Szank Község Önkormányzata Képviselő-testületének 14/2000. (V. 31.) önkormányzati rendelete
a helyi építési szabályokról
Hatályos: 2021. 06. 16- 2023. 04. 07Szank Község Önkormányzat Képviselő-testülete 14/2000. (V. 31.) önkormányzati rendelete
a helyi építési szabályokról1
Szank Községi Önkormányzat Képviselő-testületének az Épített környezet alakításáról és védelméről szóló 1997. évi LXXVIII. törvény (továbbiakban Étv) 6. § (3) bekezdésének a) pontja valamint a 13. § (5) bekezdésének c) pontja alapján az Országos Településrendezési és Építési Követelményekről (továbbiakban: OTÉK) szóló 253/1997.(XII. 20.) Korm. rendelet 2. § (1) bekezdésének felhatalmazása alapján a helyi építési szabályokról az alábbi rendeletet alkotja:
1/A. A RENDELET HATÁLYA
1. § (1) A rendelet hatálya Szank közigazgatási területére terjed ki.
(2) 1 A rendelet hatálya alá tartozó területen területet használni, építmény elhelyezésére felhasználni, telket alakítani, építés alapjául szolgáló tervet elkészíteni, építményt építeni, átalakítani, bővíteni, felújítani, helyreállítani, korszerűsíteni, elmozdítani vagy lebontani, továbbá az építmény rendeltetését megváltoztatni és zöldfelületet alakítani az országos érvényű jogszabályok és e rendelet és alábbi mellékletei szerint lehet:
(2a)2 1. melléklet: Belterület SZ-1 jelű1:2 000 méretarányú szabályozási terve 2 szelvényből és SZ-1p jelű külön lapból álló szabályozási terve
(2b) 2. melléklet: Külterület SZ-2 jelű 1:5 760 méretarányú 40 db térképszelvényből álló szabályozási terve
(2c) 3. melléklet: Régészeti lelőhelyek
(3)3 2A rendelet hatálya alá tartozó terület szennyeződés érzékenység szerinti besorolása: IV.
1/B. SZABÁLYOZÁSI ELEMEK
1/A. § (1a) Kötelező szabályozási elemek a település egésze szempontjából legfontosabbak ezért módosításuk csak a szabályozási tervek felülvizsgálatával és módosításával lehetséges. Ezek a beépítésre szánt területek lehatárolása és azok övezeti besorolása, beépítésre nem szánt területek lehatárolása és azok övezeti besorolása, közterületek (utak) szabályozása, belterületi határ.
(1b) Irányadó szabályozási elemek az övezeti előírások, a szomszédsági illeszkedés figyelembevételével hatósági eljárásban módosíthatók, pontosíthatók. Ezek a tervezett telekhatár, alsó és felső határértékek között választható építménymagasság.
(1c) A szabályozási vonalak, melyek útszélesítést, nyomvonalú korrekciót jelölnek, nem kötelezik az építési telek, az út tulajdonosát azonnali bontásra, telekalakításra, kisajátításra, a szabályozással érintett telkeken azonban telekalakítási (meglévő kubatúrán belüli építési munka kivételével) építési engedély nem adható ki, csak a tervezett szabályozás figyelembevételével.
1/C. BELTERÜLETI HATÁRVONAL
3. § (1) A község tervezett belterületi határát SZ-1 terv határozza meg. Építésügyi eljárásokban érvényessége a földhivatali átvezetéstől számítható.
(2) A fejlesztési területek belterületbe vonására csak akkor kerülhet sor‚ ha ezáltal a belterületté nyilvánított terület felhasználása is biztosított.
(3) Azokon a mezőgazdasági területeken, amelyek belterületbe vonással lakóterületi beépítésre és az azokat feltáró közlekedési területbe szántak, a belterületbe való bevonásukig új épületként gazdasági épület ideiglenes jelleggel, kártérítési igény kizárásával elbontási kötelezettséggel helyezhető el a telek legfeljebb 3%-os beépítettségével. Meglévő lakóépület felújítható, helyreállítható.
BEÉPÍTÉSRE SZÁNT TERÜLETEKRE VONATKOZÓ ÁÁLTALÁNOS ELŐÍRÁSOK
1/D. Telekalakítás
4. § (1) A meglévő telkek méretei a már kialakult tömbben eltérhetnek az egyes övezetek előírt telekméreteitől (telekszélességtől, telekmélységtől és telekterülettől)‚ de új telket alakítani‚ telket megosztani csak az építési övezetre előírt telekméretnek megfelelően lehet.
(2)4
1/E. Járművek elhelyezése
5. § Beépítésre szánt területen a parkolási rendelet megállapításáig a gépkocsik elhelyezésére az alábbi vonatkozik:
a) a gépkocsik elhelyezését saját telken belül kell megoldani,
b) az építési telekhez kapcsolódó közterületen akkor helyezhető el a gépkocsi, ha a telken igazolt módon a ki és behajtás forgalmi okokból nem engedélyezhető, a már meglévő épület ill. telek méretei a telken belüli parkolást nem teszik lehetővé.
1/F. Területfelhasználás
6. § (1) Építési használatuk általános jellege valamint sajátos építési használatuk szerint az alábbi területfelhasználási egységekbe soroltak:
a) Lakóterület - Kertvárosias lakóterület - Falusias lakóterület
b) Vegyes terület - Településközponti vegyes terület
c) Gazdasági terület
ca) Kereskedelmi szolgáltató terület
cb) Ipari terület
cc)5 5általános gazdasági terület
d) Különleges terület
da) Sportterület
db) Temető
dc)6 Turisztikai terület
dd) Hulladéklerakó
de)7 Termálfürdő
(2) A mellékleten az övezetet leíró kiegészítő jel az alábbiakat tartalmazza:
(2a) területfelhasználás jele/szintterületi sűrűség,
(2b) beépítési mód, max. beépítettség %,
(2c) max. építménymagasság (m), min. telekterület (m2).
1/G. Épületek, építmények elhelyezése
7. § (1) Lakóterületen telkenként egy épület helyezhető el. A lakás kiegészítő helyiségei kerülhetnek különálló épületbe is.
(2) -(3)8
(4) Terepszint alatti önálló létesítmény - amely a saját építési telek határán belül attól biztonságos távolságig terjedhet - a falusias lakóterületen és gazdasági területen nem szabályozott, kertvárosias -‚ településközponti vegyes-, és különleges területen csak földtakarásban növényzettel fedve valósítható meg.
1/H. Zöldfelületi, növénytelepítési előírások
8. § (1a) Kialakult telekhatárnál és telekalakításkor egyaránt az alábbi ültetési távolságok tartandók:
(1b) szőlő: min 0,8 m
(1c) 3 m-nél magasabbra nem növő gyümölcs-, és egyéb bokor esetén: min l,5 m
(1d) 3 m-nél magasabbra növő gyümölcs-, és egyéb fa esetében: min 3,0 m
(1e) erdei fafaj esetében: min 8,0 m
L a k ó t e r ü l e t r e v o n a t k o z ó e l ő í r á s o k
1/I. Általános előírás
9. § (1) Beépítettség az övezetre előírt mértéket meghaladhatja az alábbi esetekben:
(1a) beépítettség növelésével nem járó átalakításnál
(1b) kizárólag a lakás komfortfokozatát javító egyszeri max 25m2 -es bővítésénél
(2)9 Oldalhatáros beépítésben az oldalkert mérete min 4m.
(3) Az érintett telektulajdonosok ellentétes megállapodása hiányában az építési telkek elválasztására kerítés építése kötelező.
(3a) A kerítés építésének általános szabályait az OTÉK 44. §-a tartalmazza.
(3b) Kerítésre az övezeti előírások és az alábbiak vonatkoznak: élősövény drótfonatos kerítéssel kiegészítve vagy önállóan is kerítésnek minősül. közterületen drótfonatos kerítés csak élősövénnyel együtt létesíthető.
1/J. Kertvárosias lakóterület
10. § (1) A község központjának lakóterülete, amelyben az építési övezeti előírások figyelembevételével
(1a) 1 lakásos10 lakóépület,
(1b) a helyi lakosság ellátását szolgáló kereskedelmi, szolgáltató, vendéglátó épület,
(1c) egyházi, oktatási egészségügyi, szociális épület,
(1d) a terület rendeltetésszerű használatát nem zavaró hatású kézműipari épület, valamint
(1e) sportlétesítmény és a
(1f) terület rendeltetésszerű használatát nem zavaró egyéb gazdasági épület elhelyezhető.11
(2) Kertvárosias lakóterület általános előírásai: A kertvárosias lakóterület szintterület-sűrűsége max 0,6
(3) Kertvárosias lakóterület részletes övezeti előírásai
(3a) beépíthető telek min 720m2
(3b) beépítési mód a kialakult helyzetnek megfelelően oldalhatáros vagy szabadonálló, beépítési vonal a kialakult helyzet szerint
(3c) beépítettség max 30%
(3d) építménymagasság min12, max 4,5m, háztartással kapcsolatos épületek min13, max 3,6m
(3e) Teljes közművesítés az építési munka feltétele, a szennyvízhálózat kiépítéséig ideiglenesen közműpótlóként zárt szennyvízgyűjtő megengedett.
(3f) zöldfelület min 50%
(3g) 14
1/K. Falusias lakóterület
11. § (1) Falusias lakóterületen az építési övezeti előírások figyelembevételével:
(1a) 1 lakásos14 lakóépület
(1b) kereskedelmi‚ szolgáltató és vendéglátó épület
(1c) szálláshely szolgáltató épület
(1d) kézműipari építmény
(1e) helyi igazgatási‚ egyházi‚ oktatási, egészségügyi‚ szociális épület
(1f) sportépítmény
(1g) kivételesen -mező és erdőgazdasági -a terület alaprendeltetését nem zavaró- üzemi és tároló építmény elhelyezhető.
(2) A falusias lakóterület a beépítési jellemzők alapján szabályozási terv szerint az alábbi övezetekre tagolódik:
(2a) FL-1 jelű, a hagyományos beépítés övezete,
(2b) FL-2 jelű a főutcai beépítés övezete,
(2c) FL-3 jelű előkertes beépítés övezete,
(2d) FL-4 jelű gazdálkodó -nagytelkes- beépítés övezete.
1/L. Falusias lakóterület általános előírásai
12. § (1) Szintterület-sűrűsége max 0,5
1/M. Falusias lakóterület egyes építési övezeteire vonatkozó előírások
13. § (1) FL-1 jelű, a hagyományos beépítés övezete, amely a település eredeti mérnöki kiosztásával jött létre és folyamatos átépülés jellemzi:
(1a) telek szélessége: közbenső min. 18,0 m, max. 26 m, sarok min. 20,0 m max. 28 m, telek területe: közbenső min. 900 m2, sarok min. 1000 m2.
(1b) beépítés módja: oldalhatáron álló
(1c) beépítettség: max 30%
(1d) építménymagasság min15 max 4,5m,
(1e) háztartással kapcsolatos épületek min16 max 3,6m
(1f) Teljes közművesítés az építési munka feltétele, a szennyvízhálózat kiépítéséig ideiglenesen a szikkasztás megengedett,
(1g) zöldfelület min 40%
(1h) g18
(2) FL-2 jelű a főutcai beépítés övezete, amely a településképet alapvetően meghatározza
(2a) telek szélessége: közbenső min. 18,0 m, sarok min. 20 m, területe min 900 m2
(2b) beépítés módja: utcafrontos, oldalhatáronállóan vagy zártsorúan *-gal jelölt alövezetben előkertes 5 m-es előkerttel, oldalhatáronállóan vagy szabadonállóan,
(2c) beépítettség max 30 %‚
(2d) építménymagasság: általánosan min 3,0 m, max. 4,5 m, de az utcai homlokzat min. 4,0 m, *- gal jelölt alövezetben min. 3,0 m, max. 7,0m, amennyiben közforgalmi rendeltetési egység is van az épületben. A háztartással kapcsolatos önálló épület: min. 3,0 max. 3,6 m
(2e) építészeti kialakításra vonatkozó előírások: A tetőidom utcával párhuzamos gerincű nyeregtető, amely oldalhatáros beépítésnél legalább a magasság felső harmadáig az oldalkertek felé kontyolt. A tető hajlásszöge min. 40°-max. 45°. A zártsorúsítás érdekében az utcavonaltól mért 10m-en belül oldalhatáros beépítésnél egyébként megengedett nyílászáró sem helyezhető el.
(2f) Teljes közművesítés az építési munka feltétele, a szennyvízhálózat kiépítéséig ideiglenesen a szikkasztás megengedett.,
(2g) zöldfelület: min 40%
(2h) h19
(2i) kerítés és kapuzat zárt min 1‚5m magas lehet
(3) FL-3 jelű előkertes beépítés övezete ,amelybe a közelmúltban beépült ill. beépítendő lakóterülete tartozik.
(3a)17 17Kialakítható telek szélessége: FL-3* kivételével: közbenső min 18,0m, sarok min 20m területe min 720 m 2
(3b) beépítés módja: közbenső teleknél: oldalhatáron álló, 5m-es előkerttel, két telek összevonásával alakuló teleknél szabadonálló min 5,0m előkerttel, sarokteleknél: a tájolás és kialakult építési vonal figyelembevételével szabadonállóan 5m-es előkerttel,
(3c) beépítettség max 30 %‚
(3d) építménymagasság: min 3,0m, max 4,5 m, a háztartással kapcsolatos önálló épület: min 3,0 max 3,6m
(3e) Teljes közművesítés az építési munka feltétele, a szennyvízhálózat kiépítéséig ideiglenesen a szikkasztás megengedett.
(3f) f21
(3g) csak pálcás ill. áttört kerítés lehet
(4) FL-4 jelű gazdálkodó nagytelkes beépítés övezete, amelyben a telkeknek hátsó gazdasági kiszolgáló útjuk van.
(4a) telek szélessége: min 18,0m,
(4b) telek területe min 1500 m 2,
(4c) beépítés módja: közbenső: oldalhatáron állóan, szabadonállóan min 5m-es előkerttel,
(4d) beépítettség max 30 %‚
(4e) építménymagasság: min 3,0m, max 4,5 m,
(4f) a háztartással kapcsolatos önálló épület: min 3,0 max 3,6m,
(4g) Teljes közművesítés az építési munka feltétele, a szennyvízhálózat kiépítéséig ideiglenesen a szikkasztás megengedett,
(4h) zöldfelület min 40%,
(4i) h22
(4j) csak pálcás ill. áttört kerítés létesíthető.
Vegyes terület
Településközponti vegyes terület
14. § (1) A településközponti vegyes terület a szorosan vett községközponti beépítés területe. Településközponti területen az övezeti kizárólagosságok figyelembe vételével
(1a) lakóépület,
(1b) igazgatási épület,
(1c) kereskedelmi, szolgáltató, művelődési vendéglátó, szálláshely szolgáltató épület,
(1d) egyházi, oktatási, egészségügyi‚ szociális épület,
(1e) sportépítmény,
(1f) kivételesen nem zavaró hatású egyéb gazdasági építmény elhelyezhető23
(2) A településközponti vegyes terület az alábbi övezetekre tagolódik:
(2a) TV-1 jelű intézményi övezet,
(2b) TV-2 jelű ellátási övezet.
(2c) Településközponti vegyes terület általános előírása: Szintterület-sűrűsége max 1,524
(4) Településközponti vegyes terület egyes építési övezeteire vonatkozó előírások
(4a) TV-1 jelű intézményi övezetben: telek min. 900 m2,
(4b) telek szélessége: közbenső min. 18,0 m, sarok min. 20,0 m,
(4c) beépítési mód: oldalhatáron állóan vagy szabadonálló kialakult beépítési vonal25 szerint utcavonalon vagy előkerttel,
(4d) beépítettség: max 50%26,
(4e) építménymagasság min27, max 7,5 m, a hátsókertbe legfeljebb 3,0 m-es homlokzatmagasságú‚ max. 6,0 m-es gerincmagasságú épület elhelyezhető.
(4f) A teljes közművesítés az építési munka feltétele, a szennyvízhálózat kiépítéséig ideiglenesen közműpótlóként zárt gyűjtőmedence megengedett,
(4g) zöldfelület min. 30%
(4h) h28
(4i) TV-2 jelű ellátási övezetben:
(4j) telek min 900 m2,
(4k) telek szélessége: közbenső min 18,0 m, sarok min 20,0m,
(4l) beépítés módja: oldalhatáronállóan, szabadonállóan vagy zártsorúan a kialakult beépítési vonal18 szerint utcavonalon vagy előkerttel
(4m) beépítettség . max 60%30,
(4n) építménymagasság min31 max 7,5m a hátsókertbe legfeljebb 3,0 m-es homlokzatmagasságú, max 6,0 m-es gerincmagasságú épület helyezhető el,
(4o) teljes közművesítés az építési munka feltétele, a szennyvízhálózat kiépítéséig ideiglenesen közműpótlóként zárt gyűjtőmedence megengedett,
(4p) zöldfelület min 10%,
(4q) bg32
Gazdasági területek
15. § (1) Gazdasági területbe az elsősorban gazdasági célú építmények elhelyezésére szolgáló területek soroltak.
(2)19 A gazdasági terület:
a) kereskedelmi szolgáltató terület
b) ipari terület
c) általános gazdasági terület
Kereskedelmi, szolgáltató terület
16. § (1a) Kereskedelmi, szolgáltató területbe a község nem zavaró hatású gazdasági tevékenységi célú épületekkel beépített ill. beépíthető terület sorolt. A területen az övezeti előírások figyelembevételével - mindenfajta nem jelentős zavaró hatású gazdasági tevékenységi célú épület, - szolgálati lakás, - igazgatási és egyéb irodaépület, - parkolóház, üzemanyagtöltő, - sportépítmény, kivételesen - egyházi, oktatási, egészségügyi, szociális épület, - egyéb közösségi szórakoztató épület.
(1) Kereskedelmi szolgáltató területre vonatkozó előrások:
(1a) Szintterület sűrűség: max 2,0,
(1b) Az övezeteken belül köz - és magánút alakítható.
(1c) KG-K jelű övezet részletes előírásai:
(1d) telek szélessége: közbenső min 18,0 m, sarok min 20,0 m,
(1e) telek min 900 m2,
(1f) beépítés módja: -szabadonálló min 5m-es előkerttel, min a homlokzatmagasságnak megfelelő oldal és hátsókerttel, - zártsorú min. a homlokzatmagasságnak megfelelő hátsókerttel.
(1g) beépítettség: max 50%,
(1h) építménymagasság min34, max 7,5m, ami a technológia függvényében változhat. Legalább a részleges közművesítés az építési munka feltétele, a szennyvízhálózat kiépítéséig ideiglenesen közműpótlóként zárt gyűjtőmedence megengedett.
(1i) zöldfelület min 20%,
(1j) ch 35
(1k) KG-U jelű övezet részletes előírásai:
(1l) a telek párhuzamos szervízúton keresztül kapcsolódik az 5404. jelű útra, a szabályozási tervlap szerinti mintakeresztszelvény szerintiek szerint,
(1m) telek szélessége: min 26,0m,
(1n) telek területe min 900m2,
(1o) beépítés módja: -szabadonálló min a homlokzatmagasságnak megfelelő elő-, oldal és hátsókerttel,
(1p) beépítettség : max 50%,
(1q) építménymagasság min37,max 7,5m, ami a technológia függvényében változhat.
(1r) Legalább a részleges közművesítés az építési munka feltétele, a szennyvízhálózat kiépítéséig ideiglenesen közműpótlóként zárt gyűjtőmedence megengedett,
(1s) zöldfelület min 20%,
(1t) di38
(1u) Az OTÉK szerinti parkolóhely telken belüli fásított parkoló kiépítésével biztosítandó.
Ipari terület
17. § (1) Az ipari terület termelő gazdasági (mezőgazdasági és ipari) tevékenységi és községgazdasági célú építmények elhelyezésére szolgál. A területen:
(1a) mindenfajta gazdasági tevékenységi célú épület,
(1b) gazdasági célú épületen belül szolgálati lakás,
(1c) egyházi, oktatási, egészségügyi‚ szociális épület,
(1d) egyéb közösségi szórakoztató épület,
(1e) sportépítmény,
(1f) az ágazati előírásoknak megfelelő energia-, (elektromos energia és földgáz) vízi és távközlési közművek valamint a településgondozás épületei elhelyezhetők.
(2)20 39Iparterület az alábbi építési övezetekre tagolódik:
(2a) IG-T jelű bányászati termelő építési övezet,
(2b) IG-E jelű egyéb termelő építési övezet,
(2c) IG-SZ jelű kommunális szolgáltatás építési övezet
(2d)21 (Gip-1) jelű kiemelt ipari építési övezet
(3) Iparterületre vonatkozó általános előírások: Szintterületi sűrűség: 1,5
(4) Ipari terület részletes előírásai:
(4a) IP-T jelű termelő övezetbe a szénhidrogén kitermeléssel kapcsolatos létesítmények telkei tartoznak.
(4b) Az övezetben a vonatkozó szabványoknak megfelelően csak bányászati létesítmény helyezhető el.
(4c) környezetterhelési határérték: - 4/1984.(I.23.) EüM rendelet szerint iparterület lakóépületekel és intézményekkel vegyesen, - levegőtisztaságvédelmi I. kategória.
(4d) IG-E jelű egyéb termelő övezetben:
(4e) telek min 30m szélességű‚ min 900m2 területű,
(4f) beépítés szabadonálló legalább az építménymagasságnak megfelelő oldal-, elő-, és hátsó kerttel ill. kialakult helyzet,
(4g) beépítettség max 50%,
(4h) építménymagasság min22 max 7,5m, ami a technológia függvényében változhat,
(4i) közművesítettség egyedileg határozandó meg,
(4j) zöldfelület min 25%,
(4k) környezetterhelési határérték iparterületre előírtak szerint,
(4l) terepszint alatti létesítmény nem korlátozott,
(4m) védőterület (közegészségügyi ill. állategészségügyi) saját telken belül biztosítandó.
(4n) IG- KSZ jelű kommunális szolgáltatás övezetben .
(4o) telek, beépítés, beépítettség, terepszint alatti létesítmény az ágazati szabványoknak megfelelő,
(4p) építménymagasság, közművesítettség, zöldfelület, környezetterhelési határérték a környezeti illeszkedés biztosításával egyedileg határozható meg.
(5)23 (Gip-1) jelű kiemelt ipari építési övezetben:
a) Az egyéb ipari területre vonatkozó általános előírások szerintiek elhelyezhetők
b) Kialakítandó telek: min. 900 m2
c) Beépítés módja: szabadonálló, az adott oldal homlokzat magassága szerinti előkerttel
d) Beépítettség: max. 50 %
e) Építménymagasság: max. 9 m
f) Zöldfelület: min. 25 %
Általános gazdasági terület41
17/A. § (1) Az általános gazdasági területen:
a) Környezetre jelentős hatást nem gyakorló ipari és gazdasági tevékenységi célú, továbbá kereskedelmi, szolgáltató és raktár rendeltetésű építmények elhelyezhetők.
b) Nem helyezhető el lakóépület
(2) Kialakítható telek: min 900m2
(3) Beépítési mód: szabadonálló
(4) Beépítettség: max. 50 %
(5) Építménymagasság: max. 7,5 m
(6) Zöldfelület: min. 25 %
Különleges területek
18. § Szank különleges területei az alábbiak:
1. Sportterület (Spk jelű)
2. Temető (Tk jelű)
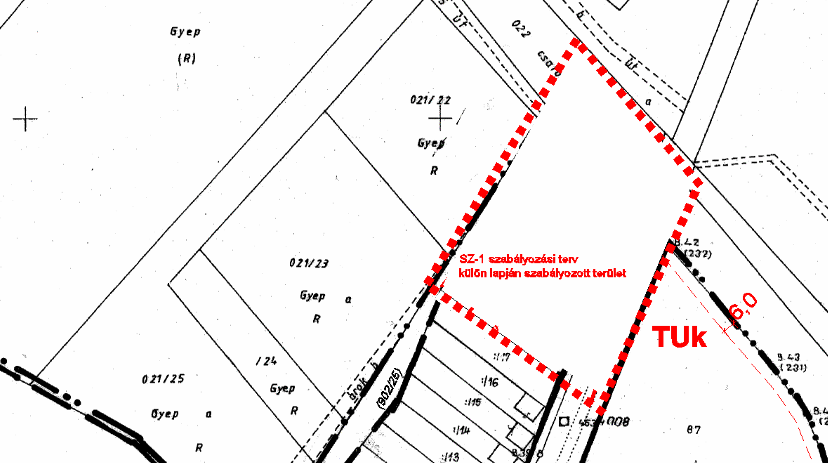
3.24 42Turisztikai terület (TUk jelű)
4. Hulladéklerakó
5.25 43Termálfürdő (TEK jelű)
Sportterület
19. § (1) Sportterület sport-, szabadidős-, pihenés-, és a testedzés céljára szolgáló változatlan nagyságú terület.
(2) A területen -sportépítmény -az alaprendeltetéshez kapcsolódó kereskedelmi, szolgáltató és vendéglátó épület elhelyezhető.
(2) Beépítési mód szabadonállóan
(3)26 44Beépítettség. max 1500 m2
(5) építménymagasság min45 max 4,5m
(6) Legalább a részleges közművesítés az építési munka feltétele, a szennyvízhálózat kiépítéséig ideiglenesen közműpótlóként zárt gyűjtőmedence megengedett.
Temető
20. § (1) A temető telekterülete az SZ-1 terv szerinti.
(2) A területen ravatalozó, kápolna, urnafal és síremlék kivételével építmény nem helyezhető el.
(3)27 46
(4) Kötelezően körbekerítendő, az utca felöli kerítés min 1‚5m magas örökzöld élősövény vagy élősövénnyel borított drótfonat lehet.
(5) Három bejárata alakítandó ki: - a Zsigmondy utcai és Arany János utcai bejárat csak a gyalogos forgalmat szolgálhatja, - főbejárat a Szép utca felől nyitható‚ ide helyezendők a gépkocsi parkolók.
(6) 1044 hrsz-ú teleken lévő baptista temető exhumált sírjai számára a temetőben kell helyet biztosítani.
Turisztikai terület47
21. §28 (1) A területen turisztikai célú építmények helyezhetők el az alábbi rendeltetéssel:
a) agráriummal kapcsolatos bemutatás, árusítás, tárolás,
b) szociális ellátás,
c) logisztika
d) sport
(2) Telek: min 1500 m2
(3) beépítési mód: szabadonálló
(4) Beépítettség: max 30 %
(5) Építménymagasság: max 7,5 m
(6) közművesítettség: részleges, ideiglenesen közműpótlóként zárt szennyvízgyűjtő megengedett
(7) Zöldfelület: min 50 %
Hulladéklerakók
22. §29
Termálfürdő50
22/A. § (1a) A (TEK) jellel a termálfürdő lehatárolt, ahol az alapfunkcióhoz kapcsolódó létesítmények helyezhetők el.
(2) Az építésügyi előírások:
(2a) telek: min. 900 m2
(2b) beépítés módja: szabadonálló min. 5 m-es előkerttel, min. a homlokzatmagasságnak megfelelő elő-, oldal-, és hátsókerttel.
(2c) beépítettség: max. 10 %
(2d) építménymagasság: max. 7,5 m, ami technológiai szükségszerűségből változhat.
(2e) zöldfelület: min. 40 %
(2f) környezetterhelési határértékként az üdülőterületre vonatkozó hatályos rendelet szerintiek tartandók be.
SZANK BEÉPÍTÉSRE NEM SZÁNT TERÜLETEIRE VONATKOZÓ ELŐİRÁSOK30
23. § (1) A beépítésre nem szánt területek az alábbi területfelhasználási egységbe soroltak:
(1a) Közlekedési-, és közműelhelyezési terület
(1b) Zöldterület
(1c) Erdőterület
(1d) Mezőgazdasági terület
(1e) Egyéb terület
(1f) Különleges beépítésre nem szánt terület
Közlekedési-‚ és közműelhelyezési területek
24. § (1) A közlekedési és közműelhelyezési területek az országos és a helyi közutak, kerékpárutak, a közterületi gépjármű várakozóhelyek, a járdák és gyalogutak mindezek csomópontjai, vízelvezetési rendszere és környezetvédelmi létesítményei, továbbá a közművek építményeinek elhelyezésére szolgálnak.
(2) Területen az OTÉK 26. §(3) bekezdésben felsorolt építmények helyezhetők el.
(3) A területek szerepkörük alapján a szabályozási terv szerint az alábbi övezetekre tagolódnak:
(3a) KÖ-1 jelű meglévő és tervezett országos mellékutak övezete
(3b) KÖ-2 jelű belterületi gyűjtőutak övezete
(3c) KÖ-3 jelű belterületi lakóutak
(3d) KÖ-4 jelű egyéb belterületi és külterületi utak övezete
(3e) KÖ-5 jelű hálózati jelentőségű dűlőutak övezete
(3f) KÖ-6 jelű vasúti övezet
(3g) Közlekedési-‚ és közműelhelyezési területek általános előírásai
(4) Közlekedési területen belül műtárgyakat‚ közvilágítási és közlekedési jelzőlámpákat, közterületi építményeket, növényzetet úgy kell elhelyezni, hogy azok a közlekedést és az útfelületek láthatóságát ne akadályozzák.
(5) Közlekedési terület kialakításakor zöldterületek csökkentése csak műszakilag indokolt esetben: a fasor távlati pótlási-bővítési lehetőségeinek megtartásával lehetséges.
(6) Belterületi szakaszon légvezeték csak az egyik oldalon helyezhető el.
(7) Közlekedési-, és közműelhelyezési területek részletes övezeti előírásai
(7a) KÖ-1 jelű országos mellékutak övezete az övezetbe tartozik- 5404 jelű Kiskunmajsa - Szank összekötőút, amelynek Bócsán keresztül az 54.sz. főútra való rákötése biztosítandó, - Jászszentlászló-Bodoglár összekötőút
(7b) az övezetben min 30m-es ill. a kialakult szabályozási szélesség biztosítandó
(7c) az övezetben kerékpárút építendő
(7d) belterületi szakaszokon végig két oldali járda építendő
(7e) Béke utca, Árpád utca és Halasi út közötti szakaszán leállósáv építendő
(7f) KÖ-2 jelű belterületi gyűjtőutak övezetébe a 18m-es ill. a kialakult szabályozási szélességgel a települési győjtőutak tartoznak: Arany J. utca, Petőfi S. utca, Rákóczi F. utca, Árpád utca, Küküllő utca, Vörösmarty Mihály utca53.
(7g) KÖ-3 jelű övezetébe belterület meglévő és tervezett lakóutcái tartoznak, min 18m, ill a kialakult helyzet szerinti szabályozási szélességgel
(7h) gépjármű forgalomra lehetőleg 6m-es, de min 4m-es burkolati szélesség alakítandó ki
(7i) Szép utca ill. 266/1 hrsz-ú úton a temető számára parkoló alakítandó ki.
(7j) KÖ-4 jelű övezetbe a belterületi határon vezetett SZ-1 terv szerinti út és minden egyéb külön jel nélküli külterületi út tartozik.
(7k) szabályozási szélessége min 6,0m,
(7l) KÖ-5 jelű övezetbe az SZ-2 terven jelölt hálózati jelentőségű dűlőutak tartoznak, biztosítandó szabályozási szélességük: min l0m,
(7m) szilárd burkolattal kiépítendők,
(7n) szabályozási szélességükön belül vízelvezető ill. szikkasztó árok vagy fasor alakítandó,
(7o) A KÖ-6 jelű övezetbe a vasút területe tartozik.
Zöldterület
25. § (1) Zöldterületen az övezeti kizárólagosságok figyelembevételével az alábbiak helyezhetők el:
(1a) pihenést és testedzést szolgáló építmény (sétaút, pihenőhely, tornapálya, gyermekjátszótér..)
(1b) a terület fenntartásához szükséges építmény
(2) A zöldterületek az alábbi övezetekre tagolódnak:
(2a) KP jelű közpark
(2b) KP-V jelű védőterület
(3) Zöldterület övezeti előírásai
(3a) KP jelű közpark övezet a községi szintű zöldfelületi ellátás övezete‚ amelyet a településközponti elhelyezkedés, az intenzív használat és jelentős településképi érték jellemez.
(3b) Az övezetben sétaút, pihenőhely, játszóhely, pihenést szolgáló kerti berendezés, kerti pavilon, köztéri berendezés elhelyezhető.
(3c) Csak egységes hangulatú, karakterű köztéri berendezések engedélyezhetők.
(3d) KP-V jelű övezet védőterület
(3e) az övezetben semmilyen építmény vagy berendezés nem helyezhető el.
(3f) az övezet mezőgazdasági hasznosítása lehetséges.
(3g) a *-gal jelölt terület nem keríthető és nem fásítható.
(4)31 A KP-V** jelű övezetben feltöltés nem végezhető.
Erdőterület32
26. § (1)33 Az erdőterületbe az erdőtörvény hatálya alá tartozó telkek tartoznak.
(2) Erdőterület az alábbi övezetekre tagolódik:
(2a) EG jelű gazdasági erdő övezet
(2b) EV jelű védelmi erdő övezet
(3) EG jelű gazdasági erdő övezet előírásai
(3a) Az erdőként nyilvántartott telkekre az alábbiakon túl az erdőtörvény rendelkezéseit is alkalmazni kell.
(3b) b56
(3c) A terület határa az erdészeti hasznosítású telkek számának változásával értelemszerűen változik. A szabályozási terv M1 jelű övezeti besorolású területén létesített erdő művelési ágú telkekre az EG jelű övezet előírásai az érvényesek.
(3d) A területen az erdő-, és vadgazdálkodáshoz kapcsolódó üzemviteli épületek az általános feltételek szerint elhelyezhetők.
(3e) EV jelű védelmi erdőövezetben a természetvédelmi kezelést és fenntartást szolgáló kivételével építmény nem helyezhető el.
Mezőgazdasági terület
27. § (1) Mezőgazdasági területnek minősül a község teljes beépítésre nem szánt területe az erdő-‚ a közlekedési-, közműelhelyezési és egyéb területek kivételével.
(2) Mezőgazdasági területen az övezeti előírások figyelembevételével az alábbiak helyezhetők el:
(2a) mezőgazdasági termeléshez kapcsolódó üzemi jellegű építmények - különböző mezőgazdasági szolgáltatások (javítóműhelyek, fafeldolgozók), - élelmiszeripari feldolgozás‚ sütöde, savanyítóüzem, pince‚ hűtőház, vágóhíd, élelmiszerraktárak.
(2b) mezőgazdasági építmények: - présház, - pince, - állattartó épületek, -- növénytermesztés épületei,
(2c) Az ellátással kapcsolatos építmények az alábbi rendeltetéssel: - kiskereskedelem, - sport, - falusi turizmus, - ismeretterjesztés,
(2d) a mezőgazdasági termeléshez indokolt helyben lakást biztosító lakóépület és a háztartással kapcsolatos épületek.59
(3) A mezőgazdasági terület a szabályozási terv szerint az alábbi övezetekre tagolódik:
(3a) M1 jelű farmgazdasági övezet
(3b) M2 jelű kistelkes övezet
(3c) M3 jelű általános övezet60
(3d) M4 jelű javasolt természeti terület övezete
(4) Mezőgazdasági terület általános előírásai
(4a) 61
(4b) Az építési munka feltétele, hogy az építtető által biztosított legyen az ivóvíz-, villamosenergia ellátás, hulladékelszállítás, szennyvízkezelés.
(4c) Kialakult telekhatártól és telekalakítással létrejövő új telkek határától az alábbi minimális ültetési távolságokat kell biztosítani.
(4d) gyümölcsfaiskolai nevelés alatt álló növény, szőlő, ribizke, egres és málnabokor valamint minden 1m-nél magasabbra nem növő bokor és élősövény esetében: 0,8 m
(4e) minden egyéb gyümölcsbokor (p1. mogyoró) esetében: 2,0m
(4f) birs, naspolya, birsalanyra oltott körtefa esetében: 2,5m
(4g) törpealanyra oltott alma-, és körtefa, továbbá meggy-, szilva- és mandulafa esetében 3,5m vadalanyra oltott alma-‚ és körtefa, továbbá kajszifa esetében 4,0m
(4h) cseresznyefa esetében 5,0m
(4i) dió- és gesztenyefa‚ továbbá minden fel nem sorolt gyümölcsfa esetében 8,0m
(4j) erdei fafajoknál 8,0m
(5) Mezőgazdasági terület részletes övezeti előírásai:
(5a) M1 jelű farmgazdasági övezetben a 27. § (2) a-b szerinti épületek az alábbi feltétekkel építhetők: telek min 720 m2, beépítési mód: szabadonálló, építménymagasság: min34 max 4,5m amely a technológia függvényében változhat, beépítettség: max 3%,
(5b) A 27. § (2) c) szerinti épületek az alábbi feltétekkel építhetők: telek min l500m2, beépítési mód: szabadonálló, építménymagasság: min35 max 7,5m, beépítettség: max 10%,
(5c) A 27. § (2) d) szerinti épületek az alábbi feltétekkel építhetők: telek 1 kat. hold azaz min 5760 m2, beépítési mód: szabadonálló ill. kialakult helyzet - építménymagasság: min36 max 4,5m, beépítettség: max 3%, a már meglévő tanyás ingatlanon a meglévő beépítettséget 10%-kal meghaladó átépítés lehetséges a telek méretétől függetlenül.
(5d) M2 jelű kistelkes övezetben a 27. § (2) a-b szerinti épületek az alábbi feltételekkel építhetők: telek min 720 m2, beépítési mód: szabadonálló, építménymagasság: min37 max 4,5m, beépítettség: általános feltételek szerint38,
(5e) A 27. § (2) c) szerinti épületek az alábbi feltétekkel építhetők: - telek min 720 m2, beépítési mód: szabadonálló, építménymagasság: min39 max 4,5m, beépítettség: max 10%.
(5f) A 27. § (2) d) szerinti épületek az alábbi feltétekkel építhetők:
(5g) telek szőlő-gyümölcsös, kert művelési ág esetén min 800 öl, azaz min 2880 m2
(5h) egyéb művelési ág esetében 1kh azaz 5760 m2
(5i) beépítési mód: szabadonálló ill. kialakult helyzet
(5j) építménymagasság: min40 max 4,5m
(5k) beépítettség: általános feltételek szerint41
(5l) M3 jelű általános övezetre a mezőgazdasági területre vonatkozó általános előírások vonatkoznak.
(5m) M4 jelű övezetben: elhelyezhető: a terület fenntartását szolgáló legeltető állattartó építmények és azok kiszolgáló szociális helyiségei, Építmény szélessége: max. 8 m, tetőidom: nyeregtető, tetőhajlásszög: 40-45 fok, Építménymagasság: max. 4,5 m, Tetőhéjazat anyaga: nád, cserép.
Különleges beépítésre nem szánt terület42
27/A. § (1a) ÖK jelű összetett funkciójú szabadidős területen: szabadidős tevékenységi célú építmények helyezhetők el. A szabadidős tevékenységet is szolgáló vízgyűjtő kialakítható.
(1b) Az (1) bekezdés szerinti elhelyezésének előírásai: beépítettség: az általános előírások szerint, építménymagasság: max. 4,5 m, beépítési mód: szabadonálló.
27/B. § (1a) EmlK jelű Kiskun Emlékhely területen: ismeretterjesztési célú és azok kiszolgáló építményei helyezhetők el.
(1b) Az építésügyi előírások: beépítettség: általános előírások szerint, építménymagasság: max. 4,5 m, beépítési mód: szabadonálló, a természetes gyepterület megtartandó.
1/N. Egyéb területek
28. § Egyéb terület VG jellel a vízgazdálkodási terület., amelynek előírásait az OTÉk 30. §-a tartalmazza.
1/O. KÖZTERÜLETEK ELŐÍRÁSAI
29. § (1) A közterületek lehatárolását a szabályozási terv tartalmazza: azt területfelhasználási határvonalként vagy szabályozási vonalként ábrázolja.
(3) Önálló övezetbe tartozó közterületekre vonatkozó építési, környezetalakítási szabályokat a közlekedési terület övezeti előírásai tartalmazzák.
(4) A piac melletti 101/2 hrsz-ú közterület meglévő árusítóhely épülete kivételével közterületen csak az OTÉK 32. § szerintiek helyezhetők el.
(5) Utcai fasor az alábbiak figyelembevételével telepítendő:
(5a) telekhatártól, épülettől kiskoronájú fa: min 2,0m
(5b) középkoronájú fa min2,5m
(5c) nagykoronájú fa min3,5m
(6) Magas és mélyépítési munkák miatt a növényzetben keletkezett kárra a faérték számítás alapján megváltási ár szabható ki.
1/P. ÉPÍTÉSZETI ÉRTÉKVÉDELEM ELŐÍRÁSAI
30. §43 Régészeti értékek védelme44
30/A. §45 (1) Régészeti lelőhelyeket a szabályozási terv ábrázolja és R 3. melléklete tartalmazza.
(2) Régészeti lelőhelyekre az általános előírások vonatkoznak.
VÉDETT ÉS VÉDŐTERÜLETEK ELŐÍRÁSAI
31. § (1) A természetvédelem érdekében szükséges építési korlátozásokat a vonatkozó övezeti előírások tartalmazzák.
(2) Az egyes vonalas létesítmények védősávjában építés csak az illetékes szakhatóság hozzájárulásával lehetséges:
(2a) vízügyi védőterületek: - csatorna partélétől 6m
(2b) közlekedési védőterület országos mellékutak tengelyétől külterületen 50-50m
(2c) távvezeték hálózati energiaellátó és közműlétesítmények védőterületei az illető
(2d) szabványnak megfelelően: földgáz távvezeték (NA 150) 60-63 bar, 20-20m, elektromos távvezeték 120 kV 13-13 m, 25-30kV 5-5m, vízműkutak - vízügyi előírások szerint
(2e) közművek védőtávolságai: vízvezeték MSZ 7487/2-80 szerint46, gázvezeték MSZ 7048 szerint
(2f) távvezetékek: Szank-Üllés DN 300 gázvezeték és kábel (csőtengelytől 25-25m), Zsana-Szank DN 800 gázvezeték és kábel (50-50m csőtengelytől), Szank-Városföld DN 400 gázvezeték (28-28m csőtengelytől), Szank-Kiskunhalas-Baja DN 400 gázvezeték (28-28m csőtengelytől), Kiskunhalas-Szank-Pálmonostora DN 300 olaj távvezeték(28-28m csőtengelytől), Szank-Kalocsa DN 400 gázvezeték (28-28m csőtengelytől), Szank-Algyő kondenzátum 2 x DN 100 vezeték (szabvány szerint)
TELEPÜLÉSRENDEZÉSI FELADATOK MEGVALÓSULÁSÁT BIZTOSÍTÓ SAJÁTOS JOGINTÉZMÉNYEK
32. § (1) Jelen rendelethez tartozó szabályozási tervben foglaltak megvalósítása érdekében Szank Község Képviselő-testülete az alábbi sajátos jogintézményekkel él és rendelkezik róluk:
(1a) tilalmak
(1b) elővásárlási jogok
(1c) helyi közút céljára történő lejegyzések
(1d) útépítési és közművesítési hozzájárulások
(1e) településrendezési kötelezések, amely: beépítési kötelezettség
(1f) helyrehozatali kötelezettség
(2)47 Tilalmak
(3) Elővásárlási jog: A szabályozási terv megvalósítása érdekében Szank Község Képviselő-testülete külön rendelkezik. A terv jóváhagyásával egyidejűleg a Béke utcai 26 hrsz-ú telekre településközpont ill. térfalképzés érdekében elővásárlási jogát előírja.
(4) Hely közút céljára történő lejegyzések: Helyi közút céljára lejegyezhetők az alábbi telkek meglévő telekhatára és a szabályozási vonal közötti telekrészei:
(4a) Arany János utca északi folytatása érdekében 244 hrsz, 1041/1, 1041/ 5, 1042/1-2, 1043, 1045, 1052/3-4, 1058, 1059, 1063, 1065, 1066, 1070, 1071/1-2, 1072, 1072/2,
(4b) 1001 hrsz-ú északi gyűjtőút szélesítése érdekében: 1075/1, 1076, 1078, 1079, 1080/1-2, 1081/1, 1081/3, 1082/1-2, 1083, 1084, 1085, 1087 hrsz
(4c) 1115 hrsz-ú út szélesítése érdekében: 1096-1114 hrsz
(4d) Kiszsombosi dűlőút belterületi szakaszának szélesítése érdekében a 701 hrsz.
(5) Út és közműfejlesztési hozzájárulás: Útépítési és közművesítési hozzájárulásról Szank Község Képviselő-testülete az önkormányzati infrastruktúra fejlesztésekkel és a nem önkormányzati telekalakításokkal összefüggésben külön rendelkezik.
(6) Beépítési kötelezettség: Beépítési kötelezettség vonatkozik a szabályozási terv szerint kialakult vagy kialakított építési telkekre, amelynek a bontástól, ill. a be nem épített építési telek megszerzésétől számított 5 éven belül eleget kell tenni, kivé az LF-4 jelű övezet telkeit.
(7)48 Helyrehozatali kötelezettség
ÉRTELMEZŐ ÉS ZÁRÓ RENDELKEZÉSEK
33. § (1) Jelen rendelet alkalmazása tekintetében:
(1a) kialakult állapot: az építési övezeti előírásoktól eltérő, a korábbi szabályoknak megfelelően kialakult telek és épület elhelyezési mód (beépítés)
(1b) kialakult építési vonal: tömboldalnyi hosszon a meglévő épületek utcai építési vonala
(1c) meglévő épület: jogerős építési ill. használatbavételi engedéllyel rendelkező ill. több mint 10 éve használatba vett épület (építmény)
(1d) szolgálati lakás: gazdasági területen a tulajdonos-, használó-, és a személyzet számára lakás, amelyhez önálló telek nem tartozhat.
(1e) Háztartással kapcsolatos épület: a háztartással kapcsolatos nyárikonyha, mosókonyha, szárító, barkácsműhely, tárolóépítmények (tüzelőanyag, szerszámkamra, szín, fészer, magtár, góré, csűr, pajta és más tároló) állattartó épületek járműtároló (gépkocsi, motorkerékpár, munkagép stb.).
(1f) Áttört kerítés: legfeljebb 0,8m-es tömör lábazatú kerítés, amely áttört felületének tömör (zárt) része max 20%.
(1g) Zöldfelületi mutató: a zöldfelület és a telek területének %-ban kifejezett mértéke.
(1h) 86
(1i) Kialakult telekhatár: telkeket elválasztó határvonal, amelyet az ingatlanbejegyzés hitelesít.
(1j) 87
(1k) tanya: külterületi lakóházhoz tartozó telek „kivett” udvar nyilvántartású része.
(1l) 89
(2) Jelen rendelet kihirdetését követő hónap 1. napján lép hatályba, rendelkezéseit a hatályba lépését követően indított ügyekben kell alkalmazni.
(3) Kihirdetéséről a Jegyző gondoskodik.
(4) E rendelet kihirdetésével egyidejűleg az összevont rendezési tervhez tartozó helyi építésügyi előírásokról szóló 1/1988.(V.6.) sz. tanácsrendelet hatályát veszti.
1. melléklet49


2. melléklet
51
52
543. melléklet
Sor |
lelőhely neve |
Hrsz. |
|
|---|---|---|---|
35648 |
1 |
Banó-dűlő |
065/23, |
35649 |
2 |
Banó-dűlő II. |
065/20, 065/21, 065/22, 065/23, |
35650 |
3 |
Kisasszony-dűlő, Tímár-tanya |
026/36, 026/37, 026/38, 026/39 |
35651 |
4 |
Szanktól DNy-ra |
0113/35, 0113/36, 0113/37, 0113/38, 0113/39, 0113/40 |
35654 |
5 |
Dong-éri főcsatorna, TSz |
020/37, 022 |
35655 |
6 |
Kápolnahely |
020/22, 020/23, 020/25, |
58443 |
7 |
Horgásztó |
026/5 |
63956 |
8 |
Belterület ÉK-i széle |
027/57 |
63972 |
9 |
Kőkút, Csatornapart |
019/48 |
69243 |
10 |
HT 14. lh. |
084/19, 084/21, 086/11 |
72667 |
11 |
Horvát Tranzit 113. |
059/20, 059/22, |
72669 |
12 |
Horvát Tranzit 107. |
088/28, 088/43 |
35661 |
13 |
Haladás TSz |
059/1, 059/22, 059/5 |
83951 |
14 |
Ördögárok I. |
0108/2, 0108/6, 0108/8, |
83953 |
15 |
Ördögárok II. |
0106/31, 0106/32, 0106/34, 0106/35, 0106/36 |
90245 |
16 |
Szeméttelep Dél |
0113/81, 0113/82, 0113/83, 0113/84, 0113/89, |
90247 |
17 |
Dongéri főcsatorna, Mol telep Dél |
0116/11, 0116/12, 0116/13, 0116/14, 0116/15, 0116/16, 0116/17 |
Az önkormányzati rendeletet a Szank Község Önkormányzata Képviselő-testületének 3/2023. (III. 9.) önkormányzati rendelete 27. §-a hatályon kívül helyezte 2023. április 8. napjával.
Az 1. § (2a) bekezdése a Szank Község Önkormányzat Képviselő-testülete 8/2021. (VI. 15.) önkormányzati rendelete 1. §-ával megállapított szöveg.
Módosította: 4/2019.(V.9.) önkormányzati rendelet. Hatályos: 2019. május 10-től.
Beiktatta:: 7/2001.(VIII.27.) ÖR. Hatályos: 2001. augusztus 27-től.
Beiktatta: 4/2019.(V.9.) önkormányzati rendelet. Hatályos: 2019. május 10-től.
Módosította: 2/2018.(III.9.) önkormányzati rendelet. Hatályos: 2018. március 10-től.
Beiktatta: 2/2018.(III.9.) önkormányzati rendelet. Hatályos: 2018. március 10-től.
Hatályon kívül helyezte: 18/2009.(VI.30.) rendelet. Hatálytalan: 2009. június 30-tól.
Módosította: 11/2012.(X.9.) önkormányzati rendelet. Hatályos: 2012. november 8-tól.
OTÉK13.§-nál szűkebb kör
OTÉK13.§-nál szűkebb kör
Hatályon kívül helyezte: 11/2012.(X.9.) önkormányzati rendelet. Hatálytalan: 2012. november 8-tól
Hatályon kívül helyezte: 11/2012.(X.9.) önkormányzati rendelet. Hatálytalan: 2012. november 8-tól.
OTÉK 14.§-nál szigorúbb
Hatályon kívül helyezte: 11/2012.(X.9.) önkormányzati rendelet. Hatálytalan: 2012. november 8-tól
Hatályon kívül helyezte: 11/2012.(X.9.) önkormányzati rendelet. Hatálytalan: 2012. november 8-tól
A 13. § (3a) bekezdése a Szank Község Önkormányzat Képviselő-testülete 8/2021. (VI. 15.) önkormányzati rendelete 2. §-ával megállapított szöveg.
ld rendelet fogalommagyarázata
Módosította: 4/2019.(V.9.) önkormányzati rendelet. Hatályos: 2019. május 10-től.
Módosította: 4/2019.(V.9.) önkormányzati rendelet. Hatályos: 2019. május 10-től.
A 17. § (2d) bekezdését a Szank Község Önkormányzat Képviselő-testülete 8/2021. (VI. 15.) önkormányzati rendelete 3. § (1) bekezdése iktatta be.
Hatályon kívül helyezte: 11/2012.(X.9.) önkormányzati rendelet. Hatálytalan: 2012. november 8-tól.
A 17. § (5) bekezdését a Szank Község Önkormányzat Képviselő-testülete 8/2021. (VI. 15.) önkormányzati rendelete 3. § (2) bekezdése iktatta be.
Módosította: 2/2018.(III.9.) önkormányzati rendelet. Hatályos: 2018. március 10-től.
Beiktatta: 18/2009.(VI.30.) rendelet. Hatályos: 2009. június 30-tól.
Módosította: 15/2016.(XII.20.) önkormányzati rendelet. Hatályos: 2016. december 21-től.
Hatályon kívül helyezte: 11/2012.(X.9.) önkormányzati rendelet. Hatálytalan: 2012. november 8-tól.
Módosította: 2/2018.(III.9.) önkormányzati rendelet. Hatályos: 2018. március 10-től.
Hatályon kívül helyezte: 18/2009.(VI.30.) rendelet. Hatálytalan: 2009. június 30-tól.
beépítésre nem szánt területen építmény elhelyezésének általános szabálya az Étv l9.§(2)
A 25. § (4) bekezdését a Szank Község Önkormányzat Képviselő-testülete 8/2021. (VI. 15.) önkormányzati rendelete 4. §-a iktatta be.
meghatározás ez erdőről és az erdő védelméről szóló 1996. évi LIV. törvény 5.§, tehát nem feltétlenül csak a fásított terület értendő alatta
Módosította: 7/2001. ÖR. Hatályos: 2001. augusztus 27-től.
Hatályon kívül helyezte: 11/2012.(X.9.) önkormányzati rendelet. Hatálytalan: 2012. november 8-tól
Hatályon kívül helyezte: 11/2012.(X.9.) önkormányzati rendelet. Hatálytalan: 2012. november 8-tól.
Hatályon kívül helyezte: 11/2012.(X.9.) önkormányzati rendelet. Hatálytalan: 2012. november 8-tól.
Hatályon kívül helyezte: 11/2012.(X.9.) önkormányzati rendelet. Hatálytalan: 2012. november 8-tól.
Módosította: 11/2012.(X.9.) önkormányzati rendelet. Hatályos: 2012. november 8-tól.
Hatályon kívül helyezte: 11/2012.(X.9.) önkormányzati rendelet. Hatálytalan: 2012. november 8-tól.
Hatályon kívül helyezte: 11/2012.(X.9.) önkormányzati rendelet. Hatálytalan: 2012. november 8-tól.
Módosította: 11/2012.(X.9.) önkormányzati rendelet. Hatályos: 2012. november 8-tól.
Beiktatta: 18/2009.(VI.30.) rendelet. Hatályos: 2009. június 30-tól.
Hatályon kívül helyezte: 8/2017.(XII.15.) önkormányzati rendelet. Hatálytalan 2017. december 16-tól.
Beiktatta: 18/2009.(VI.30.) rendelet. Hatályos: 2009. június 30-tól.
Módosította: 4/2019.(V.9.) önkormányzati rendelet. Hatályos: 2019. május 10-től.
Módosította: 7/2001.(VIII.27.) ÖR. Hatályos: 2001. augusztus 27-től.
Hatályon kívül helyezte: 12/2016.(VIII.10.) önkormányzati rendelet. Hatálytalan: 2016. augusztus 11-től.
Hatályon kívül helyezte: 11/2012.(X.9.) önkormányzati rendelet. Hatálytalan: 2012. november 8-tól.
Az 1. melléklet a Szank Község Önkormányzat Képviselő-testülete 8/2021. (VI. 15.) önkormányzati rendelete 5. § (1) bekezdésével megállapított szöveg.
A 2. melléklet cím szövegét a Szank Község Önkormányzat Képviselő-testülete 8/2021. (VI. 15.) önkormányzati rendelete 5. § (2) bekezdése iktatta be.
A 2. melléklet cím szövegét a Szank Község Önkormányzat Képviselő-testülete 8/2021. (VI. 15.) önkormányzati rendelete 5. § (2) bekezdése iktatta be.
A 2. melléklet cím szövegét a Szank Község Önkormányzat Képviselő-testülete 8/2021. (VI. 15.) önkormányzati rendelete 5. § (2) bekezdése iktatta be.
A 2. melléklet cím szövegét a Szank Község Önkormányzat Képviselő-testülete 8/2021. (VI. 15.) önkormányzati rendelete 5. § (2) bekezdése iktatta be.
A 2. melléklet cím szövegét a Szank Község Önkormányzat Képviselő-testülete 8/2021. (VI. 15.) önkormányzati rendelete 5. § (2) bekezdése iktatta be.