. Amennyiben a telken működő funkció szükségessé teszi szélesebb behajtó létesíthető.
- A lakótelkek mérete a kialakult telekszerkezet függvénye. Az egyéb jogszabályoknak megfelelő kialakult telkek beépíthetők, kivéve a 12 m szélességet el nem érő kialakult, de be nem épített telkeket.
- Telekhatár rendezés révén kialakuló telkek legkisebb szélessége nem lehet kevesebb 12,0 m-nél, a telekosztás után kialakult telkek legkisebb szélessége az építési vonalon min. 16,0 m.
- A lakótelek beépítési százalék számításánál a lakótelek összterülete 1500 m2-ig teljes területtel, az e feletti, 1500m2- 3500m2 közötti terület fél területtel, a 3500m2 feletti terület nem vehető figyelembe.
- A 20 méternél szélesebb telkek szabadon állóan is, az ennél keskenyebbek csak oldalhatáron állóan építhetők be. Szabadon állóan elhelyezett épületek esetén is legalább 6 méteres az utcára jellemző oldalkerti elhelyezkedést meg kell tartani.
- Az épületek a beépítési módnak megfelelő építési helyen helyezhetők el:
- Meglévő épületeket bővíteni csak az új épületekre meghatározott szabályok betartásával szabad.
- Meglévő épület elbontása esetén új épület lehetőleg az eredeti helyére épüljön, az építési helyen belül.
- Építési helyen belül a lakófunkciójú és/vagy lakossági forgalmat bonyolító épületnek (főépületnek), mindig az utca felöl kell elhelyezkednie az utcaképet formáló módon.
- Az övezeti előírásnál magasabb, meglévő építmények kialakult állapotnak tekintendők. A meglévő épület bővítése esetén az építmény magassága nem nőhet, illetve a toldalék jellegű bővítmény építmény magassága az övezeti előírás szerinti értékét nem haladhatja meg.
- A lakóterületen az övezeti előírástól nagyobb építménymagasságú mezőgazdasági épület is elhelyezhető legfeljebb 5,5 m építménymagassággal, amennyiben az a szomszédos telket hátrányosan nem korlátozza és nem homlokvonalon, utcaképet formáló épületként valósul meg. Telken belül az épületek közötti telepítési távolság értéke a tényleges építménymagassággal megegyező.
- A belterület nyugati oldalán, az árapasztó tározó mentén az, Lf-2 övezetben pince nem építhető, az épületek vezérszintje az utca szintjéhez képest 1m-rel magasabban legyen.
- A lakóterületi építési övezetre vonatkozó határértékeket a következő táblázat tartalmazza:
építési övezet | telekalakításra vonatkozó előírások | építmények elhelyezésére vonatkozó előírások | építményekre vonatkozó előírások | ||||||
Lf | legkisebb telek- | kötelező | legkisebb | legnagyobb | |||||
terület m2 | szélesség m | mélység m | építési mód | előkert m | zöldfelület % | beépítettség % | ép.mag. m | szintter. mut. | |
Lf-1 | K/1200 | 14 | 30 | O/Sz | i | 55 | 25 | 4,5 | 0,5 |
Lf-2 | K/1000 | 14 | 50 | O/Sz | i | 55 | 25 | 5,5 | 0,5 |
Településközpont vegyes terület
11.§
- A településközpont vegyes terület több önálló funkcionális egységet magába foglaló, lakó és olyan helyi települési szintű intézmények elhelyezésére szolgál, amelyek alapvetően nincsenek zavaró hatással a lakófunkcióra. Az egyes funkciók önálló épületben vagy lakóépületben, lakófunkcióval vegyesen is elhelyezhetőek az övezeti előírásoknak megfelelően.
- A településközpont vegyes területen elhelyezhető funkciók:
- igazgatási-, egyházi-, oktatási-, egészségügyi, szociális épületek,
- közösségi, szórakoztató, kulturális épület,
- kereskedelmi-, szolgáltató-, vendéglátó-, szálláshely-szolgáltató épületek,
- lakóépületek,
- játszókertek, közkertek, sportépítmények,
- önálló új üzemi gazdasági funkció kizárólag abban az esetben létesíthető, ha a vegyes területre vonatkozó környezeti feltételek teljesítése biztosított.
- Az épületek a beépítési módnak megfelelő építési helyen helyezhetők el:
- meglévő épületek bővítése az új épületekre vonatkozó szabályok betartásával lehetséges.
- meglévő épület elbontása esetén új épület lehetőség szerint az eredeti helyére épüljön.
- A zöldfelületek kialakítására az alábbi előírások vonatkoznak:
- a telkek zöldfelülettel borított részének legalább ¼-ét háromszintű (gyep- cserje- és lombkoronaszint együttesen) növényzet alkalmazásával kell kialakítani. Kizárólag egyszintű növényzet (gyep) a zöldfelülettel fedett terület legfeljebb felét boríthatja.
- növénytelepítés során elsősorban a tájra jellemző honos fa- és cserjefajok alkalmazandók.
- Az építési övezetekre vonatkozó határértékek:
építési övezet | telekalakításra vonatkozó előírások* | építmények elhelyezésére vonatkozó előírások | építményekre vonatkozó előírások | ||||||
Vt | legkisebb telek- | kötelező | legkisebb | legnagyobb | |||||
terület m2 | szélesség m | mélység m | építési mód | előkert m | zöldfelület % | beépítettség % | ép.mag. m | szintter. mut. | |
Vt | 900 | 16 | 40 | O,SZ | ill. | 35 | 40 | K/5,5 | 1 |
Kereskedelmi szolgáltató övezet
12.§
- A kereskedelmi, szolgáltató gazdasági övezetben elsősorban:
- mindenfajta, nem jelentős zavaró hatású gazdasági tevékenységi célú épület,
- a gazdasági funkciójú épületen belül a tulajdonos, a használó és a személyzet számára szolgáló lakás,
- kereskedelmi, vendéglátó, szolgáltató funkciók létesítményei,
- igazgatási, egyéb irodaépület,
- sportépítmény
helyezhetők el.
- Az építési övezetre vonatkozó határértékek:
építési övezet | telekalakításra vonatkozó előírások | építmények elhelyezésére vonatkozó előírások | építményekre vonatkozó előírások | |||||||
Gksz | legkisebb telek- | kötelező | legkisebb | legnagyobb | ||||||
terület m2 | szélesség m | mélység m | építési mód | előkert m | zöldfelület % | beépítettség % | ép.mag. m | szintter. mut. | ||
Gksz | 2000 | 30 | 50 | SZ | 10 | 35 | 35* | 6,0 | 0,5 | |
*A telek beépítési százalék számításánál a telek összterülete 10.000 m2-ig teljes területtel, az e feletti terület fél területtel vehető figyelembe.
- Az övezetben a zöldfelületek kialakítására az alábbi előírások vonatkoznak:
- Az telek zöldfelülettel borított részének legalább felét háromszintű (gyep- cserje- és lombkoronaszint együttesen) növényzet alkalmazásával kell kialakítani. Kizárólag egyszintű növényzet (gyep) a telkek zöldfelülettel fedett részének legfeljebb 1/4-ét boríthatja. A növényzet kialakításakor honos növényfajok, ill. ezek nemesített fajtái alkalmazandók
- Talaj- és vízvédelmi szempontból a kialakításra kerülő tehergépkocsi várakozó helyek, rakodók, tárolók kizárólag szilárd burkolattal ellátott vízzáró területen lehet létesíteni, melyeket kiemelt szegéllyel kell ellátni, hogy a felületükön a csapadékvíz összegyűjthető legyen. Az így összegyűjtött csapadékvizek kizárólag hordalékfogó és olajfogó műtárgyon keresztül vezethetők a befogadóba.
13.§
- A mezőgazdasági üzemi övezet az üzemi méretű árutermelő mezőgazdasági tevékenység, állattenyésztés és állattenyésztéssel és növénytermesztéssel kapcsolatos termékfeldolgozás, tárolás céljára szolgáló terület.
- Az övezetben elhelyezhető:
- a mezőgazdasági termeléshez szükséges gazdasági tevékenységi célú épület,
- igazgatási, egyéb irodaépület,
- a gazdasági tevékenységhez, továbbá az ott tartózkodók alapfokú ellátásához szükséges építmények,
- állattartó épületek,
- szerszám- és géptárolók,
- mezőgazdasági gépjavító,
- biztonsági okokból szükséges őrházak,
- termékvezetékek és műtárgyaik,
- komposztáló telepek építményei,
- a mezőgazdasági tevékenység során keletkező veszélyes hulladékok átmeneti tárolására szolgáló építmények.
- A mezőgazdasági üzemi terület övezetének részletes előírásai:
építési övezet | telekalakításra vonatkozó előírások | építmények elhelyezésére vonatkozó előírások | építményekre vonatkozó előírások | ||||||
G-mü | legkisebb telek- | kötelező | legkisebb | legnagyobb | |||||
terület m2 | szélesség m | mélység m | építési mód | előkert m | zöldfelület % | beépítettség % | ép.mag. m | szintter. mut. | |
G-mü | 1 ha | 100 | - | SZ | 20 | 35 | 20 | 5,0* | 0,3 |
*technológiai építmény (pl.: terményszárító, silótorony, víztorony) magassági korlátozás nélkül helyezhető el
- A gazdasági terület gépjárművek közlekedésére szolgáló területét portalanított szilárd burkolattal kell ellátni.
- Az övezetben a zöldfelületek kialakítására az alábbi előírások vonatkoznak:
- Az egyes telkek zöldfelülettel borított részének legalább felét háromszintű (gyep- cserje- és lombkoronaszint együttesen) növényzet alkalmazásával kell kialakítani. Kizárólag egyszintű növényzet (gyep) a telkek zöldfelülettel fedett részének legfeljebb 1/4-ét boríthatja.
- Az övezetben a kötelező zöldfelület egy részét a telekhatárok mentén a tervlapon ábrázolt szélességben egybefüggően kell kialakítani. Az oldal és a hátsókertben többszintű növényzetből (fasor alatta cserjesávval) álló zöldfelületi sáv, az előkertben legalább kétszintű növényzetből (gyep- és cserjeszint együttesen) álló növényzet telepítendő.
- Az övezetben az eltérő területfelhasználású területtel érintkező telekhatárok mentén legalább 10,0 m széles, többszintű növényzetből álló védő zöld sáv telepítendő, ill. tartandó fenn.
- A telekhatár menti növényzet kialakításakor honos növényfajok, ill. ezek nemesített fajtái alkalmazandók.
- Telken belül a parkolók fásítva alakítandók ki: 4 parkolóhelyenként legalább 1 db, legalább kétszer iskolázott lombos fa telepítendő.
- Az övezetben létesítmények jelen rendelet környezetvédelmi előírásai és az alábbi környezeti feltételek együttes biztosítása esetén engedélyezhetők, ill. üzemeltethetők:
- környezetet zavaró hatása miatt a mezőgazdasági üzemi területeken nagy létszámú állattartás nem folytatható.
- az övezetben a talaj és talajvíz állapotát a terület hasznosítása, átalakítása, ill. új épület elhelyezése esetén meg kell vizsgálni. Talajszennyeződés feltárása esetén a kárelhárítást az építési engedélyben kikötött módon a létesítmények használatba vételi engedélyének megkéréséig el kell végezni. A használatba vételi engedély kizárólag abban az esetben adható meg, ha a feltárt talajszennyezés felszámolása megtörtént.
- a trágya tárolása földbe, vagy föld fölé épített – más hulladéktól elkülönítetten – (zárt rendszerű) szivárgásmentes trágyakezelési módszerrel történhet.
- diffúz légszennyezést, kellemetlen szagot, bűzt okozó tevékenységek kizárólag abban az esetben folytathatók, ha megfelelő technológiával a légszennyező anyagok külső légtérbe való kijutása, ill. terjedése megakadályozható.
14.§
- A temető a temetkezés céljait szolgáló terület, ahol elhelyezhetők:
- egyházi és világi kegyeleti épületek (pl.: ravatalozó, kápolna),
- sírépítmények, urnatárolók,
- a temetkezés céljait szolgáló egyéb építmények,
- a terület fenntartásához szükséges épületek, építmények (pl. szerszámtároló, hulladékgyűjtő).
- A temető övezet részletes előírásai:
építési övezet | telekalakításra vonatkozó előírások | építmények elhelyezésére vonatkozó előírások | építményekre vonatkozó előírások | ||||||
Kt | legkisebb telek- | kötelező | legkisebb | legnagyobb | |||||
terület m2 | szélesség m | mélység m | építési mód | előkert m | zöldfelület % | beépítettség % | ép.mag. m | szintter. mut. | |
Kt | 7500 | 100 | - | SZ | - | 50 | 10 | 5,5 | 0,1 |
- A temető területén a meglévő növényzet védelmét biztosítani kell. Fa kizárólag abban az esetben vágható ki, ha azt balesetveszély elhárítása, a fa rossz egészségi állapota vagy közegészségügyi szempontok teszik szükségessé. A növényzet folyamatos karbantartásáról gondoskodni kell.
- A temető telekhatára mentén legalább kétszintű növényzetből álló növénysáv (cserjesáv) létesítendő, illetve tartandó fenn.
15.§
- A szabályozási tervlapon sportterületként (Ksp) lehatárolt terület a pihenés, testedzés céljára szolgáló terület, ahol elhelyezhetők:
- pihenést és testedzést szolgáló építmények (pl.: pihenőhely, sétaút, játszótér, sportpályák),
- sportpályák kiszolgáló létesítményei (pl.: öltöző, lelátó),
- vendéglátó létesítmény,
- a terület fenntartását szolgáló épület, valamint
- a rendezvényturizmushoz kapcsolódó ideiglenes építmények (pl. sátor, színpad).
- A sportterület részletes előírásai:
építési övezet | telekalakításra vonatkozó előírások | építmények elhelyezésére vonatkozó előírások | építményekre vonatkozó előírások | ||||||
Ksp | legkisebb telek- | kötelező | legkisebb | legnagyobb | |||||
terület m2 | szélesség m | mélység m | építési mód | előkert m | zöldfelület % | beépítettség % | ép.mag. m | szintter. mut. | |
Ksp | 5000 | 60 | K | SZ | 10 | 70 | 10 | 5,5 | 0,1 |
- A sportterületen a zöldfelületek kialakítására az alábbi előírások vonatkoznak:
- Az egyes telkek zöldfelülettel borított részének legalább 1/5-ét két- (gyep- és cserjeszint együttesen) vagy háromszintű (gyep-, cserje- és lombkoronaszint együttesen) növényzet alkalmazásával kell kialakítani.
- A parkolók telken belül is fásítva alakítandók ki: 4 parkolóhelyenként legalább 1, legalább kétszer iskolázott lombos fa telepítendő. A nagyobb zöldfelületi borítottság elérése miatt javasolt a parkolók gyepráccsal történő borítása.
- Növénytelepítés során a termőhelyi adottságoknak megfelelő honos növényfajok alkalmazandók.
16.§
építési övezet | telekalakításra vonatkozó előírások | építmények vonatkozó előírások | építményekre vonatkozó előírások | ||||||
Z | legkisebb telek- | kötelező | legkisebb | legnagyobb | |||||
terület m2 | szélesség m | mélység m | építési mód | előkert m | zöldfelület % | beépítettség % | ép.mag. m | szintter. mut. | |
Z | 6000 | - | - | SZ | 15 | 75 | 2 | 4,5 | - |
- A övezetben elhelyezhető:
- pihenést és testedzést szolgáló építmények (pihenőhely, sétaút, játszótér),
- köztárgyak, műtárgyak (szobor, emlékmű, díszkút stb.)
- kerti építmények (pl. pergola, zenepavilon),
- a terület fenntartásához szükséges épület.
- A zöldterületeken elhelyezésre kerülő épületek, építmények kizárólag tájba illő építészeti kialakításúak (hagyományos anyaghasználatúak és felületi kiképzésűek, hagyományosan színezettek) lehetnek.
- A zöldterületek zöldfelülettel borított területének legalább 1/4-ét háromszintű növényzet (gyep-, cserje- és lombkoronaszint együttesen) alkalmazásával kell kialakítani. Egyszintű növényzet (gyepszint) a zöldfelülettel fedett terület legfeljebb felét boríthatja.
17.§
- A belterületen található erdőterületek funkciójuk, ill. az elhelyezhető épületek szempontjából egészségügyi, szociális, turisztikai erdők.
- Az egészségügyi-szociális, turisztikai erdőterületen (Ee) a szabadidő eltöltését szolgáló létesítmények - pihenőhely, erdei tornapálya, játszótér, ismeretterjesztés építményei helyezhetők el, épületek az övezetben nem alakíthatók ki.
18.§
- A szabályozási tervlapon belterületi mezőgazdasági területként lehatárolt területek sajátos használatuk szerint kertes mezőgazdasági területek, melyek az ún. házikert övezetbe tartoznak.
- A tájkarakter erősítése érdekében az övezet területe gyógynövény-, növénytermesztéssel, szőlő- vagy gyümölcstermesztéssel hasznosítandó.
- Az övezetben épület, építmény nem létesíthető.
- Lakókocsi, lakókonténer, egyéb mobil jellegű építmény a mezőgazdasági területeken még átmenetileg sem helyezhető el.
19.§
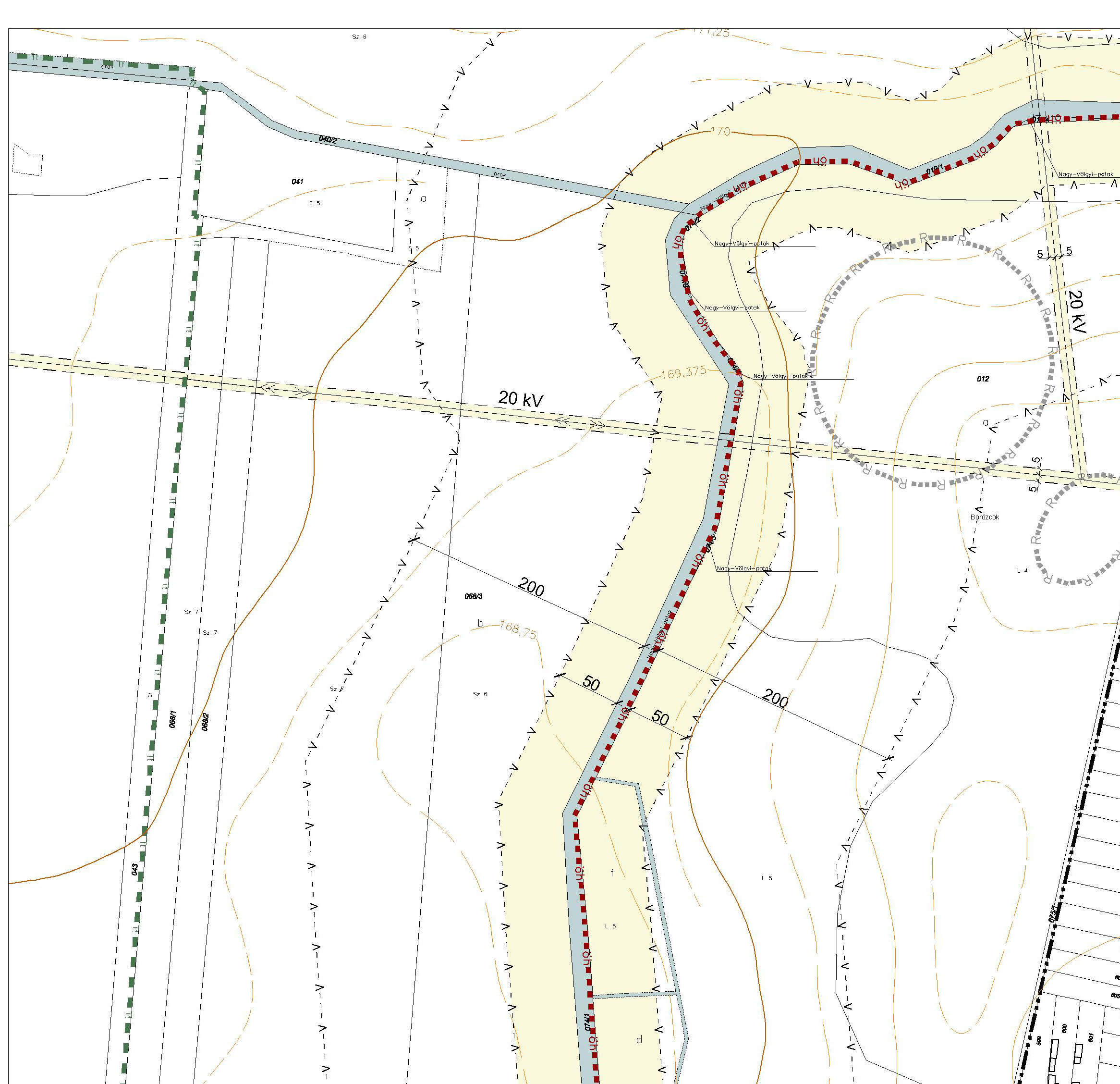
- Vízgazdálkodási terület övezetbe a vízfolyások, közcélú nyílt csatornák, árkok medre és parti sávja tartoznak.
- A parti sáv a vízfolyások és felszíni vízelvezető csatornák mentén, a fenntartás számára biztosítandó területsáv, melynek szélessége:
- kizárólagos állami tulajdonú vízfolyások partvonalától számított 6-6 m,
- az a) pontba nem tartozó vizek és közcélú vízi létesítmények partvonalától számított 3-3 m.
- A parti sáv hasznosítása kizárólag a vízügyi jogszabályokban foglaltak szerint történhet.
Közlekedési és közmű területek
20.§
- A közlekedési területek a meglévő és tervezett (szabályozott) közúti és vasúti telkek, ill. a hozzá csatlakozó közlekedésüzemi létesítményi területek.
- A közúti közlekedési területeken a közlekedési műszaki létesítmények elhelyezésén túl csak a tömegközlekedést kiszolgáló létesítmények (pl.: várakozó helyiség, forgalomirányító helyiség) és legfeljebb A/2 méretű reklámépítmények helyezhetők el a forgalom biztonságának figyelembevételével.
- A közúthálózat elemei számára az alábbi szabályozási szélességű területeket kell biztosítani:
- Országos mellékút: 74126 j. út meglévő 10-20 m között változó,
- Külterületi feltáró út: 8 m,
- Beépítésre szánt területek új lakó- és kiszolgáló útjainak szélessége 8-12 m,
- A kialakult, földhivatali nyilvántartásban szereplő szabályozási szélességek megtartandók.
- A burkolatlan felületeket, ahol ezt műszaki okok nem akadályozzák zöldfelületként kell kialakítani, a forgalomtechnika és a forgalombiztonság figyelembevételével.
21.§
- A meglévő közművek, hírközlési létesítmények egyéb építési tevékenység miatt szükségessé váló kiváltásakor, szabványos keresztezés kiépítésekor annak – szükség esetén – egyidejű rekonstrukciójáról is gondoskodni kell. A kiváltandó feleslegessé vált közművet fel kell bontani, felhagyott vezeték nem maradhat a földben.
- Vállalkozási, gazdasági területről (lakótelkeken engedélyezett vállalkozások esetén is!) a kibocsátott szennyvíz szennyezettségének a közcsatornára való rákötési előírásoknak meg kell felelni az ettől eltérő szennyezettségű vizet telken belül létesítendő szennyvízkezeléssel – a megengedett szennyezettség mértékéig – elő kell tisztítani.
- A 20 db, illetve annál több gépkocsit befogadó parkolókat kiemelt szegéllyel kell kivitelezni, hogy a felületén összegyűjthető legyen a csapadékvíz, az ne folyhasson közvetlenül a zöldfelületre. Ezeknél nagyobb parkoló felületekről és a szennyezéssel veszélyeztetett gazdasági területek belső útjairól összegyűlő csapadékvíz csak hordalék és olajfogó műtárgyon keresztül vízjogi létesítési engedéllyel vezethető a csatornahálózatba, illetve a nyílt árkokba.
- Az egyes telkek gázellátása középnyomású hálózatról létesült bekötéssel történik, ezért helyi egyedi nyomáscsökkentő elhelyezése szükséges, amelyet telkeken belül, a zöldsávba, az előkertben növényzettel takartan kell elhelyezni.
- A vízhálózaton föld feletti tűzcsapokat kell telepíteni, a 100 méteres megközelítési távolságok figyelembevételével.
- Az elválasztott rendszerű csapadékvíz-elvezető hálózatot a településrészen kialakult állapotnak megfelelően nyílt vagy fedett árokként kell kialakítani.
- A kisfeszültségű villamos és a hírközlési vezetékeket és kábel TV hálózatokat meglevő, felújításra kerülő hálózatokon és az új beépítésre szánt területeken földfeletti vezetés esetén a közös oszlopsoron kell vezetni.
22.§
- Valamennyi terület-felhasználás, létesítés, beavatkozás során érvényre kell juttatni a környezetvédelmi előírásokat. A beruházások nem okozhatnak olyan hatásokat, amelyek a környező területek jelenlegi és tervezett használati módját jelentős mértékben zavarják, vagy lehetetlenné teszik.
- A kedvezőtlen településképi látványt nyújtó tevékenységeket a telkeken belül oly módon kell elhelyezni, vagy takarásukról gondoskodni (pl. többszintű növényzettel vagy kerítéssel), hogy azok közterületről ne okozzanak rendezetlen, kedvezőtlen látványt.
23.§
- Levegőterhelést okozó légszennyező forrásokra az elérhető legjobb technika alapján jogszabályban, ill. a területileg illetékes környezetvédelmi hatóság egyedi eljárásának keretében kerülnek megállapításra a kibocsátási határértékek.
- Levegőtisztaság-védelmi szempontból védelmi övezetet igénylő tevékenység nem folytatható.
24.§
- Feltöltések kialakítása, tereprendezés során kizárólag talajvédelmi szempontból minősített, vagy szabványosított termék és anyag használható. Környezetet károsító anyag, ill. veszélyes hulladék alkalmazásának gyanúja esetén az I. fokú építési hatóság az engedélyezési eljárás keretében elrendelheti az alkalmazni kívánt anyagok vizsgálatát.
- A telkeken rézsűk kizárólag oly módon alakíthatók ki, hogy a rézsű állékonysága a telek területén belül biztosítható legyen.
- Talajszennyezést okozó tevékenységek – a tevékenységtől függően - kizárólag víz- és szénhidrogénzáró aljzaton végezhetők.
Felszíni és felszín alatti vizek védelme
25.§
- A település belterülete a felszín alatti vizek minősége szerinti fokozottan érzékeny besorolású terület. A felszín alatti vizek és a földtani közeg védelme érdekében a vonatkozó jogszabályok előírásait be kell tartani.
- Ásott kutakba, csapadékvíz-csatornákba, csapadékvíz-elvezető árkokba szennyvizet, vagy az állattartás hulladékait tartalmazó csurgalékvizet még előtisztítás után, vagy tisztítottan sem szabad bevezetni.
- A gazdasági övezetekben tehergépkocsi várakozó helyeket, rakodótereket, munkagépek tárolására, javítására szolgáló felületeket kizárólag szilárd burkolattal ellátott vízzáró területen lehet létesíteni, melyeket kiemelt szegéllyel kell ellátni, hogy a felületükön a csapadékvíz összegyűjthető legyen. Az így összegyűjtött csapadékvizek kizárólag hordalékfogó és olajfogó műtárgyon keresztül vezethetők a csapadékcsatornába. A területen kialakításra kerülő gépkocsi várakozóhelyek, tárolók gyephézagos burkolattal nem alakíthatók ki.
- A felszíni vizek bármilyen jellegű szennyezése tilos. A vízfolyások környezetében nem folytathatók olyan tevékenységek, melyek veszélyeztetik a felszíni vizek, továbbá a talaj- és a talajvizek állapotát, és talaj vagy talajvízszennyezést okozhatnak. Felszíni vízi környezetbe kizárólag a vonatkozó jogszabályok előírásainak megfelelő minőségű csapadékvizek és szennyvizek vezethetők.
- A felszíni vizek öntisztulásának elősegítése miatt a vízparti sávban a természetközeli nádas, ligetes fás társulások, természetközeli ökoszisztémák védelmét biztosítani kell.
- A vízfolyások, csatornák, csapadékvíz-elvezető árkok rendszeres tisztításáról, karbantartásáról gondoskodni kell.
26.§
- Környezeti zajt, illetve rezgést előidéző új üzemi létesítményt, berendezést, technológiát, telephelyet és egyéb helyhez kötött külső zajforrást csak olyan módon szabad tervezni, létesíteni, üzembe helyezni, hogy az országos érvényű zajvédelmi rendeletben a területre, illetve a területileg illetékes környezetvédelmi hatóság által a létesítményre megállapított zaj- és rezgésterhelési határértékeket ne haladja meg.
- Új út építése, meglévő út átépítése esetén a közlekedésből származó környezeti zajszint az országos érvényű zajvédelmi rendeletben meghatározott határértékeket nem haladhatja meg.
27.§
- A régészeti érdekű területeken tervezett munkálatok esetében az örökségvédelmi hatóságot véleményező szervként be kell vonni még a tervezés fázisában.
- Minden olyan esetben, amikor lelet vagy jelenség kerül elő, a területileg illetékes múzeumot és az örökségvédelmi hatóságot értesíteni kell.
- A nagy felületeket érintő beruházások előtt az örökségvédelmi hatóságot értesíteni kell, amely hatásvizsgálat készítését írhatja elő.
28.§
29.§
A település zöldfelületeinek védelme
30.§
- A település zöldfelületeinek megóvása érdekében meglévő fát, ill. növényzetet kivágni csak rendkívül indokolt esetben szabad.
- Közterületen, gazdasági területen, különleges területen, valamint kereskedelmi, szolgáltató vagy intézményi funkciójú vegyes területen a kivágott, elhalt növényzet pótlásáról a növényzet jellegének és értékének megfelelően, legalább az 1 m magasságban mért törzsátmérő mértékéig kell a növényzet kivágójának gondoskodnia.
- A visszapótlásra szánt növényzetet lehetőség szerint az építési területen, vagy annak közelében kell telepíteni. A visszapótlásra szánt növényzet kiültetéséről az építési tevékenység megkezdése előtt kell gondoskodni, ha a visszapótlásra nem az építési területen kerül sor.
31.§
- E rendelet 2007. január 1-jén lép hatályba.
- A rendelet jóváhagyásával egyidejűleg hatályát veszti Resznek Község Önkormányzati Képviselő-testületének a Resznek község szabályozási tervéhez készült helyi építésügyi előírásokról szóló 8/1991.(XI.14.) számú rendelete, valamint az ezt módosító 14/1994.(XI.17.) számú rendelet.
- A rendelet előírásait a hatályba lépést követően indított ügyekben kell alkalmazni.
VIII. Függelék
Függelék a 19/2006.(XII.11.) Resznek ör-hez
nyilvántartott régészeti lelőhely és környezete:
A régészeti lelőhelyek jellegéből adódóan a pontos lokalizáció, még inkább pedig a pontos kiterjedés általában nem határozható meg pusztán a felszíni jelenségek alapján. Az adattári és szakirodalmi adatok, valamint az elvégzett helyszíni beazonosítások alapján jelenleg az azonosított lelőhelyekkel érintett területek az alábbiak (lelőhelyenként a helyrajzi számok).
1.) 0168/4.
2.) 058.
3.) 035; 076; 086.
4.) 012.
5.) 012.
6.) 012.
7.) 0158/1.
8.) 0158/1.
9.) 0150.
10.) 0150.
11.) 0176.
12.) 018/7-8, 10; 018/1.
13.) 0201/5; 0211; 0216.
14.) 0150.
régészeti érdekű terület:
A falu régészeti lelőhelyei a patakok és vízfolyások mellett az ártérből kissé kiemelkedő területeken helyezkednek el. A hasonló adottságú területek alkalmasak voltak az emberi megtelepedésre, ezért az összes patak és a vízfolyás (Kebele-, Szentgyörgyvölgyi-, Nagyvölgyi-, Kandia-patak, stb. és a térképeken névtelen vízfolyások) ártere melletti 4–500 m széles sáv, a bel- és külterületen egyaránt, a jelenleg ismert régészeti lelőhelyeken kívüli részeken is régészeti érdekű terület.
III. Táj- és természetvédelmi területek
- Natura 2000 területek (Kebele kiemelt jelentőségű különleges természet-megőrzési terület): (hrsz: 049, 055/2, 056, 057, 058, 076, 078, 079/1, 079/2, 081, 087, 088, 099, 0136, 0137, 0138, 0139, 0140/1, 0140/3, 0140/4, 0147, 0148/1, 0148/3, 0148/5, 0149, 0150, 0151/2, 0151/3, 0151/4, 0151/5, 0151/6, 0157, 0158/1, 0158/2, 0159, 0160, 0161, 0162, 0163, 0164, 0165, 0166, 0167, 0168/2, 0168/3, 0168/4, 0169, 0170, 0175/1, 0175/2, 0175/3, 0175/4, 0176),
- Természeti területek: természetközeli állapotú erdő- és gyepterületek (a Szentgyörgy-völgyi és Kebele-patak menti nedves élőhelyek, a Gilicés erdőterülete a szlovén határ mentén, valamint a reszneki erdő a belterülettől K-re)
- Országos ökológiai hálózatba tartozó területek: a Natura 2000 területeket, a természeti területeket magába foglaló összefüggő területek a belterülettől délkeletre, délre és nyugatra,
- Nyilvántartásba vételre javasolt táji értékek:
Településsel kapcsolatos emlékek:
Vallási emlékek:
- feszület a Petőfi u. és a 09 hrsz-ú földút kereszteződésében
- feszület a templomkertben (23/1 hrsz-ú terület)
- Szt. István király szobor a templomkertben (23/1 hrsz-ú terület)
- feszület a Petőfi u. 23. sz. ház előtt
- feszület az Ált. Isk. előtt (635 hrsz-ú területen)
- feszület a mezőgazdasági major előtt
Történelmi eseménnyel kapcsolatos emlékek:
- I. és II. világháborús emlékmű a 635 hrsz-ú területen
- emlékmű a Kultúrház előtt (454/1 hrsz-ú terület)
Termeléssel kapcsolatos emlékek:
Agrártörténeti emlékek:
- gémeskút a Kossuth u. 90 sz. ház udvarán (325 hrsz-ú terület)
Természeti emlékek:
- idős fa a temetőben (633 hrsz-ú terület)
- idős fa a mezőgazdasági major előtt
IV. A közúthálózat elemeinek a tervezési osztály besorolása:
- Gyorsforgalmi út: M86 (tervezett) K.I.A, 86-os számú másodrendű főút K. IV.B,
- Országos mellékút: 7418 j. összekötő út (meglévő) K.V.B, B.V.c-C, 74131 j. bekötő út (meglévő) K.VI.B, B.V.c-C, Bödeháza és Lendvajakabfa közötti összekötő út (tervezett) K.V.B, B.V.c-C,
- Egyéb kiszolgáló utak: Az összes egyéb bel-, és külterületi út. (meglévő) B.VI.d.D,
- Kerékpárút: K.IX., B.IX.
- Gyalogút: B.X.
Módosította 9/2016.(X.28.) Resznek ör. Hatályos 2016.X.29-től
A TÉR-t-REND Kft. által 2005-2006-ban készített szabályozási tervlapja
Amennyiben a módosítás terület felhasználást, illetve belterületi határt érint, az Étv. figyelembevételével a szerkezeti tervet is módosítani kell.
Hatályon kívül helyezte 9/2016.(X.28.) Resznek ör. Hatálytalan 2016.X.29-től
Hatályon kívül helyezte 9/2016.(X.28.) Resznek ör. Hatálytalan 2016.X.29-től
Hatályon kívül helyezte 9/2016.(X.28.) Resznek ör. Hatálytalan 2016.X.29-től
lásd: 85/2000. (XI. 8.) FVM rendelet a telekalakításról, valamint Étv. 23, 24 §.
Módosította 9/2016.(X.28.) Resznek ör. Hatályos 2016.X.29-től
Hatályon kívül helyezte 9/2016.(X.28.) Resznek ör. Hatálytalan 2016.X.29-től
e tevékenységek körét a 80/1999. (VI.11.) Korm. rendelet tartalmazza
Hatályon kívül helyezte 10/2018.(XI.5.) Resznek ör. Hatálytalan 2018.XII.1-től
Módosította 9/2016.(X.28.) Resznek ör. Hatályos 2016.X.29-től
a 11/1984 (VIII. 22.) IpM rendelet
Hatályon kívül helyezte 10/2018.(XI.5.) Resznek ör. Hatálytalan 2018.XII.1-től
Hatályon kívül helyezte 9/2016.(X.28.) Resznek ör. Hatálytalan 2016.X.29-től
OTÉK szigorítás: üzemanyagtöltő nem helyezhető el.
lásd: 85/2000. (XI. 8.) FVM rendelet a telekalakításról, Étv
Hatályon kívül helyezte 10/2018.(XI.5.) Resznek ör. Hatálytalan 2018.XII.1-től
Hatályon kívül helyezte 10/2018.(XI.5.) Resznek ör. Hatálytalan 2018.XII.1-től
OTÉK 16.§ (2) 4. pontjában meghatározott
Hatályon kívül helyezte 10/2018.(XI.5.) Resznek ör. Hatálytalan 2018.XII.1-től
Hatályon kívül helyezte 9/2016.(X.28.) Resznek ör. Hatálytalan 2016.X.29-től
Hatályon kívül helyezte 9/2016.(X.28.) Resznek ör. Hatálytalan 2016.X.29-től
Hatályon kívül helyezte 10/2018.(XI.5.) Resznek ör. Hatálytalan 2018.XII.1-től
Hatályon kívül helyezte 9/2016.(X.28.) Resznek ör. Hatálytalan 2016.X.29-től
a nagy létszámú állattartásnak minősülő állatlétszámot a levegő védelmével kapcsolatos egyes szabályokról szóló a 21/2001. (II. 14.) Korm. rendelet 2. számú melléklet 7.2 pontja tartalmazza
Hatályon kívül helyezte 10/2018.(XI.5.) Resznek ör. Hatálytalan 2018.XII.1-től
Hatályon kívül helyezte 9/2016.(X.28.) Resznek ör. Hatálytalan 2016.X.29-től
Hatályon kívül helyezte 10/2018.(XI.5.) Resznek ör. Hatálytalan 2018.XII.1-től
21/2006. (I.31.) Korm. rendelet
Hatályon kívül helyezte 9/2016.(X.28.) Resznek ör. Hatálytalan 2016.X.29-től
Módosította 9/2016.(X.28.) Resznek ör. Hatályos 2016.X.29-től
Hatályon kívül helyezte 9/2016.(X.28.) Resznek ör. Hatálytalan 2016.X.29-től
Hatályon kívül helyezte 9/2016.(X.28.) Resznek ör. Hatálytalan 2016.X.29-től
a levegő védelmével kapcsolatos egyes szabályokról szóló 21/2001. (II.14.) Korm. rendelet előírásainak megfelelően (5.§. (2) bek.)
21/2001. (II.14.) Korm. rendelet 2. sz. melléklete szerinti tevékenységek
27/2004. (XII.25.) KvVM rendelet melléklete szerint
219/2004. (VII.21.) Korm.rendelet
10/2000. (VI.2.) KöM-EüM-FVM-KHVM együttes rendelet
28/2004. (XII. 25.) KvVM rendelet
8/2002. (III.22.) KöM-EüM együttes rendelet
8/2002. (III.22.) KöM-EüM együttes rendelet
Régészeti érintettség esetén a 2001. évi LXIV. törvény és a hozzá kapcsolódó végrehajtási rendeletek alapján kell eljárni. A régészeti örökséget érintő egyéb kérdésekben a rendezési tervhez készített hatástanulmányban foglaltak az irányadók.
Hatályon kívül helyezte 9/2016.(X.28.) Resznek ör. Hatálytalan 2016.X.29-től
Módosította 9/2016.(X.28.) Resznek ör. Hatályos 2016.X.29-től
Módosította 9/2016.(X.28.) Resznek ör. Hatályos 2016.X.29-től
Módosította 9/2016.(X.28.) Resznek ör. Hatályos 2016.X.29-től
A megelőző alcímmel együtt hatályon kívül helyezte 10/2018.(XI.5.) Resznek ör. Hatálytalan 2018.XII.1-től
A megelőző alcímmel együtt hatályon kívül helyezte 10/2018.(XI.5.) Resznek ör. Hatálytalan 2018.XII.1-től
Hatályon kívül helyezte 9/2016.(X.28.) Resznek ör. Hatálytalan 2016.X.29-től
Hatályon kívül helyezte 10/2018.(XI.5.) Resznek ör. Hatálytalan 2018.XII.1-től
az európai közösségi jelentőségű természetvédelmi rendeltetésű területekkel érintett földrészletek jegyzékéről szóló környezetvédelmi és vízügyi miniszteri közlemény alapján (MK 2005. évi 80. szám)
a Balatoni Nemzeti Park Igazgatóság adatszolgáltatása alapján
az Országos Területrendezési terv (2003. évi XXVI. tv.) országos ökológiai hálózati övezeti tervlapja alapján